Benvenuto Ospite

Forum Entomologi Italiani

www.entomologiitaliani.net/forum
 
Oggi è 02/11/2025, 23:57

Tutti gli orari sono UTC + 1 ora [ ora legale ]

Braconidae

27.IX.2014 - ITALIA - Sardegna - OT, Tempio Pausania


nuovo argomento
rispondi
Pagina 1 di 1 [ 3 messaggi ]
Autore Messaggio
 Oggetto del messaggio: Braconidae
MessaggioInviato: 29/09/2014, 18:19 
Avatar utente

Iscritto il: 20/07/2009, 16:32
Messaggi: 5812
Località: Sassari (SS)
Nome: Mauro Doneddu
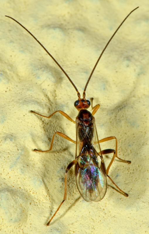
E' un piccolo Ichneumonidae o un Braconidae, o qualcosaltro ancora?
circa 4-5 mm.
tempio270914 003mod.jpg

tempio270914 004mod.jpg


_________________
:hi:
Mauro


Top
profilo
 Oggetto del messaggio: Re: Ichneumonidae o Braconidae?
MessaggioInviato: 29/09/2014, 19:39 
Avatar utente

Iscritto il: 06/02/2009, 9:02
Messaggi: 1429
Località: Verona - Roma - Foggia e sporadicamente Padova
Nome: Filippo Di Giovanni
http://www.youtube.com/watch?v=jYQWVnKEFRk

(braconide)

Filippo :hi:

_________________
"Non posso separare il piacere estetico che provo nel vedere una farfalla dal piacere scientifico di sapere che cosa è" (V.Nabokov)


Top
profilo
 Oggetto del messaggio: Re: Ichneumonidae o Braconidae?
MessaggioInviato: 30/09/2014, 16:07 
Avatar utente

Iscritto il: 20/07/2009, 16:32
Messaggi: 5812
Località: Sassari (SS)
Nome: Mauro Doneddu
Quindi è "la seconda che ho detto" :D
Si potrà scendere più nel dettaglio, o ci vuole l'aiuto di "Quelo"?
quelo1.png


_________________
:hi:
Mauro


Top
profilo
Visualizza ultimi messaggi:  Ordina per  
nuovo argomento
rispondi
Pagina 1 di 1 [ 3 messaggi ]

Tutti gli orari sono UTC + 1 ora [ ora legale ]


Chi c’è in linea

Visitano il forum: Nessuno e 1 ospite


Non puoi aprire nuovi argomenti
Non puoi rispondere negli argomenti
Non puoi modificare i tuoi messaggi
Non puoi cancellare i tuoi messaggi
Non puoi inviare allegati

Cerca per:
Vai a: