Benvenuto Ospite

Forum Entomologi Italiani

www.entomologiitaliani.net/forum
 
Oggi è 23/10/2025, 12:43

Tutti gli orari sono UTC + 1 ora [ ora legale ]

Marocco, 12-22 aprile 2012. Spedizione cagliaritana



nuovo argomento
rispondi
Vai alla pagina Precedente  1, 2, 3, 4, 5 ... 8  Prossimo
Pagina 2 di 8 [ 110 messaggi ]
Autore Messaggio
MessaggioInviato: 30/04/2012, 0:48 
Avatar utente

Iscritto il: 05/02/2009, 17:47
Messaggi: 7252
Località: Cagliari
Nome: Piero Leo
Aoulouz.jpg

Qui siamo nei pressi di Aoulouz (alta valle del Sous, tra Anti e Alto Atlante), in fase di spostamento verso le zone desertiche della parte orientale del paese. Qui abbiamo raccolto varie specie interessanti di Tenebrionidi (2 specie di Pimelia, Adelostoma, Stenosis, Adesmia, Thalpobia, Sepidium, Scaurus, Gonocephalum, ecc.).


Aoulouz_A. maroccana.jpg

Adesmia maroccana


Aoulouz_Sepidium.jpg

Sepidium sp.


Aoulouz_.jpg

Un bellissimo Eugaster (Tettigoniidae)


In Marocco mi ha sempre affascinato la grande varietà di rettili, gruppo di cui ammetto la mia grande ignoranza.

Aoulouz 01.jpg

Questo lucertolone sembra un lontano parente dei gòngili


Aoulouz 02.jpg

Questo credo sia un Agamide


Aoulouz 04.jpg

Questo, con una strana colorazione, mi ha ricordato un po’ il nostro tarantolino.


… continua…

:) Ciao
Piero


Top
profilo
MessaggioInviato: 30/04/2012, 18:11 
Avatar utente

Iscritto il: 28/05/2011, 21:10
Messaggi: 1981
Nome: Umberto Devincenzo
Stupendo il Sepidium sp.!! :shock: :shock: mimetizzato al massimo..

Per caso, ne avete raccolto qualcuno di scorpione?? :roll:

_________________
"La compassione e l'empatia per il più piccolo degli animali, è una delle più nobili virtù che un uomo possa ricevere in dono."
Charles Darwin


Top
profilo
MessaggioInviato: 30/04/2012, 22:57 
Avatar utente

Iscritto il: 30/12/2009, 22:20
Messaggi: 31564
Località: Roma
Nome: Maurizio Gigli
Quati ricordi! Non devo più guardare questa discussione o rimpiango tutto quel che non sono riuscito a fare le varie volte che ci sono stato.

Quelle euforbie stanno pure sul mio balcone!

_________________
Maurizio Gigli
http://utenti.romascuola.net/bups
http://bup.xoom.it/


Top
profilo
MessaggioInviato: 30/04/2012, 23:34 
Avatar utente

Iscritto il: 17/02/2009, 0:05
Messaggi: 8521
Località: Isola d'Elba - Arcipelago Toscano
Nome: Leonardo Forbicioni
Che meraviglia! :hp:
Come mi sarebbe piaciuto poter essere con voi! :( :(

Per quanto riguarda i sauri, vista la loro bellezza, meritano quantomeno un tentativo di determinazione.
Quello "assotterrato" secondo me è proprio un Gongilo ;)
Dovrebbe trattarsi di: Chalcides ocellatus Forskal, 1775 - Scincidae

L'Agamidae invece credo sia un Trapelus sp. ...per la specie boh!!
Recentemente dovrebbe essere stata descritta una nuova specie per questo genere proprio per il Marocco (mi sembra). :oops:

Ma il più bello di tutti secondo me è il "Tarantolino" bellissimo animale :lov3: .
Quasi sicuramente dovrebbe essere: Saurodactylus brosseti Bons & Pasteur, 1957 - Gekkonidae

_________________
"Stay hungry, stay foolish".
Steve Jobs, 2005
___________________
jjuniper8(at)gmail.com
Twitter: @weevil_forbix
cell. 339/5275910
___________________


Top
profilo
MessaggioInviato: 30/04/2012, 23:47 
Avatar utente

Iscritto il: 04/02/2009, 17:49
Messaggi: 5509
Località: Cagliari
Nome: Daniele Sechi
FORBIX ha scritto:
Che meraviglia! :hp:
Per quanto riguarda i sauri, vista la loro bellezza, meritano quantomeno un tentativo di determinazione.
Quello "assotterrato" secondo me è proprio un Gongilo ;)
Dovrebbe trattarsi di: Chalcides ocellatus Forskal, 1775 - Scincidae
[/b]


Ma l'ocellatus ce l'abbiamo anche in Sardegna, quello sembrava assai diverso. Più grande, con quelle macchie arancioni, la lunga coda :roll:

_________________
:hi:
Daniele


Top
profilo
MessaggioInviato: 30/04/2012, 23:53 
Avatar utente

Iscritto il: 05/02/2009, 17:47
Messaggi: 7252
Località: Cagliari
Nome: Piero Leo
Ciao Leonardo, grazie per l'aiuto con i rettili. Il "tarantolino" sembra proprio essere il Saurodactylus brosseti da te indicato. Quello della prima foto non so se possa essere un Chalcides, ma (come ha appena scritto anche Daniele) sicuramente non è l'ocellatus (era più grande, più colorato, zampe piu sviluppate, codapiù lunga e snella).

:) Ciao
Piero


Top
profilo
MessaggioInviato: 30/04/2012, 23:57 
Avatar utente

Iscritto il: 05/02/2009, 17:47
Messaggi: 7252
Località: Cagliari
Nome: Piero Leo
Umbro ha scritto:
ne avete raccolto qualcuno di scorpione??
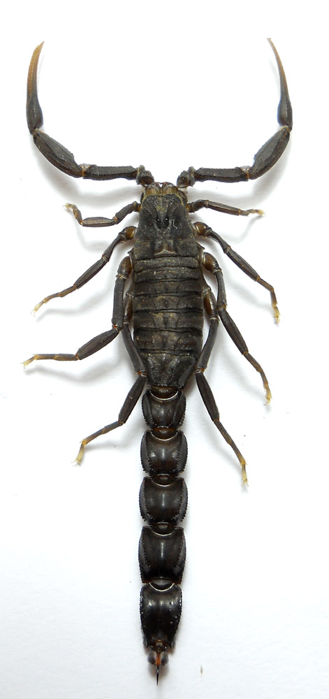
Sì, quelli che abbiamo trovato li abbiamo presi: Eccoti delle foto:


Scorp_Essaouira_8,5.jpg

I Buthidae di questo tipo e colore erano i soli abbastanza frequenti; lunghezza 8,5 cm (corpo + telson).


Scorp_Cap Rhir_5,5.jpg

Lunghezza 5,5 cm


Scorp_Essaouira_4,5.jpg

Questo e il seguente potrebbero forse essere del genere Androctonus; lunghezza 4,5 cm


Scorp_Oulad Teima_4,3.jpg

Lunghezza 4,3 cm


Scorp_Boudnib_3,2.jpg

Questo mi sembra il più strano di tutti. Lunghezza 3,2 cm

:) Ciao
Piero


Top
profilo
MessaggioInviato: 30/04/2012, 23:59 
Avatar utente

Iscritto il: 17/02/2009, 0:05
Messaggi: 8521
Località: Isola d'Elba - Arcipelago Toscano
Nome: Leonardo Forbicioni
Si, è vero Daniele, voi dovreste avere la subspecie tiligugu (Gmelin, 1789)....magari sarà una ssp. marocchina, ma onestamente non vedo alternative....a me sembra lui, ma non sono certo un "Lucertolaro" :lol1: :lol1: :lol1:
Magari passa Paolo Mazzei da queste parti, e saprà dirci qualcosa di più concreto. :ok: :ok:
Comunque sono animali misteriosi ed affascinanti!
Io ogni volta che trovo una Luscengola nei parti dell'Elba, mi diverto sempre alcuni minuti ad osservarla ed a tentare di avvicinarla, per fotografarla senza farla scappare! E' una vera e propria impresa, ma spesso ci sono riuscito, anche a filmarla! :hp: :hp:

_________________
"Stay hungry, stay foolish".
Steve Jobs, 2005
___________________
jjuniper8(at)gmail.com
Twitter: @weevil_forbix
cell. 339/5275910
___________________


Top
profilo
MessaggioInviato: 01/05/2012, 0:10 
Avatar utente

Iscritto il: 17/02/2009, 0:05
Messaggi: 8521
Località: Isola d'Elba - Arcipelago Toscano
Nome: Leonardo Forbicioni
Avete ragione.....non avevo preso troppo in considerazione le dimensioni.
Dovrebbe essere sempre uno Scincidae, ma lo Scinco Algerino (Eumeces algeriensis).
Chiedo venia! :oops: :oops: :oops: :oops:

_________________
"Stay hungry, stay foolish".
Steve Jobs, 2005
___________________
jjuniper8(at)gmail.com
Twitter: @weevil_forbix
cell. 339/5275910
___________________


Top
profilo
MessaggioInviato: 01/05/2012, 0:13 
Avatar utente

Iscritto il: 05/02/2009, 17:47
Messaggi: 7252
Località: Cagliari
Nome: Piero Leo
Ho ancora qualche scatto del misterioso sauro:

DSCN2424.JPG



DSCN2422.JPG



DSCN2426.JPG




:) Ciao
Piero


Top
profilo
MessaggioInviato: 01/05/2012, 0:21 
Avatar utente

Iscritto il: 17/02/2009, 0:05
Messaggi: 8521
Località: Isola d'Elba - Arcipelago Toscano
Nome: Leonardo Forbicioni
Ma che bello!!!! :shock: :shock: :shock:
Per me con Eumeces dovremmo esserci! ;)

_________________
"Stay hungry, stay foolish".
Steve Jobs, 2005
___________________
jjuniper8(at)gmail.com
Twitter: @weevil_forbix
cell. 339/5275910
___________________


Top
profilo
MessaggioInviato: 01/05/2012, 0:34 
Avatar utente

Iscritto il: 05/02/2009, 17:47
Messaggi: 7252
Località: Cagliari
Nome: Piero Leo
FORBIX ha scritto:
Ma che bello!!!! :shock: :shock: :shock:
Per me con Eumeces dovremmo esserci! ;)
:ok: Direi proprio di sì!

:) Ciao
Piero


Top
profilo
MessaggioInviato: 01/05/2012, 1:25 
Avatar utente

Iscritto il: 19/09/2009, 22:25
Messaggi: 5912
Località: Brescia
Nome: Vinicio Salami
Tenebrio ha scritto:
...Per me con Eumeces dovremmo esserci! ;)...


dovrebbe proprio essere Eumeces algeriensis.

:ok:


Top
profilo
MessaggioInviato: 01/05/2012, 12:08 
Avatar utente

Iscritto il: 08/02/2010, 23:01
Messaggi: 6169
Località: Vicenza
Nome: Silvano Biondi
Complimenti per il reportage.
Qualche Rhynchitidae ?

:hi:

_________________



Silvano


Top
profilo
MessaggioInviato: 01/05/2012, 17:26 
Avatar utente

Iscritto il: 30/12/2010, 11:51
Messaggi: 4548
Località: San Giovanni Valdarno (AR)
Nome: Giovanni Altadonna
Bellissimo reportage, Piero; grazie per la condivisione! :lov2:
Grazie anche per aver postato le foto dei rettili! :p
Anche se penso che riguardo la determinazione dello scinco non ci siano più dubbi ;) , inserisco per confronto le foto di un bellissimo Chalcides ocellatus tiligugu (Gmelin, 1789) effettuata il 9/IV/2012 nei pressi del Simeto. Era un esemplare di oltre 20 cm, trovato ancora intorpidito sotto una pietra, insieme a due grosse scolopendre, mentre cercavo carabidi. ;)
IMG_2799.JPG


IMG_2800.JPG


IMG_2803.JPG


_________________
"L' uomo che è cieco alle bellezze della natura ha perduto metà del piacere di vivere"
Sir Robert Baden Powell

Giovanni Altadonna


Top
profilo
Visualizza ultimi messaggi:  Ordina per  
nuovo argomento
rispondi
Vai alla pagina Precedente  1, 2, 3, 4, 5 ... 8  Prossimo
Pagina 2 di 8 [ 110 messaggi ]

Tutti gli orari sono UTC + 1 ora [ ora legale ]


Chi c’è in linea

Visitano il forum: Nessuno e 2 ospiti


Non puoi aprire nuovi argomenti
Non puoi rispondere negli argomenti
Non puoi modificare i tuoi messaggi
Non puoi cancellare i tuoi messaggi
Non puoi inviare allegati

Cerca per:
Vai a: