Benvenuto Ospite

Forum Entomologi Italiani

www.entomologiitaliani.net/forum
 
Oggi è 03/11/2025, 17:10

Tutti gli orari sono UTC + 1 ora [ ora legale ]

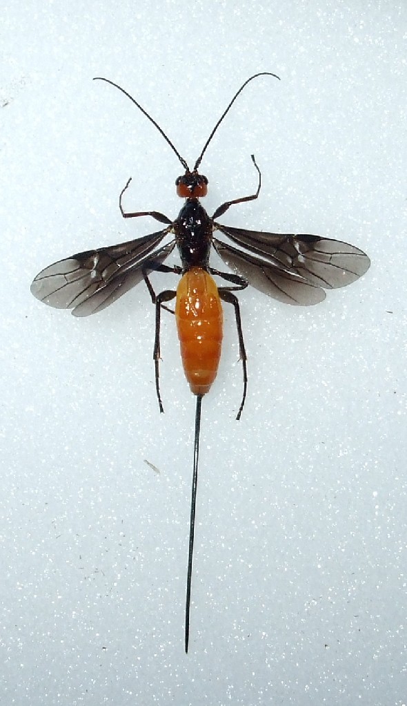
Braconidae da id.

11.VIII.2010 - ITALIA - Friuli-Venezia Giulia - GO, S.Pier d'Isonzo loc:zona industriale "segheria "


nuovo argomento
rispondi
Pagina 1 di 1 [ 5 messaggi ]
Autore Messaggio
 Oggetto del messaggio: Braconidae da id.
MessaggioInviato: 08/01/2011, 18:34 
Avatar utente

Iscritto il: 24/04/2010, 8:24
Messaggi: 5095
Nome: Lucio Morin
volano numerosi su cataste di legname di abete di provenienza austriaca dalla Valle del Gail.
Ciao Lucio


11 - VIII - 2010 s. Pier.jpg


_________________
A VOLTE E' MEGLIO TACERE E SEMBRARE STUPIDI CHE APRIR BOCCA E TOGLIERE OGNI DUBBIO Oscar Wilde
Top
profilo
 Oggetto del messaggio: Re: Icneumonide da id.
MessaggioInviato: 08/01/2011, 18:37 
Avatar utente

Iscritto il: 11/11/2009, 20:54
Messaggi: 4850
Località: Pesaro
Nome: Marco Paglialunga
Braconidae :no1: direbbe Eopteryx :lol: :lol:

_________________
O voi ch'avete li 'ntelletti sani, mirate la dottrina che s'asconde sotto 'l velame de li versi strani
(InfeRRno - canto IX - vv. 61-63)


Top
profilo
 Oggetto del messaggio: Re: Icneumonide da id.
MessaggioInviato: 08/01/2011, 19:07 
Avatar utente

Iscritto il: 06/02/2009, 9:02
Messaggi: 1429
Località: Verona - Roma - Foggia e sporadicamente Padova
Nome: Filippo Di Giovanni
Braconidae :ok: , disse Marco Paglialunga :D

_________________
"Non posso separare il piacere estetico che provo nel vedere una farfalla dal piacere scientifico di sapere che cosa è" (V.Nabokov)


Top
profilo
 Oggetto del messaggio: Re: Icneumonide da id.
MessaggioInviato: 08/01/2011, 20:45 
Avatar utente

Iscritto il: 24/04/2010, 8:24
Messaggi: 5095
Nome: Lucio Morin
:ok: Braconidae, genere? specie? si riesce a saperlo ?
Lucio

_________________
A VOLTE E' MEGLIO TACERE E SEMBRARE STUPIDI CHE APRIR BOCCA E TOGLIERE OGNI DUBBIO Oscar Wilde


Top
profilo
 Oggetto del messaggio: Re: Icneumonide da id.
MessaggioInviato: 09/01/2011, 15:19 
Avatar utente

Iscritto il: 11/11/2009, 20:54
Messaggi: 4850
Località: Pesaro
Nome: Marco Paglialunga
Impossibile :gh: .....
Se proprio costretto con la forza e legato alla sedia butterei lì Braconidae Braconinae Coeloides bostrichorum Giraud 1872
:lol: :lol: :lol:

_________________
O voi ch'avete li 'ntelletti sani, mirate la dottrina che s'asconde sotto 'l velame de li versi strani
(InfeRRno - canto IX - vv. 61-63)


Top
profilo
Visualizza ultimi messaggi:  Ordina per  
nuovo argomento
rispondi
Pagina 1 di 1 [ 5 messaggi ]

Tutti gli orari sono UTC + 1 ora [ ora legale ]


Chi c’è in linea

Visitano il forum: Nessuno e 2 ospiti


Non puoi aprire nuovi argomenti
Non puoi rispondere negli argomenti
Non puoi modificare i tuoi messaggi
Non puoi cancellare i tuoi messaggi
Non puoi inviare allegati

Cerca per:
Vai a: