Benvenuto Ospite

Forum Entomologi Italiani

www.entomologiitaliani.net/forum
 
Oggi è 28/10/2025, 11:02

Tutti gli orari sono UTC + 1 ora [ ora legale ]

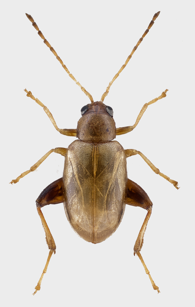
Longitarsus sardo

25.IV.2024 - ITALIA - Sardegna - OG, Marina di Tertenia, loc. Barisoni lungo mare


nuovo argomento
rispondi
Pagina 1 di 1 [ 3 messaggi ]
Autore Messaggio
 Oggetto del messaggio: Longitarsus sardo
MessaggioInviato: 29/10/2024, 12:13 
Avatar utente

Iscritto il: 22/05/2009, 21:00
Messaggi: 2774
Località: Pergine Valsugana (TN)
Nome: Andrea Carlin
:hi: Ciao a tutti,
so che queste piccole bestioline sono difficilissime da identificare (e soprattutto tramite foto) ma ci provo ugualmente.
Il genere è Longitarsus.

Lunghezza maschio: 2,9 mm
Longitarsus-cf-pulmonariae.jpg



edeago
edeago-Longitarsus.jpg



Grazie mille :lov2:

_________________
Andrea Carlin, Pergine Valsugana (TN) carlin.andrea(AT)gmail.com

Nota: tutti gli esemplari inseriti nelle discussioni aperte da me sono da ritenere "Andrea Carlin legit" se non diversamente specificato.


Top
profilo
 Oggetto del messaggio: Re: Longitarsus sardo
MessaggioInviato: 29/10/2024, 18:47 
Avatar utente

Iscritto il: 22/05/2009, 21:00
Messaggi: 2774
Località: Pergine Valsugana (TN)
Nome: Andrea Carlin
:hi: intanto riporto la mia ipotesi: potrebbe essere L. exoletus oppure L. nervosus (o addirittura L. pulmonariae).
:roll:
Gradite vostre opinioni. :lov2:

_________________
Andrea Carlin, Pergine Valsugana (TN) carlin.andrea(AT)gmail.com

Nota: tutti gli esemplari inseriti nelle discussioni aperte da me sono da ritenere "Andrea Carlin legit" se non diversamente specificato.


Top
profilo
 Oggetto del messaggio: Re: Longitarsus sardo
MessaggioInviato: 21/02/2025, 21:57 
Avatar utente

Iscritto il: 22/05/2009, 21:00
Messaggi: 2774
Località: Pergine Valsugana (TN)
Nome: Andrea Carlin
Up. :birra: Credo si tratti di L. exoletus ;)

_________________
Andrea Carlin, Pergine Valsugana (TN) carlin.andrea(AT)gmail.com

Nota: tutti gli esemplari inseriti nelle discussioni aperte da me sono da ritenere "Andrea Carlin legit" se non diversamente specificato.


Top
profilo
Visualizza ultimi messaggi:  Ordina per  
nuovo argomento
rispondi
Pagina 1 di 1 [ 3 messaggi ]

Tutti gli orari sono UTC + 1 ora [ ora legale ]


Chi c’è in linea

Visitano il forum: Nessuno e 2 ospiti


Non puoi aprire nuovi argomenti
Non puoi rispondere negli argomenti
Non puoi modificare i tuoi messaggi
Non puoi cancellare i tuoi messaggi
Non puoi inviare allegati

Cerca per:
Vai a: