Benvenuto Ospite

Forum Entomologi Italiani

www.entomologiitaliani.net/forum
 
Oggi è 03/11/2025, 8:25

Tutti gli orari sono UTC + 1 ora [ ora legale ]

Elinora flaveola (Gmelin 1790) ♂ AND Elinora xanthopus (Spinola 1843) (cf.) ♀ - Tenthredinidae

12.V.2017 - MAROCCO - EE, MEKNES-TAFILALT – Pressi Col du Zad, R. Rattu leg.


nuovo argomento
rispondi
Pagina 1 di 1 [ 12 messaggi ]
Autore Messaggio
MessaggioInviato: 03/11/2017, 12:41 
Avatar utente

Iscritto il: 02/09/2009, 20:57
Messaggi: 8703
Località: Cagliari
Nome: Roberto Rattu
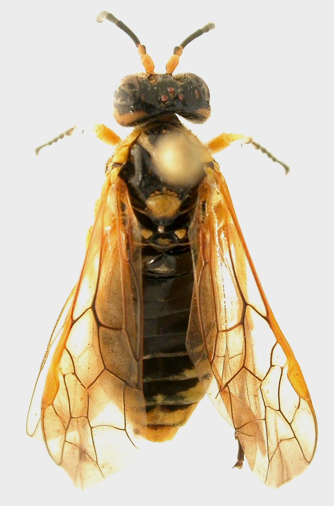
Esemplare lungo 10 mm. Raccolto in serie su fiori di Isatis tinctoria o specie affine:

DSCN3193.JPG



Top
profilo
 Oggetto del messaggio: Re: Symphyta da id.
MessaggioInviato: 03/11/2017, 16:03 
Avatar utente

Iscritto il: 22/11/2010, 18:16
Messaggi: 1111
Località: Donzy (Bourgogne : Dipart. Nièvre) - Francia
Nome: Jean-Pierre Balmer
Saluti,
Have you lateral & ventral views of Insect ?
Thanks.
Regards.
Ciao.
D & JP Balmer


Top
profilo
 Oggetto del messaggio: Re: Symphyta da id.
MessaggioInviato: 03/11/2017, 16:07 
Avatar utente

Iscritto il: 05/02/2009, 17:31
Messaggi: 9527
Località: milano
Nome: maurizio pavesi
direi Tenthredo (subgen.?) sp.

vedo che l'hai presa in serie :hj: :to: ... quindi magari hai preso sia maschi che femmine ;) si può vedere anche la femmina?

in ogni caso, sarebbe utile vederla/vederle (m. & f.) direttamente

_________________
*****************
Immagine maurizio


Top
profilo
 Oggetto del messaggio: Re: Symphyta da id.
MessaggioInviato: 03/11/2017, 16:14 
Avatar utente

Iscritto il: 02/09/2009, 20:57
Messaggi: 8703
Località: Cagliari
Nome: Roberto Rattu
Grazie a entrambi; intanto una foto ventrale dell'esemplare.

DSCN3194.JPG



Top
profilo
 Oggetto del messaggio: Re: Symphyta da id.
MessaggioInviato: 03/11/2017, 16:22 
Avatar utente

Iscritto il: 22/11/2010, 18:16
Messaggi: 1111
Località: Donzy (Bourgogne : Dipart. Nièvre) - Francia
Nome: Jean-Pierre Balmer
Hello,
Very probably Elinora flaveola, because the habitus & the plant on which the insect was captured.
But in Marocco many species have close habitus of flaveola.
I have to consult keys, as soon as it will have to will be made, me answers you.
Regards.
Ciao.
D & JP Balmer


Top
profilo
 Oggetto del messaggio: Re: Symphyta da id.
MessaggioInviato: 03/11/2017, 16:33 
Avatar utente

Iscritto il: 02/09/2009, 20:57
Messaggi: 8703
Località: Cagliari
Nome: Roberto Rattu
Di seguito una foto del maschio in visione laterale e di una femmina in visione dorsale e ventrale:

DSCN3195.JPG


DSCN3196.JPG


DSCN3197.JPG



Top
profilo
 Oggetto del messaggio: Re: Symphyta da id.
MessaggioInviato: 04/11/2017, 14:53 
Avatar utente

Iscritto il: 05/02/2009, 17:31
Messaggi: 9527
Località: milano
Nome: maurizio pavesi
te ne avanzano una coppia, vero ;) ?

_________________
*****************
Immagine maurizio


Top
profilo
 Oggetto del messaggio: Re: Symphyta da id.
MessaggioInviato: 04/11/2017, 20:07 
Avatar utente

Iscritto il: 05/02/2009, 17:31
Messaggi: 9527
Località: milano
Nome: maurizio pavesi
ripensandoci :roll: non sono del tutto convinto che il maschio e la femmina siano la stessa specie :?

_________________
*****************
Immagine maurizio


Top
profilo
 Oggetto del messaggio: Re: Symphyta da id.
MessaggioInviato: 05/11/2017, 13:47 
Avatar utente

Iscritto il: 22/11/2010, 18:16
Messaggi: 1111
Località: Donzy (Bourgogne : Dipart. Nièvre) - Francia
Nome: Jean-Pierre Balmer
Saluti,
Elinora flaveola confirmed, with the 2nd antennal segment mainly black (yellow for the typical species).
As for the ♀ photographed, I have to look for !
Regards.
Ciao.
D & JP Balmer


Top
profilo
 Oggetto del messaggio: Re: Symphyta da id.
MessaggioInviato: 05/11/2017, 16:24 
Avatar utente

Iscritto il: 02/09/2009, 20:57
Messaggi: 8703
Località: Cagliari
Nome: Roberto Rattu
D & JP Balmer ha scritto:
Saluti,
Elinora flaveola confirmed, with the 2nd antennal segment mainly black (yellow for the typical species).
As for the ♀ photographed, I have to look for !
Regards.
Ciao.
D & JP Balmer


Thank you Jean-Pierre :birra:

@Maurizio, certamente posso cederti un paio di femmine (maschio ne ho uno solo al momento, a meno che non ne spunti qualcun altro dal freezer).

:hi:


Top
profilo
 Oggetto del messaggio: Re: Symphyta da id.
MessaggioInviato: 05/11/2017, 18:20 
Avatar utente

Iscritto il: 05/02/2009, 17:31
Messaggi: 9527
Località: milano
Nome: maurizio pavesi
Fumea crassiorella ha scritto:
D & JP Balmer ha scritto:
Saluti,
Elinora flaveola confirmed, with the 2nd antennal segment mainly black (yellow for the typical species).
As for the ♀ photographed, I have to look for ! ...

@Maurizio, certamente posso cederti un paio di femmine (maschio ne ho uno solo al momento, a meno che non ne spunti qualcun altro dal freezer).

io però :oops: prima verificherei che cosa sono e soprattutto se sono tutte la stessa specie :? dato che le Tenthredo spesso e volentieri sono piuttosto ostiche :sick: e che la femmina fotografata direi proprio che non è una flaveola

in generale i maschi dei tentredinidi o sono colorati come le femmine, o hanno parti chiare (rosse, gialle o biancastre) più ridotte che nella femmina, se non assenti, quindi controlla anche che in mezzo alle femmine non ci sia qualche maschio con colorazione + o - uguale

_________________
*****************
Immagine maurizio


Top
profilo
 Oggetto del messaggio: Re: Symphyta da id.
MessaggioInviato: 07/11/2017, 15:39 
Avatar utente

Iscritto il: 22/11/2010, 18:16
Messaggi: 1111
Località: Donzy (Bourgogne : Dipart. Nièvre) - Francia
Nome: Jean-Pierre Balmer
Hello,

What follows concern the not identified ♀.
The length of Insect is not known.
The Wings hide important parts of Tergites and we have no lateral view of Thorax (in particular the Mesopleurons are not visible).
We do not see if the Head is widened behind Eyes.
The punctuation of Thorax is not visible.
Nevertheless, maybe : Elinora xanthopus (Spinola 1843)

Regards.
Ciao.
D & JP Balmer


Top
profilo
Visualizza ultimi messaggi:  Ordina per  
nuovo argomento
rispondi
Pagina 1 di 1 [ 12 messaggi ]

Tutti gli orari sono UTC + 1 ora [ ora legale ]


Chi c’è in linea

Visitano il forum: Nessuno e 2 ospiti


Non puoi aprire nuovi argomenti
Non puoi rispondere negli argomenti
Non puoi modificare i tuoi messaggi
Non puoi cancellare i tuoi messaggi
Non puoi inviare allegati

Cerca per:
Vai a: