Benvenuto Ospite

Forum Entomologi Italiani

www.entomologiitaliani.net/forum
 
Oggi è 10/10/2025, 5:51

Tutti gli orari sono UTC + 1 ora [ ora legale ]

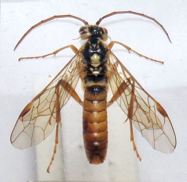
Tenthredopsis nassata (Linnaeus, 1757) f.ma friesei Konow, 1884 - Tenthredinidae

13.V.2017 - ITALIA - Toscana - GR, dint di Bagno Vignoni, m 260


nuovo argomento
rispondi
Pagina 1 di 1 [ 1 messaggio ]
Autore Messaggio
MessaggioInviato: 18/12/2021, 23:36 
 

Iscritto il: 08/12/2013, 1:52
Messaggi: 7496
Località: Bagnacavallo (RA)
Nome: Giorgio Pezzi
maschio di, mm 10,5, det F. Pesarini. Da me catturata lungo il fiume Orcia. Pare che friesei sia da ritenere solo forma di nassata L.
:hi:
AAnass.JPG



AAnass front.JPG

AAnass thor.JPG

AAnass add.JPG

AAnass lat.JPG

Top
profilo
Visualizza ultimi messaggi:  Ordina per  
nuovo argomento
rispondi
Pagina 1 di 1 [ 1 messaggio ]

Tutti gli orari sono UTC + 1 ora [ ora legale ]


Chi c’è in linea

Visitano il forum: Nessuno e 1 ospite


Non puoi aprire nuovi argomenti
Non puoi rispondere negli argomenti
Non puoi modificare i tuoi messaggi
Non puoi cancellare i tuoi messaggi
Non puoi inviare allegati

Cerca per:
Vai a: