Benvenuto Ospite

Forum Entomologi Italiani

www.entomologiitaliani.net/forum
 
Oggi è 01/11/2025, 21:51

Tutti gli orari sono UTC + 1 ora [ ora legale ]

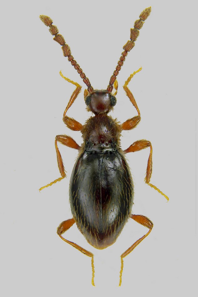
Palaeostigus cf. palpalis Latraille, 1860 - Staphylinidae Scydmaeninae - Spagna

28.III.2011 - SPAGNA - EE, Pontones (Sierra de Segura)


nuovo argomento
rispondi
Pagina 1 di 1 [ 7 messaggi ]
Autore Messaggio
MessaggioInviato: 06/04/2011, 16:41 
Avatar utente

Iscritto il: 05/09/2009, 7:56
Messaggi: 3445
Località: Cesena
Nome: Gianfranco Sama
Spagna-Andalucia: Pontones (Jaen), 28.III.2011
Lunghezza 5 mm
Scydmeanidae_Pontones 037.jpg


_________________
Gianfranco Sama

"Benedetto colui che ti aiuta a correggere i tuoi errori invece di scagliarteli contro"
___________________________________
Gershom Sholem


Top
profilo
MessaggioInviato: 06/04/2011, 17:44 
Avatar utente

Iscritto il: 09/11/2009, 14:12
Messaggi: 5145
Località: Hradec Kralove,Czech republik
Nome: Jan Matějíček
Subfamilie: M a s t i g i n a e

Palaeostigus sp.

Spagna sono due species
Palaeostigus palpalis Latraille, 1860
Palaeostigus prolongatus (Gory, 1839)


http://www.uschovna.cz/zasilka/DCPVWIAKUWELV6JD

_________________
Research Fields
Taxonomy, ecology, biomonitoring , faunistic of Staphylinidae


Top
profilo
MessaggioInviato: 06/04/2011, 19:50 
Avatar utente

Iscritto il: 05/09/2009, 7:56
Messaggi: 3445
Località: Cesena
Nome: Gianfranco Sama
Thank you Honza :ok: I had a look at the revision. According to the locality it should be Mastigus (Palaeostigus ?) palpalis, but without the aedeagus better Mastigus (Palaeostigus ?) sp.

_________________
Gianfranco Sama

"Benedetto colui che ti aiuta a correggere i tuoi errori invece di scagliarteli contro"
___________________________________
Gershom Sholem


Top
profilo
MessaggioInviato: 06/04/2011, 20:09 
Avatar utente

Iscritto il: 09/11/2009, 14:12
Messaggi: 5145
Località: Hradec Kralove,Czech republik
Nome: Jan Matějíček
Today only Palaeostigus
(On your picture, the female)


Mastigini.jpg


_________________
Research Fields
Taxonomy, ecology, biomonitoring , faunistic of Staphylinidae
Top
profilo
MessaggioInviato: 06/04/2011, 21:22 
Avatar utente

Iscritto il: 05/02/2009, 17:25
Messaggi: 4894
Località: Zola Predosa (BO)
Nome: Loris Colacurcio
Come l'hai trovato ? Alla luce o mentre scavavi ?
:hi:

_________________
Loris


Top
profilo
MessaggioInviato: 07/04/2011, 8:56 
Avatar utente

Iscritto il: 05/09/2009, 7:56
Messaggi: 3445
Località: Cesena
Nome: Gianfranco Sama
Loriscola ha scritto:
Come l'hai trovato ? Alla luce o mentre scavavi ?
:hi:

Semplicemente sotto sassi :mrgreen:

_________________
Gianfranco Sama

"Benedetto colui che ti aiuta a correggere i tuoi errori invece di scagliarteli contro"
___________________________________
Gershom Sholem


Top
profilo
MessaggioInviato: 07/04/2011, 9:04 
Avatar utente

Iscritto il: 09/11/2009, 14:12
Messaggi: 5145
Località: Hradec Kralove,Czech republik
Nome: Jan Matějíček
My experience beating,skidding vegetation on the Water.

_________________
Research Fields
Taxonomy, ecology, biomonitoring , faunistic of Staphylinidae


Top
profilo
Visualizza ultimi messaggi:  Ordina per  
nuovo argomento
rispondi
Pagina 1 di 1 [ 7 messaggi ]

Tutti gli orari sono UTC + 1 ora [ ora legale ]


Chi c’è in linea

Visitano il forum: Nessuno e 1 ospite


Non puoi aprire nuovi argomenti
Non puoi rispondere negli argomenti
Non puoi modificare i tuoi messaggi
Non puoi cancellare i tuoi messaggi
Non puoi inviare allegati

Cerca per:
Vai a: