Benvenuto Ospite

Forum Entomologi Italiani

www.entomologiitaliani.net/forum
 
Oggi è 08/10/2025, 12:45

Tutti gli orari sono UTC + 1 ora [ ora legale ]

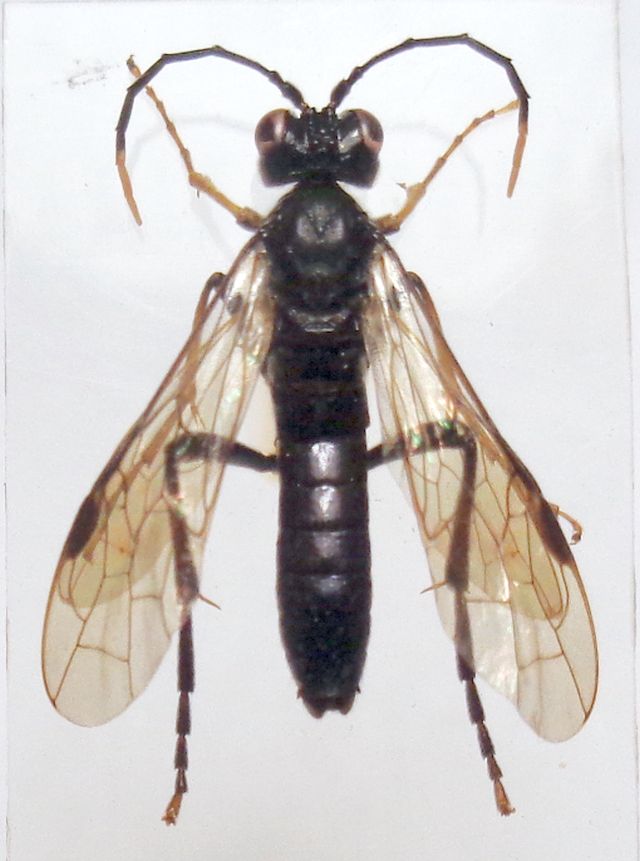
Tenthredo (Tenthredella) livida Linnaeus, 1758 (cf.) - Tenthredinidae

28.VII.2021 - ITALIA - Trentino-Alto Adige - TN, rif. Cauriol, m 1600, Monti del Lagorai


nuovo argomento
rispondi
Pagina 1 di 1 [ 1 messaggio ]
Autore Messaggio
MessaggioInviato: 18/08/2021, 21:33 
 

Iscritto il: 08/12/2013, 1:52
Messaggi: 7493
Località: Bagnacavallo (RA)
Nome: Giorgio Pezzi
Maschio di mm 13 ca.; clipeo nero, labbro bianco, regolamentari macchie bianche ai lati del 1° tergite e metapleura adiacente, pro e mesotibie e tarsi gialli, metazampe quasi totalmente nere (tibie sfumate di fulvo), femori tutti nerastri. grazie per ogni parere.
:hi:
livid.JPG



liv ant.JPG

liv front.JPG

liv lat.JPG

Top
profilo
Visualizza ultimi messaggi:  Ordina per  
nuovo argomento
rispondi
Pagina 1 di 1 [ 1 messaggio ]

Tutti gli orari sono UTC + 1 ora [ ora legale ]


Chi c’è in linea

Visitano il forum: Nessuno e 1 ospite


Non puoi aprire nuovi argomenti
Non puoi rispondere negli argomenti
Non puoi modificare i tuoi messaggi
Non puoi cancellare i tuoi messaggi
Non puoi inviare allegati

Cerca per:
Vai a: