| Forum Entomologi Italiani http://www.entomologiitaliani.net/public/forum/phpBB3/ |
|
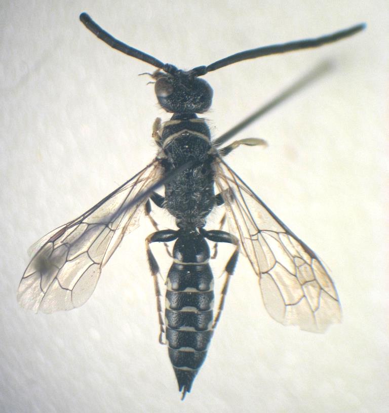
| Meria sp. (cf.) - Tiphiidae http://www.entomologiitaliani.net/public/forum/phpBB3/viewtopic.php?f=391&t=91505 |
Pagina 1 di 1 |
| Autore: | ruzzpa [ 29/07/2020, 12:00 ] | ||
| Oggetto del messaggio: | Meria sp. (cf.) - Tiphiidae | ||
mm 12 Mentre cercavo inutilmente una farfalla per un amico, mi sono imbattuto nel mio primo Tiphiidae, raccolto nella stessa localita di questo viewtopic.php?f=391&t=47120&hilit=Tiphiidae
|
|||
| Autore: | elleelle [ 29/07/2020, 17:34 ] |
| Oggetto del messaggio: | Re: Tiphiidae |
Dovrebbe essere del genere Meria. Io li incontro spesso sui fiori. |
|
| Autore: | ruzzpa [ 30/07/2020, 9:37 ] |
| Oggetto del messaggio: | Re: Tiphiidae |
elleelle ha scritto: Dovrebbe essere del genere Meria. Io li incontro spesso sui fiori. Grazie Luigi
|
|
| Pagina 1 di 1 | Tutti gli orari sono UTC + 1 ora [ ora legale ] |
| Powered by phpBB® Forum Software © phpBB Group http://www.phpbb.com/ |
|