| Autore |
Messaggio |
|
Mikiphasmide
|
Inviato: 07/03/2018, 19:30 |
|
Iscritto il: 21/02/2011, 15:25 Messaggi: 3877 Località: Montecchio Emilia (RE)
Nome: Violi Michele
|
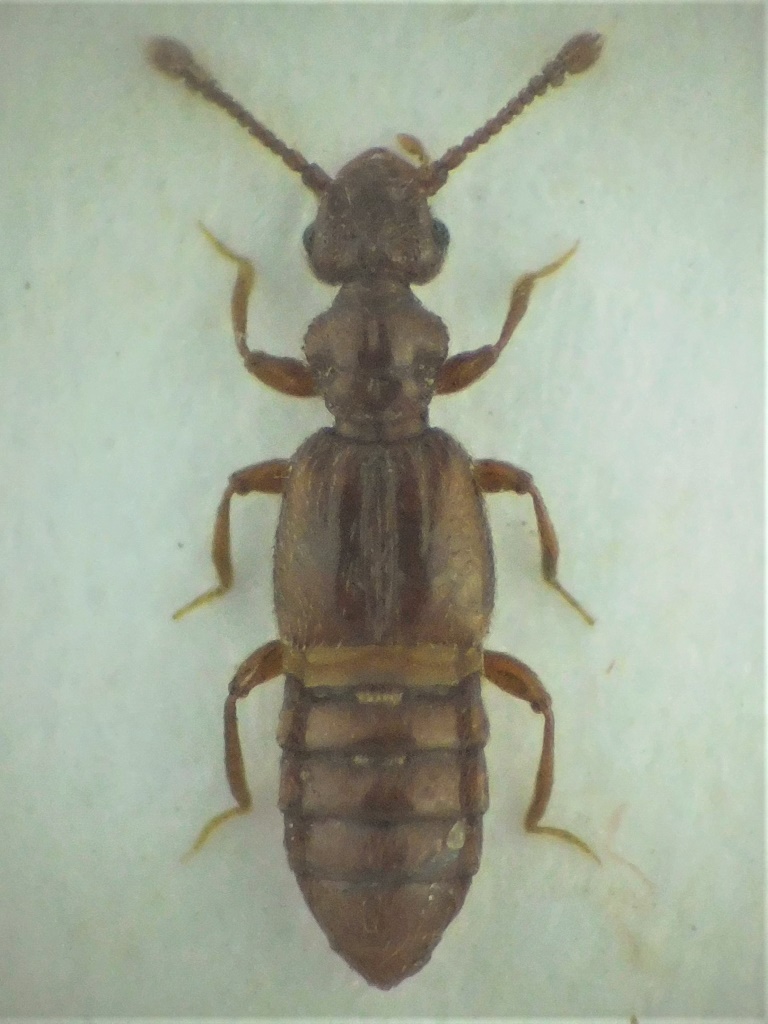
Chiedo aiuto per questo Euplectino... -ino si fa per dire, è lungo 2,5 mm  Uscito dalla fortunata vagliata di un ceppo marcio fradicio (forse pioppo), lungo il rio Tassaro, insieme a molti altri pselafidi, mai presi cosi tanti in una volta, una 60ina di individui di almeno 12 specie  Di questa specie purtroppo solo 3 femmine.
_________________ Michele 
|
|
| Top |
|
 |
|
Loriscola
|
Inviato: 08/03/2018, 9:29 |
|
Iscritto il: 05/02/2009, 17:25 Messaggi: 4894 Località: Zola Predosa (BO)
Nome: Loris Colacurcio
|
In effetti il legno fradicio può regalare delle belle sorprese; quando mi capita il tronco giusto, non manco mai di fare qualche prelievo. La tua bestiola in particolare, viste le "gigantesche" dimensioni, la confronterei con Euplectus brunneus che è il più plausibile ....ma ovviamente è solo un'ipotesi di convenienza, considerando luogo di raccolta ed aspetto complessivo. Intanto per assicurarci che sia davvero un Euplectus sp. controlla che ci siano 4 fossette, terminanti in altrettanti pori, alla base delle elitre. Ovviamente l'edeago fugherebbe molti (se non tutti) i dubbi ....quindi ritorna a fare legna ! E se te ne avanzano, sai dove portarli 
_________________ Loris
|
|
| Top |
|
 |
|
Mikiphasmide
|
Inviato: 08/03/2018, 15:44 |
|
Iscritto il: 21/02/2011, 15:25 Messaggi: 3877 Località: Montecchio Emilia (RE)
Nome: Violi Michele
|
Loriscola ha scritto: Intanto per assicurarci che sia davvero un Euplectus sp. controlla che ci siano 4 fossette, terminanti in altrettanti pori, alla base delle elitre. Intendi in tutto o per ogni elitra? Non si vede molto bene, ma per ogni elitra nella parte basale intravedo una fossetta terminante in un poro vicino alla sutura, poi un poro, una fossetta fatta a V con la punta verso il pronoto (sembrerebbe senza poro) e una fossetta vicino al margine con poro in posizione omerale. Loriscola ha scritto: Ovviamente l'edeago fugherebbe molti (se non tutti) i dubbi ....quindi ritorna a fare legna ! E se te ne avanzano, sai dove portarli  Ci sono stato la settimana scorsa, ma c'erano 40 cm di neve  E alberi schiantati che impedivano il passaggio sul sentiero già molto scosceso. Però ho trovato in un'altra provetta altri pselafidi simili a questo dalla stessa zona, speriamo in un maschio quando li preparo. Ovviamente ti sto tenendo da parte tutte le eccedenze 
_________________ Michele 
|
|
| Top |
|
 |
|
Loriscola
|
Inviato: 09/03/2018, 8:51 |
|
Iscritto il: 05/02/2009, 17:25 Messaggi: 4894 Località: Zola Predosa (BO)
Nome: Loris Colacurcio
|
...volendo affidarmi alla mia memoria, ho ovviamente detto una castroneria Le due fossette sono per i Plectophloeus; casomai, più tardi correggo il mio precedente post, per non lasciare suggerimenti errati I pori dovrebbero essere 3 o 4 per elitra...tre evidenti, il quarto molto meno. In più, il disco del pronoto presenta un solco longitudinale mediano Visto che hai già osservato almeno tre pori e visto che dalla foto è ben evidente il solco mediano sul pronoto...darei per certa l'appartenenza della bestiola al genere Euplectus.
_________________ Loris
|
|
| Top |
|
 |
|
Mikiphasmide
|
Inviato: 09/03/2018, 12:57 |
|
Iscritto il: 21/02/2011, 15:25 Messaggi: 3877 Località: Montecchio Emilia (RE)
Nome: Violi Michele
|
Grazie, aspettiamo allora di trovare il maschio 
_________________ Michele 
|
|
| Top |
|
 |
|
Honza
|
Inviato: 09/03/2018, 14:32 |
|
Iscritto il: 09/11/2009, 14:12 Messaggi: 5145 Località: Hradec Kralove,Czech republik
Nome: Jan Matějíček
|
|
_________________ Research Fields Taxonomy, ecology, biomonitoring , faunistic of Staphylinidae
|
|
| Top |
|
 |
|
Mikiphasmide
|
Inviato: 12/03/2018, 20:15 |
|
Iscritto il: 21/02/2011, 15:25 Messaggi: 3877 Località: Montecchio Emilia (RE)
Nome: Violi Michele
|
Ho preparato gli esemplari della provetta che dicevo, presi sempre vagliando gli sfasciumi di un tronco marcio, due settimane dopo di questi nella stessa valletta ma a 500 metri più a valle (in linea d'aria). C'era solo un maschio, il cui edeago è proprio da Euplectus brunneus, almeno secondo le chiavi linkate da Jan  Direi quindi che si possa rinominare quantomeno come Euplectus prob. brunneus Grimmer, 1841.
_________________ Michele 
|
|
| Top |
|
 |
|