Benvenuto Ospite

Forum Entomologi Italiani

www.entomologiitaliani.net/forum
 
Oggi è 03/11/2025, 16:42

Tutti gli orari sono UTC + 1 ora [ ora legale ]

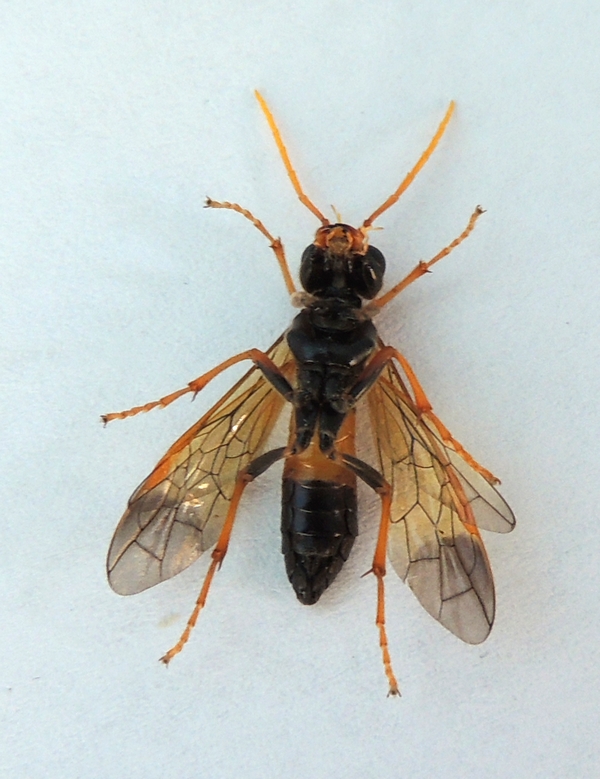
Tenthredo (Endotethryx) campestris Linnaeus, 1758 - Tenthredinidae

29.IV.2016 - ROMANIA - EE, Romania : Moldova : Bacau : Comanesti


nuovo argomento
rispondi
Pagina 1 di 1 [ 3 messaggi ]
Autore Messaggio
MessaggioInviato: 01/05/2016, 23:15 
Avatar utente

Iscritto il: 31/08/2010, 7:16
Messaggi: 3040
Località: Romania
Nome: Pintilioaie Alexandru Mihai
Hi, any idea about this nice specimen ? :hi:

DSCN8982.JPG



DSCN8980.JPG



DSCN8978.JPG


_________________
alexandrupintilioaie(AT)gmail.com


Top
profilo
 Oggetto del messaggio: Re: Symphyta from Romania
MessaggioInviato: 01/05/2016, 23:25 
Avatar utente

Iscritto il: 05/02/2009, 17:31
Messaggi: 9527
Località: milano
Nome: maurizio pavesi
hi alexandru

Tenthredo (Endotethryx) campestris Linnaeus, 1758

_________________
*****************
Immagine maurizio


Top
profilo
MessaggioInviato: 02/05/2016, 21:56 
Avatar utente

Iscritto il: 31/08/2010, 7:16
Messaggi: 3040
Località: Romania
Nome: Pintilioaie Alexandru Mihai
Grazie Maurizio ! :birra: :D :hi:

_________________
alexandrupintilioaie(AT)gmail.com


Top
profilo
Visualizza ultimi messaggi:  Ordina per  
nuovo argomento
rispondi
Pagina 1 di 1 [ 3 messaggi ]

Tutti gli orari sono UTC + 1 ora [ ora legale ]


Chi c’è in linea

Visitano il forum: Nessuno e 1 ospite


Non puoi aprire nuovi argomenti
Non puoi rispondere negli argomenti
Non puoi modificare i tuoi messaggi
Non puoi cancellare i tuoi messaggi
Non puoi inviare allegati

Cerca per:
Vai a: