Benvenuto Ospite

Forum Entomologi Italiani

www.entomologiitaliani.net/forum
 
Oggi è 28/10/2025, 11:34

Tutti gli orari sono UTC + 1 ora [ ora legale ]

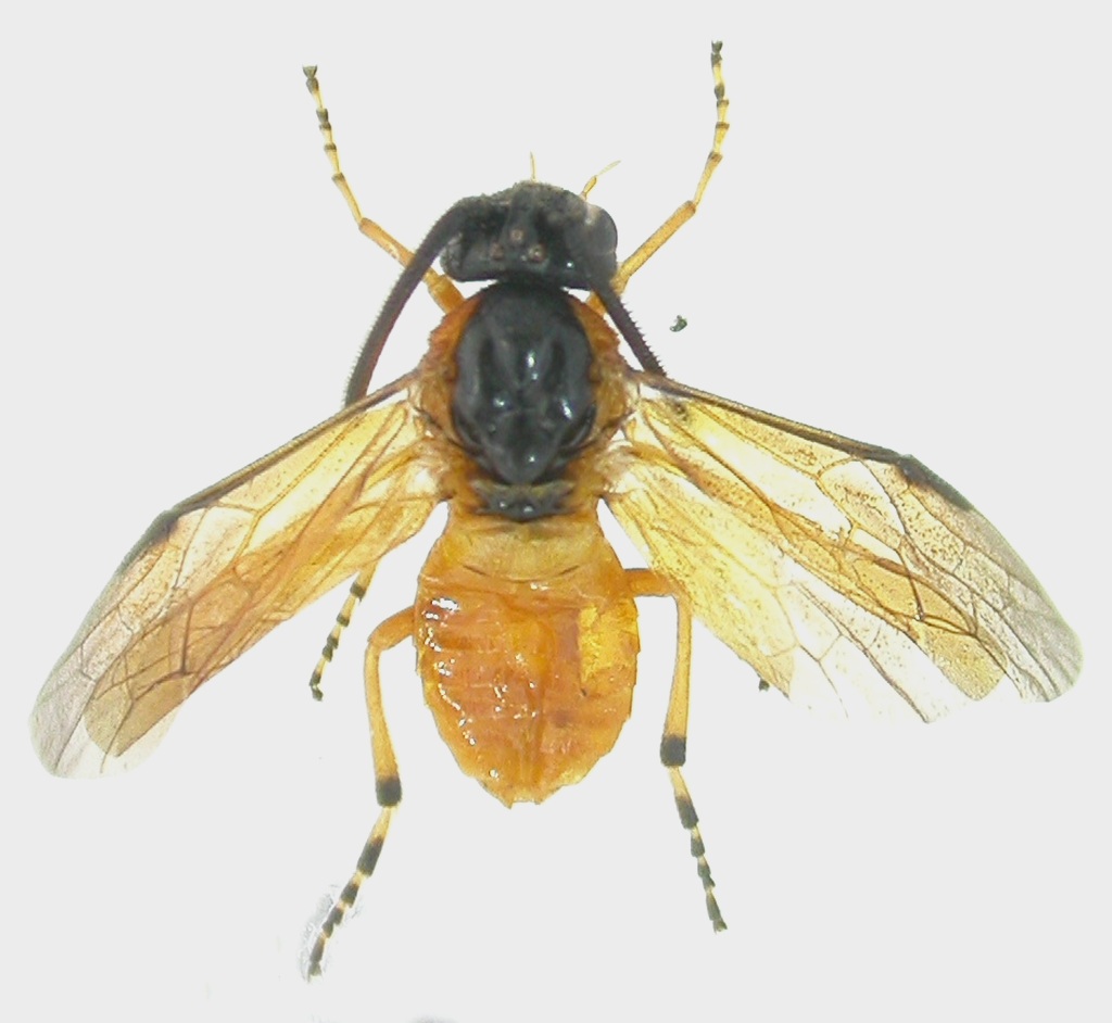
Arge ochropus (Gmelin, 1790) (cf.) - Argidae

17.VIII.2015 - ITALIA - Sardegna - OR, Oristano, Narbolia, spiaggia di Is Arenas, R. Rattu leg.


nuovo argomento
rispondi
Pagina 1 di 1 [ 6 messaggi ]
Autore Messaggio
MessaggioInviato: 28/02/2016, 15:34 
Avatar utente

Iscritto il: 02/09/2009, 20:57
Messaggi: 8703
Località: Cagliari
Nome: Roberto Rattu
Esemplare lungo 7.1 mm, raccolto su fiori di finocchio marino:

DSCN1462.JPG



Top
profilo
 Oggetto del messaggio: Re: Argidae da id.
MessaggioInviato: 29/02/2016, 6:35 
Avatar utente

Iscritto il: 22/11/2010, 18:16
Messaggi: 1110
Località: Donzy (Bourgogne : Dipart. Nièvre) - Francia
Nome: Jean-Pierre Balmer
Salui,
This Symphyta looks like an Athala because of the aspect of Tibiae.
But the radial cell is not divided.
Thus it is a Nematinae, maybe a Pristiphorus but I can say nothing furthermore !
Ciao.
D & JP Balmer


Top
profilo
 Oggetto del messaggio: Re: Argidae da id.
MessaggioInviato: 29/02/2016, 16:50 
Avatar utente

Iscritto il: 02/09/2009, 20:57
Messaggi: 8703
Località: Cagliari
Nome: Roberto Rattu
D & JP Balmer ha scritto:
Thus it is a Nematinae, maybe a Pristiphorus but I can say nothing furthermore

Thank you :birra: ! Pristiphorus or Pristiphora?

:hi:


Top
profilo
MessaggioInviato: 29/02/2016, 19:35 
 

Iscritto il: 10/07/2010, 14:42
Messaggi: 4783
Nome: Giuseppe Pace
Le antenne sembrano di Argidae. :?

Ciao
Giuseppe


Top
profilo
MessaggioInviato: 01/03/2016, 0:23 
Avatar utente

Iscritto il: 05/02/2009, 17:31
Messaggi: 9527
Località: milano
Nome: maurizio pavesi
giuseppe55 ha scritto:
Le antenne sembrano di Argidae. :?

sicuramente Argidae, non Tenthredinidae

Arge cf. ochropus... ci guardo

_________________
*****************
Immagine maurizio


Top
profilo
MessaggioInviato: 01/03/2016, 8:05 
Avatar utente

Iscritto il: 22/11/2010, 18:16
Messaggi: 1110
Località: Donzy (Bourgogne : Dipart. Nièvre) - Francia
Nome: Jean-Pierre Balmer
giuseppe55 ha scritto:
Le antenne sembrano di Argidae. :?

Ciao
Giuseppe

Saluti,

I had seen well the shape of the antennas which had the appearance of Argidae, but the wings did not show the cell open of the apex of the Forewing (the deformation of this one did not seem to mask the possible presence of the secondary cell).

Ciao
D & JP Balmer


Top
profilo
Visualizza ultimi messaggi:  Ordina per  
nuovo argomento
rispondi
Pagina 1 di 1 [ 6 messaggi ]

Tutti gli orari sono UTC + 1 ora [ ora legale ]


Chi c’è in linea

Visitano il forum: Nessuno e 1 ospite


Non puoi aprire nuovi argomenti
Non puoi rispondere negli argomenti
Non puoi modificare i tuoi messaggi
Non puoi cancellare i tuoi messaggi
Non puoi inviare allegati

Cerca per:
Vai a:  
cron