Benvenuto Ospite

Forum Entomologi Italiani

www.entomologiitaliani.net/forum
 
Oggi è 03/11/2025, 6:42

Tutti gli orari sono UTC + 1 ora [ ora legale ]

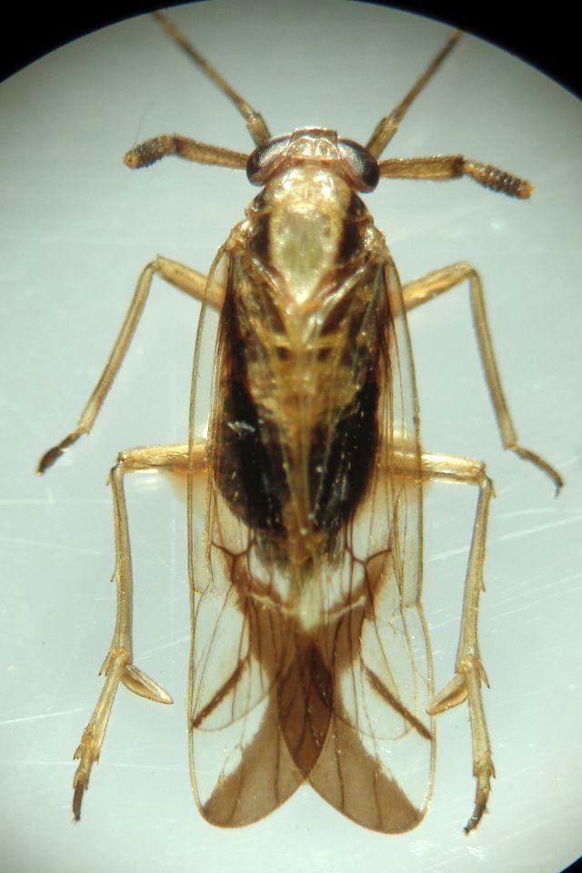
Delphax sp. - Delphacidae

5.VIII.2011 - ITALIA - Emilia-Romagna - RA, Mezzano (ZPS)


nuovo argomento
rispondi
Pagina 1 di 1 [ 3 messaggi ]
Autore Messaggio
 Oggetto del messaggio: Delphax sp. - Delphacidae
MessaggioInviato: 18/02/2020, 19:59 
 

Iscritto il: 08/12/2013, 1:52
Messaggi: 7530
Località: Bagnacavallo (RA)
Nome: Giorgio Pezzi
Questa specie mi pare ben caratterizzata da tentare di ottenere una ID; mm 7 (testa/ali). Grazie. :hi:
DSC02097.JPG



DSC02106.JPG

DSC02102.JPG

DSC02098.JPG

DSC02100.JPG

Top
profilo
 Oggetto del messaggio: Re: Omottero da ID
MessaggioInviato: 19/02/2020, 2:04 
Avatar utente

Iscritto il: 13/06/2015, 13:46
Messaggi: 1674
Località: Milano
Nome: Claudio Leali
Direi; Delphax sp. Delphacidae.

:hi:

_________________
"E' ciò che non si vede, non quello che si vede che fa paura."
Christopher Lee


Top
profilo
 Oggetto del messaggio: Re: Omottero da ID
MessaggioInviato: 19/02/2020, 19:34 
 

Iscritto il: 08/12/2013, 1:52
Messaggi: 7530
Località: Bagnacavallo (RA)
Nome: Giorgio Pezzi
Grazie! :hi:


Top
profilo
Visualizza ultimi messaggi:  Ordina per  
nuovo argomento
rispondi
Pagina 1 di 1 [ 3 messaggi ]

Tutti gli orari sono UTC + 1 ora [ ora legale ]


Chi c’è in linea

Visitano il forum: Nessuno e 1 ospite


Non puoi aprire nuovi argomenti
Non puoi rispondere negli argomenti
Non puoi modificare i tuoi messaggi
Non puoi cancellare i tuoi messaggi
Non puoi inviare allegati

Cerca per:
Vai a: