Benvenuto Ospite

Forum Entomologi Italiani

www.entomologiitaliani.net/forum
 
Oggi è 05/11/2025, 21:24

Tutti gli orari sono UTC + 1 ora [ ora legale ]

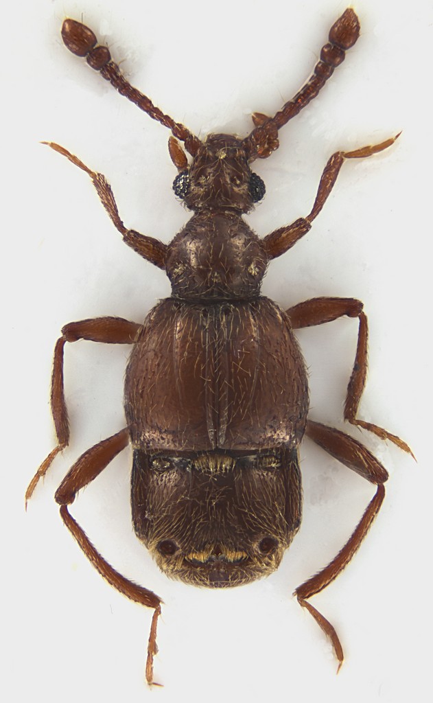
Brachygluta (Brachygluta) perforata (Aubé, 1833) Dettagli della specie

VII.2017 - ITALIA - Lazio - FR, Serrone, 650 m, sul terrazzo di casa, alla luce nera


nuovo argomento
rispondi
Pagina 1 di 1 [ 3 messaggi ]
Autore Messaggio
MessaggioInviato: 10/08/2017, 18:31 
Avatar utente

Iscritto il: 30/12/2009, 22:20
Messaggi: 31564
Località: Roma
Nome: Maurizio Gigli
Potrebbe essere Brachygluta (Brachygluta) perforata (Aubé, 1833)?

Lazio, Frosinone, Serrone, 650 m, alla luce nera sul terrazzo di casa, M. Gigli legit
2,1 mm
Pselaphidae_Serrone_VII-2017_2,1mm_grey.jpg


_________________
Maurizio Gigli
http://utenti.romascuola.net/bups
http://bup.xoom.it/


Top
profilo
 Oggetto del messaggio: Re: Staphylinidae Pselaphinae
MessaggioInviato: 10/08/2017, 20:09 
Avatar utente

Iscritto il: 09/11/2009, 14:12
Messaggi: 5145
Località: Hradec Kralove,Czech republik
Nome: Jan Matějíček
:ok: Brachygluta (Brachygluta) perforata (Aubé, 1833)


Pselaphidae_Serrone_VII-2017_2%2C1mm_grey.jpg


_________________
Research Fields
Taxonomy, ecology, biomonitoring , faunistic of Staphylinidae
Top
profilo
 Oggetto del messaggio: Re: Staphylinidae Pselaphinae
MessaggioInviato: 10/08/2017, 20:51 
Avatar utente

Iscritto il: 30/12/2009, 22:20
Messaggi: 31564
Località: Roma
Nome: Maurizio Gigli
Grazie Jan. :hi:

_________________
Maurizio Gigli
http://utenti.romascuola.net/bups
http://bup.xoom.it/


Top
profilo
Visualizza ultimi messaggi:  Ordina per  
nuovo argomento
rispondi
Pagina 1 di 1 [ 3 messaggi ]

Tutti gli orari sono UTC + 1 ora [ ora legale ]


Chi c’è in linea

Visitano il forum: Nessuno e 1 ospite


Non puoi aprire nuovi argomenti
Non puoi rispondere negli argomenti
Non puoi modificare i tuoi messaggi
Non puoi cancellare i tuoi messaggi
Non puoi inviare allegati

Cerca per:
Vai a: