Benvenuto Ospite

Forum Entomologi Italiani

www.entomologiitaliani.net/forum
 
Oggi è 04/11/2025, 16:30

Tutti gli orari sono UTC + 1 ora [ ora legale ]

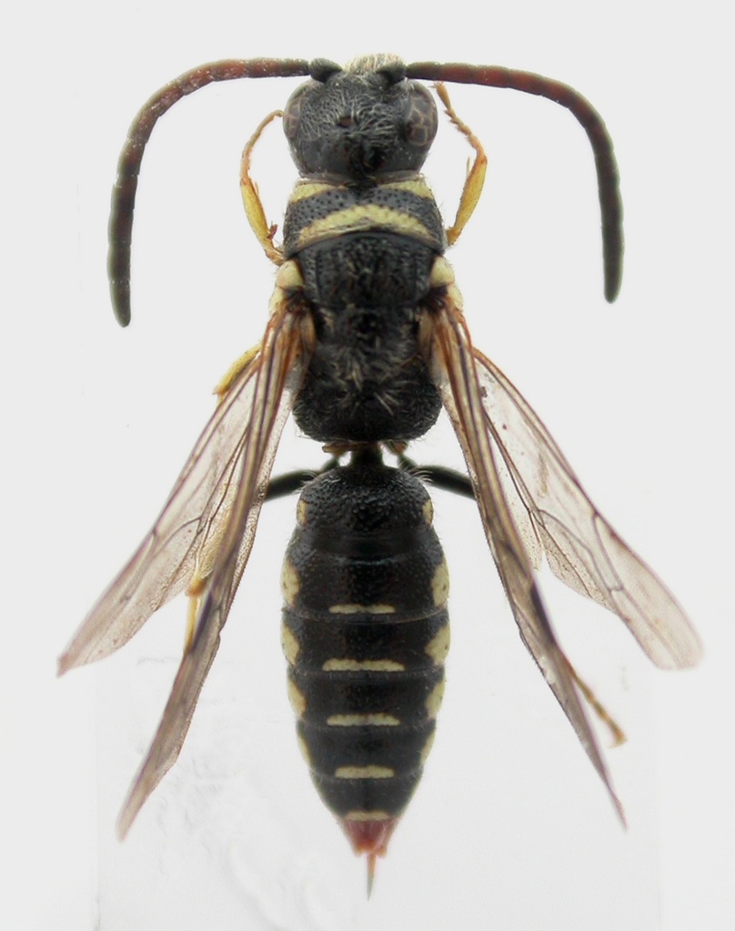
Poecilotiphia rousselii (Guérin-Méneville, 1838) - Tiphiidae

7.VIII.2016 - SPAGNA - EE, isole Baleari, Minorca, Son Saura (pineta di), R. Rattu leg.


nuovo argomento
rispondi
Pagina 1 di 1 [ 4 messaggi ]
Autore Messaggio
MessaggioInviato: 23/08/2016, 12:19 
Avatar utente

Iscritto il: 02/09/2009, 20:57
Messaggi: 8703
Località: Cagliari
Nome: Roberto Rattu
Esemplare lungo 8.1 mm, raccolto sia ai piattini gialli che su ombrellifere:

DSCN2137.JPG



Top
profilo
 Oggetto del messaggio: Re: Hymenoptera da id.
MessaggioInviato: 23/08/2016, 13:16 
 

Iscritto il: 06/02/2009, 9:05
Messaggi: 2588
Località: Alghero
Nome: Pietro Niolu
Poecilotiphia rousselii ♂.

https://www.flickr.com/photos/14260865@ ... ed-public/
https://www.flickr.com/photos/14260865@ ... 039623220/

Inconfondibile per la testa larga come il pronoto (senza collo!) e per gli utotergiti e urosteniti rossi.

_________________
Ciao
Pietro


Top
profilo
MessaggioInviato: 23/08/2016, 16:04 
Avatar utente

Iscritto il: 02/09/2009, 20:57
Messaggi: 8703
Località: Cagliari
Nome: Roberto Rattu
Grazie anche per questo :birra:

:hi:


Top
profilo
MessaggioInviato: 24/08/2016, 16:57 
Avatar utente

Iscritto il: 08/07/2010, 10:53
Messaggi: 3171
Località: Matera
Nome: Domenico Cardinale
Molto belli gli imenotteri......... Questo in modo particolare! ;)

_________________
Saluti :hi: Mimmo


Top
profilo
Visualizza ultimi messaggi:  Ordina per  
nuovo argomento
rispondi
Pagina 1 di 1 [ 4 messaggi ]

Tutti gli orari sono UTC + 1 ora [ ora legale ]


Chi c’è in linea

Visitano il forum: Nessuno e 1 ospite


Non puoi aprire nuovi argomenti
Non puoi rispondere negli argomenti
Non puoi modificare i tuoi messaggi
Non puoi cancellare i tuoi messaggi
Non puoi inviare allegati

Cerca per:
Vai a: