| Forum Entomologi Italiani http://www.entomologiitaliani.net/public/forum/phpBB3/ |
|
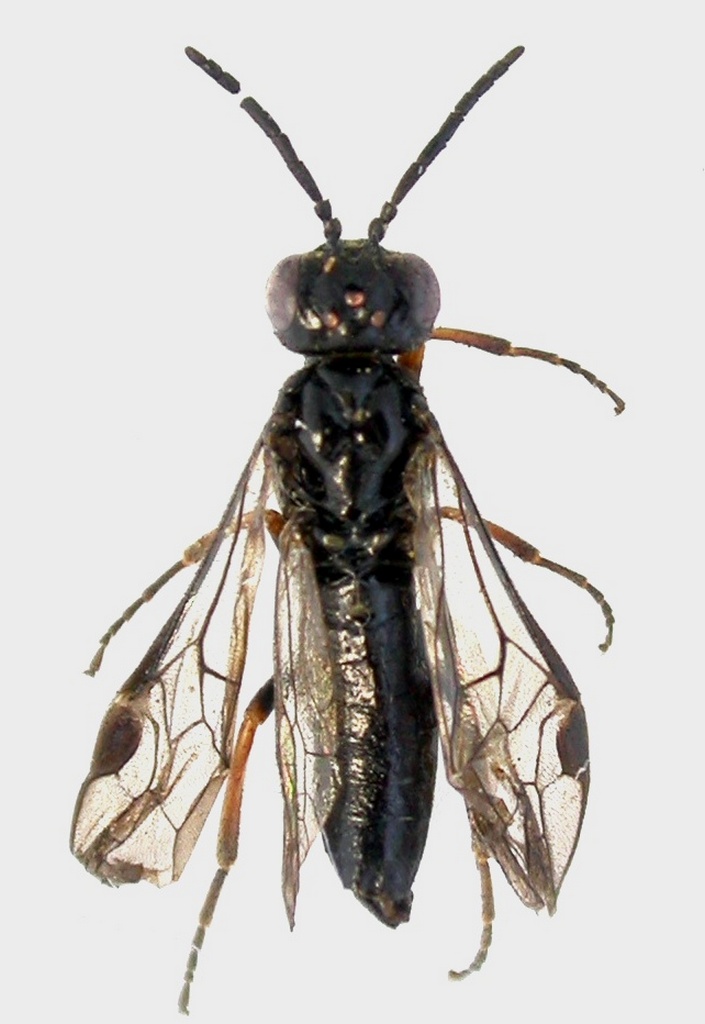
| Ametastegia sp. (cf.) - Tenthredinidae http://www.entomologiitaliani.net/public/forum/phpBB3/viewtopic.php?f=375&t=73422 |
Pagina 1 di 1 |
| Autore: | Fumea crassiorella [ 08/03/2017, 13:39 ] |
| Oggetto del messaggio: | Ametastegia sp. (cf.) - Tenthredinidae |
Esemplare lungo 5.1 mm, rinvenuto a sfalcio: |
|
| Autore: | gomphus [ 08/03/2017, 23:31 ] |
| Oggetto del messaggio: | Re: Hymenoptera Symphyta da id. |
a occhio direi Ametastegia sp., ma รจ solo un'idea prima di tutto, bisognerebbe riprepararlo, per vedere i dettagli della venatura alare |
|
| Pagina 1 di 1 | Tutti gli orari sono UTC + 1 ora [ ora legale ] |
| Powered by phpBB® Forum Software © phpBB Group http://www.phpbb.com/ |
|