| Autore |
Messaggio |
|
Julodis
|
Inviato: 31/03/2013, 0:43 |
|
Iscritto il: 30/12/2009, 22:20 Messaggi: 31564 Località: Roma
Nome: Maurizio Gigli
|
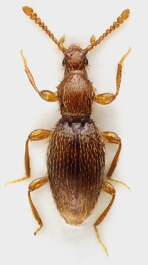
Questo Staphylinidae Scydmaeninae mi è uscito fuori setacciando i muschi presi sul terreno al bordo di un boschetto misto di faggio, carpino e roverella. Lazio, Frosinone, Serrone, Monte Scalambra, versante SW, 1100 m, 29.III.2013, M. Gigli legit 1,2 mm
|
|
| Top |
|
 |
|
Mikiphasmide
|
Inviato: 31/03/2013, 1:39 |
|
Iscritto il: 21/02/2011, 15:25 Messaggi: 3879 Località: Montecchio Emilia (RE)
Nome: Violi Michele
|
Confrontandolo superficialmente con gli altri del forum mi sembra appartenere ai Neuraphini, quindi Neuraphes sp o Scydmoraphes sp  Nel caso abbia detto una cavolata scusate, la prossima volta me ne staro zitto zitto 
_________________ Michele 
|
|
| Top |
|
 |
|
Julodis
|
Inviato: 31/03/2013, 9:04 |
|
Iscritto il: 30/12/2009, 22:20 Messaggi: 31564 Località: Roma
Nome: Maurizio Gigli
|
|
Anch'io avevo pensato a Scydmoraphes, ma sono così tanti ...
|
|
| Top |
|
 |
|
Honza
|
Inviato: 31/03/2013, 9:46 |
|
Iscritto il: 09/11/2009, 14:12 Messaggi: 5145 Località: Hradec Kralove,Czech republik
Nome: Jan Matějíček
|
|
Penso anche che Scydmoraphes
_________________ Research Fields Taxonomy, ecology, biomonitoring , faunistic of Staphylinidae
|
|
| Top |
|
 |
|
elleelle
|
Inviato: 31/03/2013, 10:57 |
|
Iscritto il: 28/05/2009, 16:38 Messaggi: 5030
Nome: luigi lenzini
|
... ma gli Scydmanidae non avevano messo su famiglia per conto loro?  (i miei, sembra proprio che vogliano mettere su famiglia ....  )  luigi
|
|
| Top |
|
 |
|
Julodis
|
Inviato: 31/03/2013, 11:15 |
|
Iscritto il: 30/12/2009, 22:20 Messaggi: 31564 Località: Roma
Nome: Maurizio Gigli
|
|
E' ormai da un po' che sono stati riuniti agli Staphylinidae. Se ne è discusso tempo fa anche qui sul Forum.
|
|
| Top |
|
 |
|
Honza
|
Inviato: 31/03/2013, 11:24 |
|
Iscritto il: 09/11/2009, 14:12 Messaggi: 5145 Località: Hradec Kralove,Czech republik
Nome: Jan Matějíček
|
Julodis ha scritto: E' ormai da un po' che sono stati riuniti agli Staphylinidae. Se ne è discusso tempo fa anche qui sul Forum. Sì qui
_________________ Research Fields Taxonomy, ecology, biomonitoring , faunistic of Staphylinidae
|
|
| Top |
|
 |
|
elleelle
|
Inviato: 31/03/2013, 19:47 |
|
Iscritto il: 28/05/2009, 16:38 Messaggi: 5030
Nome: luigi lenzini
|
Io non sono competente per giudicare, ma mi sembra che la tassonomia sia nel caos. Quanto meno, credo che ci vorrebbe un autorità riconosciuta che la aggiorni ufficialmente. (Fauna Europaea?) E' chiaro che non stiamo "scoprendo" una realtà oggettiva (tipo le tavole periodiche degli elementi), ma stiamo "definendo" una struttura in base a criteri arbitrari. A seconda di quali caratteristiche (genetiche, fisiche, biologiche ....) si conviene di scegliere come discriminanti, il risultato è diverso. Mi sembra anche che la tassonomia attuale sia improntata a criteri diversi a seconda dei gruppi di animali e che questi criteri vengano cambiati via via che qualcuno ci fa su uno studio e una pubblicazione. Allora, a che scopo modificare continuamente? Se comunque si tratta di una convenzione, di un linguaggio, cambiarlo di continuo per renderlo un po' migliore (e non a detta di tutti) è utile? (eccetto che per chi fa la pubblicazione)  luigi
|
|
| Top |
|
 |
|
Glaphyrus
|
Inviato: 31/03/2013, 20:29 |
|
Iscritto il: 05/02/2009, 17:28 Messaggi: 3226
Nome: Marco Uliana
|
Luigi, la domanda che poni apre un discorso complesso, su cui si sono spesi, e si spendono, fiumi di parole. Provo a rispondere richiamando qualche concetto di base. Direi, anzitutto, che questa frase non definisce gli attuali criteri su cui si basa la sistematica. elleelle ha scritto: E' chiaro che non stiamo "scoprendo" una realtà oggettiva (tipo le tavole periodiche degli elementi), ma stiamo "definendo" una struttura in base a criteri arbitrari. A seconda di quali caratteristiche (genetiche, fisiche, biologiche ....) si conviene di scegliere come discriminanti, il risultato è diverso. In realtà l'opinione oggi accettata dalla grande maggioranza dei sistematici è che la classificazione debba basarsi su una realtà oggettiva, che è quella filogenetica. Ossia, i raggruppamenti sistematici dovrebbero coincidere con "gruppi naturali", cioè gruppi di viventi che discendono da una comune "specie progenitrice". In base alle attuali teorie evoluzionistiche possiamo affermare che questi gruppi sono realtà oggettive, il difficile può essere individuarli e definirne le reciproche relazioni di parentela. Ma questo problema si affronta tramite un metodo analitico che è l'analisi cladistica, una tecnica che permette (pur andando per tentativi, errori, e migliori approssimazioni) di ricostruire con metodo oggettivo la storia evolutiva dei viventi. Di conseguenza, basando le classificazioni su ricostruzioni evolutive ottenute con l'analisi cladistica, se ne limita fortemente l'arbitrarietà. In sostanza, le numerose reinterpretazioni che in questi anni scuotono la sistematica cui eravamo abituati sono dovuti, generalmente, a una migliore comprensione della storia dei viventi e dei loro rapporti evolutivi.
|
|
| Top |
|
 |
|
Julodis
|
Inviato: 01/04/2013, 1:16 |
|
Iscritto il: 30/12/2009, 22:20 Messaggi: 31564 Località: Roma
Nome: Maurizio Gigli
|
|
Perfettamente d'accordo con quanto scritto da Marco, però posso capire le perplessità di Luigi. In questo caso specifico, considerare Staphylinidae, Scydmaenidae, Pselaphidae, Scaphidiidae come famiglie, oppure come sottofamiglie dell'unica famiglia Staphylinidae, non fa molta differenza. Nel senso che i rapporti filogenetici restano gli stessi. Solo che qualcuno considera differenze ed affinità tali da giustificare una separazione in famiglie, altri solo a livello di sottofamiglie che, a mio modesto parere, non fa proprio nessuna differenza. Lo stesso si potrebbe dire per la ben più complessa situazione degli Scarabaeoidea, come di tanti altri gruppi. Perfino sui Buprestidi ci sono posizioni diverse, per cui alcuni li considerano una sola famiglia, altri li dividono in Buprestidae e Schyzopodidae, riuniti nella superfamiglia Buprestoidea. A qualcuno potrebbe anche venire in mente di dividerla ulteriormente in Schyzopodidae, Julodidae, Buprestidae, Agrilidae e chissà che altro.
Quel che posso dire, da quando ho cominciato a raccogliere bestioline vagliando, è che le differenze che sembrano notevoli confrontando un Ocypus, un Mastigus e uno Pselaphus, si attenuano confrontando altri generi. Per cui forse la sistemazione in unica famiglia potrebbe essere giustificata. Anzi, giorni fa stavo preparando un Leiodidae (Catops o simili). Era rimasto troppo a lungo nell'aceto, e l'addome si era estroflesso al massimo, tanto che l'avevo preso per uno Staphylinidae di un genere che si trova negli stessi ambienti e delle stesse dimensioni. Mi ci è voluto un po' per essere certo della famiglia. Non mi meraviglierei più di tanto se una volta o l'altra riunissero agli Staphylinidae pure questa famiglia (che già ora riunisce i precedenti Leiodidae, Cholevidae e Catopidae).
|
|
| Top |
|
 |
|
Julodis
|
Inviato: 01/04/2013, 1:55 |
|
Iscritto il: 30/12/2009, 22:20 Messaggi: 31564 Località: Roma
Nome: Maurizio Gigli
|
|
Col lavoro di Jan e qualcosa trovato sul web ho potuto escludere diverse specie. Quelli che mi sembrano più simili sembrerebbero Scydmoraphes sparshalli e Scydmoraphes praetermissus (quest'ultimo descritto di una montagna vicina a Monte Scalambra), ma entrambi mi sembra abbiano le antenne diverse dal mio esemplare.
|
|
| Top |
|
 |
|
Julodis
|
Inviato: 01/04/2013, 9:07 |
|
Iscritto il: 30/12/2009, 22:20 Messaggi: 31564 Località: Roma
Nome: Maurizio Gigli
|
Julodis ha scritto: Scydmoraphes praetermissus (quest'ultimo descritto di una montagna vicina a Monte Scalambra)
|
|
| Top |
|
 |
|
Centrotoma
|
Inviato: 01/04/2013, 12:22 |
|
Iscritto il: 31/01/2010, 13:28 Messaggi: 171 Località: Prague, Czech republic
Nome: Adam Šíma
|
The first one is universal Scydmoraphes. It´s very difficult genus and it becomes more and more complicated even thanks to Mr. Castellini who doesn´t give a differential diagnosis in his descriptions... The second ones are Stenichnus sp.
|
|
| Top |
|
 |
|
elleelle
|
Inviato: 01/04/2013, 13:19 |
|
Iscritto il: 28/05/2009, 16:38 Messaggi: 5030
Nome: luigi lenzini
|
|
Maurizio ha espresso molto meglio di me le mie perplessità, che avevo in mente in maniera rozza.
L'albero tassonomico mi ricorda un organigramma. Anche lì, ferma restando la piramide, si può decidere di creare caselle o non crearle, o di cancellarle se già ci sono.
In questo, secondo me, consiste l'arbitrarietà. Da quando facevo collezione da ragazzo c'è stato un aumento notevole della "stratificazione". Come nella musica sono nati i diesis e i bemolle, sono nate sottofamiglie, superfamiglie e altro. Poi, ultimamente, c'è stata una tendenza alla ricompattazione, come in questo caso o nel caso delle cicindele finite in mezzo ai Carabidae.
Forse, bisognerebbe mettersi d'accordo sui concetti di genere, famiglia e strati intermedi; e di conseguenza decidere. Forse le definizioni esistono, e sono io che non li conosco. Comunque, alzare e abbassare di continuo il livelli mi sembra che non giovi alla materia.
|
|
| Top |
|
 |
|
Glaphyrus
|
Inviato: 01/04/2013, 15:19 |
|
Iscritto il: 05/02/2009, 17:28 Messaggi: 3226
Nome: Marco Uliana
|
Julodis ha scritto: In questo caso specifico, considerare Staphylinidae, Scydmaenidae, Pselaphidae, Scaphidiidae come famiglie, oppure come sottofamiglie dell'unica famiglia Staphylinidae, non fa molta differenza. Non conosco l'albero filogenetico più accreditato per questo gruppo di coleotteri, comunque dubito che questa ipotesi sia filogeneticamente difendibile: o questi gruppi sono inclusi negli stafilinidi, o ne sono esclusi. Se ne sono inclusi, non possiamo elevarli a livello di famiglia e chiamare "Staphylinidae" ciò che resta: gli Staphylinidae sarebbero un gruppo parafiletico, e quindi da rigettare. Per lo stesso motivo gli Aves (uccelli), ormai da tempo, non sono più una classe, ma sono inclusi nei Reptilia (rettili), i quali - senza gli uccelli - non sarebbero un gruppo naturale.
|
|
| Top |
|
 |
|