Benvenuto Ospite

Forum Entomologi Italiani

www.entomologiitaliani.net/forum
 
Oggi è 09/10/2025, 11:50

Tutti gli orari sono UTC + 1 ora [ ora legale ]

Cicadellidae - Sasso Marconi (BO)

V.2010 - ITALIA - Emilia-Romagna - BO, Sasso Marconi - Palazzo Rossi


nuovo argomento
rispondi
Pagina 1 di 1 [ 5 messaggi ]
Autore Messaggio
 Oggetto del messaggio: Cicadellidae - Sasso Marconi (BO)
MessaggioInviato: 08/06/2010, 20:37 
Avatar utente

Iscritto il: 05/02/2009, 17:25
Messaggi: 4894
Località: Zola Predosa (BO)
Nome: Loris Colacurcio
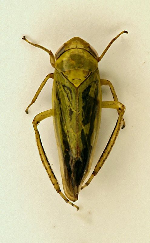
Sasso Marconi (BO) - Palazzo Rossi, maggio 2010
Lunghezza: siamo sui 6 mm. circa

Cicaletta 4a.JPG


Cicaletta 4b.JPG


_________________
Loris


Top
profilo
 Oggetto del messaggio: Re: Cicaletta 4 - Sasso Marconi (BO)
MessaggioInviato: 09/06/2010, 21:47 
Avatar utente

Iscritto il: 06/02/2009, 9:15
Messaggi: 1463
Località: Vigevano PV
Nome: Danilo Mario Piccolino
:) Questa è già più difficilotta.

per adesso:

Famiglia: Cicadellidae sp.

probabile sottofamiglia Deltocephalinae.....è da studiare meglio. Una domanda a Loris, trovata sfalciando sulle erbe ?


:hi:

_________________
Danilo


Top
profilo
 Oggetto del messaggio: Re: Cicaletta 4 - Sasso Marconi (BO)
MessaggioInviato: 11/06/2010, 8:13 
Avatar utente

Iscritto il: 05/02/2009, 17:25
Messaggi: 4894
Località: Zola Predosa (BO)
Nome: Loris Colacurcio
Yes, questa è una "prativa" :ok:

_________________
Loris


Top
profilo
 Oggetto del messaggio: Re: Cicaletta 4 - Sasso Marconi (BO)
MessaggioInviato: 13/06/2010, 21:46 
Avatar utente

Iscritto il: 06/02/2009, 9:15
Messaggi: 1463
Località: Vigevano PV
Nome: Danilo Mario Piccolino
Loriscola ha scritto:
Yes, questa è una "prativa" :ok:


Scusami se "insisto" era un prato umido oppure vi era vicinanza di acqua ? la colorazione è virata dall'originale dopo che l'avevi messa credo nel flacone di caccia con etere ?

Ci risentiamo.

:hi:

_________________
Danilo


Top
profilo
 Oggetto del messaggio: Re: Cicadellidae - Sasso Marconi (BO)
MessaggioInviato: 14/06/2010, 10:26 
Avatar utente

Iscritto il: 05/02/2009, 17:25
Messaggi: 4894
Località: Zola Predosa (BO)
Nome: Loris Colacurcio
Ovviamente le tue domande non disturbano affatto :ok:

Palazzo Rossi è sempre in prossimità dell'acqua (il fiume Reno). A dispetto di questo, la maggior parte delle zone di cattura è estremamente secca e arida.

Credo, ma il condizionale è d'obbligo, di avere preso questo esemplare nella piccola area proprio a ridosso di uno "sogo" della diga, dove l'acqua esce quasi sempre con violenza e si è formata una zona estremamente umida.

Circa la colorazione della bestiola, ti posso confermare che non vi erano quelle macchie nerastre (come di bagnato), ma presentava una livrea più o meno uniforme di quel verde giallastro.

Spero di esserti stato d'aiuto :hi:

_________________
Loris


Top
profilo
Visualizza ultimi messaggi:  Ordina per  
nuovo argomento
rispondi
Pagina 1 di 1 [ 5 messaggi ]

Tutti gli orari sono UTC + 1 ora [ ora legale ]


Chi c’è in linea

Visitano il forum: Nessuno e 1 ospite


Non puoi aprire nuovi argomenti
Non puoi rispondere negli argomenti
Non puoi modificare i tuoi messaggi
Non puoi cancellare i tuoi messaggi
Non puoi inviare allegati

Cerca per:
Vai a: