Benvenuto Ospite

Forum Entomologi Italiani

www.entomologiitaliani.net/forum
 
Oggi è 23/10/2025, 19:48

Tutti gli orari sono UTC + 1 ora [ ora legale ]

Anthribide Gabon 5

II.2012 - GABON - EE, OGOUE' IVINDO - Makokou - Segheria cinese 2 Km. S-SW dall'aeroporto - m. 470


nuovo argomento
rispondi
Pagina 1 di 1 [ 8 messaggi ]
Autore Messaggio
 Oggetto del messaggio: Anthribide Gabon 5
MessaggioInviato: 13/11/2012, 1:20 
Avatar utente

Iscritto il: 21/05/2010, 23:05
Messaggi: 2982
Località: San Godenzo (FI)
Nome: Carlo Massarone
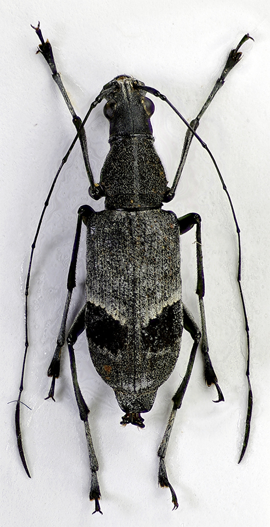
Primo esemplare: mm. 17.5 ..... raccolto il 27.II.2012
005.jpg



secondo esemplare: mm. 15 ..... raccolto il 25.II.2012
006.jpg


_________________
Carlo Massarone


Top
profilo
 Oggetto del messaggio: Re: Anthribide Gabon 5
MessaggioInviato: 13/11/2012, 8:36 
Avatar utente

Iscritto il: 08/02/2010, 23:01
Messaggi: 6169
Località: Vicenza
Nome: Silvano Biondi
Bella specie, che non conosco e non ho raccolto. Simile a oculatus come pattern, ma con numerosi elementi di diversità.

:hi:

_________________



Silvano


Top
profilo
 Oggetto del messaggio: Re: Anthribide Gabon 5
MessaggioInviato: 13/11/2012, 8:56 
Avatar utente

Iscritto il: 30/12/2009, 22:20
Messaggi: 31564
Località: Roma
Nome: Maurizio Gigli
Ma da quelle parti non c'è insetto che non faccia parte di qualche catena mimetica?

_________________
Maurizio Gigli
http://utenti.romascuola.net/bups
http://bup.xoom.it/


Top
profilo
 Oggetto del messaggio: Re: Anthribide Gabon 5
MessaggioInviato: 13/11/2012, 9:14 
Avatar utente

Iscritto il: 08/02/2010, 23:01
Messaggi: 6169
Località: Vicenza
Nome: Silvano Biondi
Sto lavorando sull'ipotesi fuscoplagiatus, che mi sembra probabile. Ci sarebbe però bisogno di un esemplare maschio, mentre ho l'impressione che le tue siano entrambe femmine.

Julodis ha scritto:
Ma da quelle parti non c'è insetto che non faccia parte di qualche catena mimetica?

E' vero; anch'io, rivedendo il materiale gabonese, ho osservato che in molti casi ci sono diverse specie che convergono su un unico modello. Sarebbe interessante aprire qualche discussione dedicata a questo fenomeno, con foto.

:hi:

_________________



Silvano


Top
profilo
 Oggetto del messaggio: Re: Anthribide Gabon 5
MessaggioInviato: 13/11/2012, 11:01 
Avatar utente

Iscritto il: 08/07/2010, 10:53
Messaggi: 3171
Località: Matera
Nome: Domenico Cardinale
Apoderus ha scritto:
Julodis ha scritto:
Ma da quelle parti non c'è insetto che non faccia parte di qualche catena mimetica?

E' vero; anch'io, rivedendo il materiale gabonese, ho osservato che in molti casi ci sono diverse specie che convergono su un unico modello. Sarebbe interessante aprire qualche discussione dedicata a questo fenomeno, con foto.

:hi:

Come già ripreso in altre discussioni nelle foreste equatoriali, essendo ambienti molto favorevoli alla vita, la competizione e le interazioni intraspecifiche sono fortissime!! Unito al fatto che sono foreste antichissime, si è avuto il tempo di sviluppare tutta questa complessità ecologica!!! Io penso che queste foreste siano il luogo dove ogni naturalista vorrebbe trovarsi!!! :D

_________________
Saluti :hi: Mimmo


Top
profilo
 Oggetto del messaggio: Re: Anthribide Gabon 5
MessaggioInviato: 14/02/2014, 8:14 
Avatar utente

Iscritto il: 30/12/2009, 22:20
Messaggi: 31564
Località: Roma
Nome: Maurizio Gigli
Oltre a questa specie, di cui sarebbe bene indicare almeno il genere, visto che, da quanto ho capito, ci si è arrivati, c'è tutta un'altra serie di Anthribidae gabonesi indeterminati, che se qualcuno riuscisse ad identificare, almeno a livello di genere, non sarebbe male.
Li trovate qui e qui.

_________________
Maurizio Gigli
http://utenti.romascuola.net/bups
http://bup.xoom.it/


Top
profilo
 Oggetto del messaggio: Re: Anthribide Gabon 5
MessaggioInviato: 14/02/2014, 11:07 
Avatar utente

Iscritto il: 08/02/2010, 23:01
Messaggi: 6169
Località: Vicenza
Nome: Silvano Biondi
Umberto / Umbro aveva più volte e con successo sentito il parere di Miloš Trýzna, che gli aveva passato diverse determinazioni. Forse potrebbe sentirlo sui pochi Anthribidae gabonesi ancora da identificare.

:hi:

_________________



Silvano


Top
profilo
 Oggetto del messaggio: Re: Anthribide Gabon 5
MessaggioInviato: 17/02/2014, 22:20 
Avatar utente

Iscritto il: 28/05/2011, 21:10
Messaggi: 1981
Nome: Umberto Devincenzo
Apoderus ha scritto:
Umberto / Umbro aveva più volte e con successo sentito il parere di Miloš Trýzna, che gli aveva passato diverse determinazioni. Forse potrebbe sentirlo sui pochi Anthribidae gabonesi ancora da identificare.

:hi:


Proverò certamente a scrivergli ancora. Purtroppo dalla prima volta che gli ho scritto (qualche anno ormai) l'ho sentito solamente un'altra volta, cioè quando ha determinato alcuni Anthribidi gabonesi della prima spedizione. Poi provai a scrivergli anche successivamente, sollecitando anche per quanto riguarda l'iscrizione, senza tuttavia ottenere risposta. Nei prossimi giorni proverò a scrivergli ancora, e vi farò sapere ovviamente se avrò novità.

Umberto

_________________
"La compassione e l'empatia per il più piccolo degli animali, è una delle più nobili virtù che un uomo possa ricevere in dono."
Charles Darwin


Top
profilo
Visualizza ultimi messaggi:  Ordina per  
nuovo argomento
rispondi
Pagina 1 di 1 [ 8 messaggi ]

Tutti gli orari sono UTC + 1 ora [ ora legale ]


Chi c’è in linea

Visitano il forum: Nessuno e 1 ospite


Non puoi aprire nuovi argomenti
Non puoi rispondere negli argomenti
Non puoi modificare i tuoi messaggi
Non puoi cancellare i tuoi messaggi
Non puoi inviare allegati

Cerca per:
Vai a: