Benvenuto Ospite

Forum Entomologi Italiani

www.entomologiitaliani.net/forum
 
Oggi è 25/10/2025, 13:34

Tutti gli orari sono UTC + 1 ora [ ora legale ]

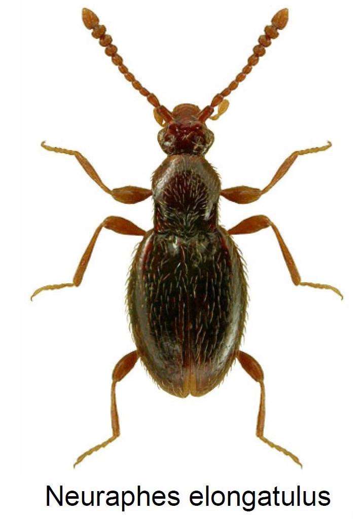
Neuraphes (Neuraphes) elongatulus (Müller & Kunze, 1822) - Staphylinidae Scydmaeninae

24.XII.2011 - ITALIA - Veneto - BL, Feltre Foen lc. Fornace


nuovo argomento
rispondi
Pagina 1 di 1 [ 5 messaggi ]
Autore Messaggio
MessaggioInviato: 27/12/2011, 21:06 
Avatar utente

Iscritto il: 08/06/2009, 0:06
Messaggi: 3415
Località: Feltre(BL)
Nome: Nicola Dal Zotto
Unico reperto di una caccia con il vaglio, trovato sotto il primo strato di terreno ghiacciato.
Chi può essere?
P.s. Scusate la post produzione non ottimale, appena ho tempo la sostituisco con una fatta melgio, ma sono troppo curioso ;)
scis.jpg


_________________
Nicola Dal Zotto


Top
profilo
 Oggetto del messaggio: Re: Staphylinidae Scydmaeninae
MessaggioInviato: 29/12/2011, 11:43 
Avatar utente

Iscritto il: 08/06/2009, 0:06
Messaggi: 3415
Località: Feltre(BL)
Nome: Nicola Dal Zotto
Nessuno ha qualche idea? servono altre foto?

_________________
Nicola Dal Zotto


Top
profilo
 Oggetto del messaggio: Re: Staphylinidae Scydmaeninae
MessaggioInviato: 29/12/2011, 13:13 
Avatar utente

Iscritto il: 31/01/2010, 13:28
Messaggi: 171
Località: Prague, Czech republic
Nome: Adam Šíma
Neuraphes sp. (could be N. elongatulus but I do not know all the italian species)


Top
profilo
 Oggetto del messaggio: Re: Staphylinidae Scydmaeninae
MessaggioInviato: 29/12/2011, 13:55 
Avatar utente

Iscritto il: 09/11/2009, 14:12
Messaggi: 5145
Località: Hradec Kralove,Czech republik
Nome: Jan Matějíček
Neuraphes (Neuraphes) elongatulus (Müller & Kunze, 1822)


Bez názvu.jpg


_________________
Research Fields
Taxonomy, ecology, biomonitoring , faunistic of Staphylinidae
Top
profilo
 Oggetto del messaggio: Re: Staphylinidae Scydmaeninae
MessaggioInviato: 29/12/2011, 14:20 
Avatar utente

Iscritto il: 08/06/2009, 0:06
Messaggi: 3415
Località: Feltre(BL)
Nome: Nicola Dal Zotto
Grazie a tutti!!!!!!!!

_________________
Nicola Dal Zotto


Top
profilo
Visualizza ultimi messaggi:  Ordina per  
nuovo argomento
rispondi
Pagina 1 di 1 [ 5 messaggi ]

Tutti gli orari sono UTC + 1 ora [ ora legale ]


Chi c’è in linea

Visitano il forum: Nessuno e 1 ospite


Non puoi aprire nuovi argomenti
Non puoi rispondere negli argomenti
Non puoi modificare i tuoi messaggi
Non puoi cancellare i tuoi messaggi
Non puoi inviare allegati

Cerca per:
Vai a: