Forum Entomologi Italiani
http://www.entomologiitaliani.net/public/forum/phpBB3/

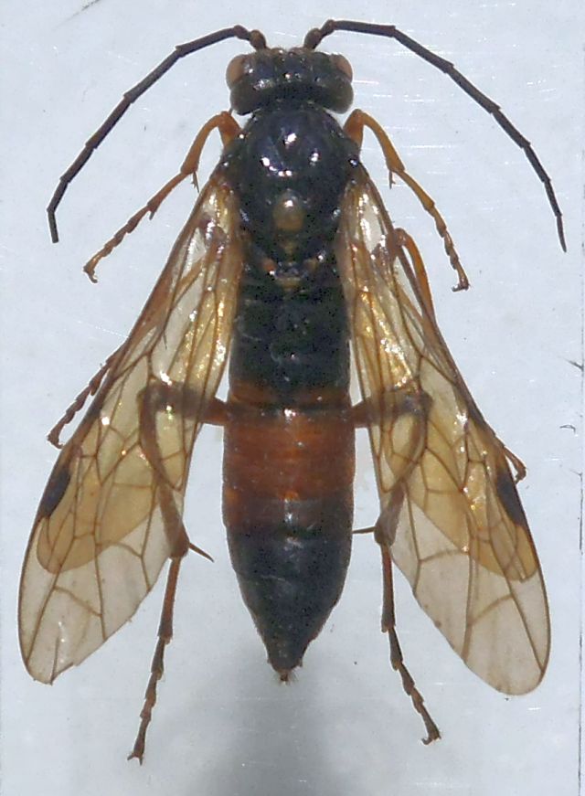
Tenthredopsis sp. - Tenthredinidae
http://www.entomologiitaliani.net/public/forum/phpBB3/viewtopic.php?f=375&t=61852
Pagina 1 di 1

Autore:  Chalybion [ 28/05/2015, 11:31 ]
Oggetto del messaggio:  Tenthredopsis sp. - Tenthredinidae

Agli amanti del genere (ne conosco uno di Milano :gh: ) propongo questo secondo esemplare femmina di mm 13: si riconosce? Molto simile a questo viewtopic.php?f=11&t=61851 salvo per il colore dell'addome, con caratteristiche identiche che ripropongo: clipeo bianco (come il labbro), appena arcuato; mesopleure con fini punti, lucide; ipopigio ad apice incavato, coi lati pallidi e centro bruno scuro. Anche questo somiglia ad una grossa carbonaria. :roll:
Grazie. :hi:
DSCF1752.JPG



Allegati:
DSCF1750.JPG


Pagina 1 di 1 Tutti gli orari sono UTC + 1 ora [ ora legale ]
Powered by phpBB® Forum Software © phpBB Group
http://www.phpbb.com/