| Autore | Messaggio | 
	
			| Loriscola | 
				
				
					|  Inviato:  19/11/2012, 23:54  |  | 
		
			| Iscritto il: 05/02/2009, 17:25
 Messaggi: 4894
 Località: Zola Predosa (BO)
 Nome: Loris Colacurcio
 | 
				
					| ...ed eccomi qua con "qualche" foto da proporvi      Ecco il resoconto per immagini, di quanto ho trovato in una entusiasmante spedizione sul litorale pisano, insieme al nostro Augusto (Notoxus), Maurizio P. (Gomphus) e a Magrini.....io mi sono divertito come un matto ed in più ho potuto trovare bestiole davvero splendide.  Le specie sono abbastanza, quindi dovrò propinarvele a rate....alcuni scatti sono davvero pietosi, ma non potendo promettere tempi brevi per la loro sostituzione, intanto dovrete accontentarvi. Poi con calma e se ci sono bestiole meritevoli, cercherò di fare dei post singoli. L'ambiente è in pratica un vasto prato parzialmente allagato, con qualche cepuglio di Juncus qua e là...a poche centinaia di metri dal mare. Eccovi le immagini... "animate" in parte, da alcuni eccelenti entomologi     Una parte importante di raccolte (piacerà a Pactolinus & Piero     ) le ho anche effettuate guardando su un paio di grossi pini abbattuti....ma in questo caso non ho avuto la lungimiranza di fare nessuna foto     ._________________
 Loris
 
 
 |  | 
		
			| Top | 
				
				 | 
		
			|  | 
	
			| Loriscola | 
				
				
					|  Inviato:  20/11/2012, 0:09  |  | 
		
			| Iscritto il: 05/02/2009, 17:25
 Messaggi: 4894
 Località: Zola Predosa (BO)
 Nome: Loris Colacurcio
 | 
				
					| Per comodità, procederò "per famiglia"....ed iniziamo ovviamente con i carabidi, che in pratica sono stati l'obiettivo principale (della maggior parte del gruppo     ). Ovviamente non potrà mancare il nostro interessante Lymnastis luigionii     Seguirà poi una serie di specie note e meno note     raccolte nelle vaire fasi di vagliatura.Lymnastis luigionii Dodero, 1899 Amblystomus metallescens (Dejean, 1829)Amblystomus niger (Heer, 1841)Parophonus planicollis   (Dejean, 1829) cf. Questo scaritino era piuttosto comune scavando lungo gli argini dei canaliDistichus (Distichus) planus (Bonelli, 1813) Gli Zuphium si facevano vedere, ma risultavano tutt'altro che comuni. Di P. chevrolati invece non ne ho raccolti     Zuphium (Zuphium) olens  (P. Rossi, 1790) Acupalpus e Apotomus (rufus e ruphithorax) erano invece piuttosto abbondanti...Apotomus rufithorax (Pecchioli, 1837)Apotomus rufus  (P. Rossi, 1790)Acupalpus notatus (Mulsant & Rey, 1861) cf.Acupalpus paludicola (Reitter, 1881)_________________
 Loris
 
 
 |  | 
		
			| Top | 
				
				 | 
		
			|  | 
	
			| Loriscola | 
				
				
					|  Inviato:  20/11/2012, 0:16  |  | 
		
			| Iscritto il: 05/02/2009, 17:25
 Messaggi: 4894
 Località: Zola Predosa (BO)
 Nome: Loris Colacurcio
 | 
				
					| Proseguiamo con i carabidi...Scybalicus oblongogiusculus (Reitter, 1881)Tachys scutellaris (Stephens, 1828)Paratachys bistriatus (Duftschmid, 1812) Questo dovrebbe essere un Badister ...Antracus longicornis  (Schaum, 1857)Platytarus faminii  (Dejean, 1826) Questo dovrebbe invece essere il Brachinus immaculicornis (spero)Brachinus (Brachynolomus) immaculicornis Dejean, 1826 Philochtus sp. Questo, dovrebbe essere un Ocys, l'ho raccolto sotto corteccia alla base di un pinoBradycellus sp. Chlaenius (Chlaenius) spoliatus spoliatus (P. Rossi, 1792)Dicheirotrichus (Dicheirotrichus) obsoletus  (Dejean, 1829)_________________
 Loris
 
 
 |  | 
		
			| Top | 
				
				 | 
		
			|  | 
	
			| Loriscola | 
				
				
					|  Inviato:  20/11/2012, 0:27  |  | 
		
			| Iscritto il: 05/02/2009, 17:25
 Messaggi: 4894
 Località: Zola Predosa (BO)
 Nome: Loris Colacurcio
 | 
				
					| Esaminando invece un paio di grossi tronchi di pino, ho potuto poi raccogliere alcuni splendidi histeridi, tenebrionidi ed altre "cosine".Platysoma (Cylister) filiforme Erichson, 1834 cf.Platysoma (Cylister) elongatum elongatum (Thunberg, 1787)Paromalus (Paromalus) parallelepipedus (Herbst, 1791) Questa grossa Asida era morta da tempo e ricoperta da uno spesso strato di muffa....ora che è più pulita forse potremo scoprire anche la specie    Sotto ad un pezzo di corteccia (di pino ancora vegeto) ho invece trovato un paio di queste Stenosis ...e mi sembra, addirittura 3 specie diverse di Corticeus    Aulonium ruficorne (Oliv. 1790) - ZOOPHERIDAE     ...ma non sono mancate altre bestiole. Ogni tanto si potevano vedere queste...termiti ? Erano sempre in coppia    Silvanus unidentatus (Lin. 1767) SILVANIDAEIps typographus  (Linnaeus, 1758)Orthotomicus erosus  (Wollaston, 1857) cf._________________
 Loris
 
 
 |  | 
		
			| Top | 
				
				 | 
		
			|  | 
	
			| Loriscola | 
				
				
					|  Inviato:  20/11/2012, 0:36  |  | 
		
			| Iscritto il: 05/02/2009, 17:25
 Messaggi: 4894
 Località: Zola Predosa (BO)
 Nome: Loris Colacurcio
 | 
				
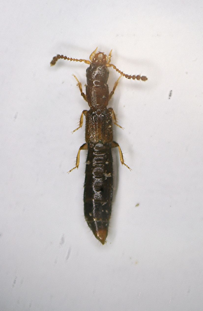
					| Passiamo agli stafilinidi dove, lo ammetto, ho raccolto solo alcune specie.....ed ovviamente gli pselafidi ! Brachygluta furcataBrachygluta helferi longispinaBibloplectus pusillus ...ed altri stafilinidi "misti". Il primo è corticicolo, gli altri, da vaglio_________________
 Loris
 
 
 |  | 
		
			| Top | 
				
				 | 
		
			|  | 
	
			| Loriscola | 
				
				
					|  Inviato:  20/11/2012, 0:45  |  | 
		
			| Iscritto il: 05/02/2009, 17:25
 Messaggi: 4894
 Località: Zola Predosa (BO)
 Nome: Loris Colacurcio
 | 
				
					| Ecco il turno degli Anthicidi (tutti raccolti nel vaglio)...davvero comuni.Cyclodinus minutus minutus (La Ferté-Sénectère, 1842)Cyclodinus humilis (Germar, 1824)Anthicus laeviceps Baudi, 1877 Cordicollis instabilis instabilis  (W.L.E. Schmidt, 1842)  Di crisomelidi ho raccolto solo un genere (non rammento il nome) ed in 3 esemplari, ma secondo me si tratta di 3 differenti specie Per la gioia di Maurizio e la disgrazia dell'Izzillo (non arrabbiatevi, ormai è d'uso), ecco anche e coccinelleTytthaspis (Tytthaspis) sedecimpunctata (Linnaeus, 1758) A differenza delle mie aspettative, i curculionidi sono stati pochissimi.....e nulla di visivamente interessante (a parte il corticicolo)_________________
 Loris
 
 
 |  | 
		
			| Top | 
				
				 | 
		
			|  | 
	
			| Loriscola | 
				
				
					|  Inviato:  20/11/2012, 0:52  |  | 
		
			| Iscritto il: 05/02/2009, 17:25
 Messaggi: 4894
 Località: Zola Predosa (BO)
 Nome: Loris Colacurcio
 | 
				
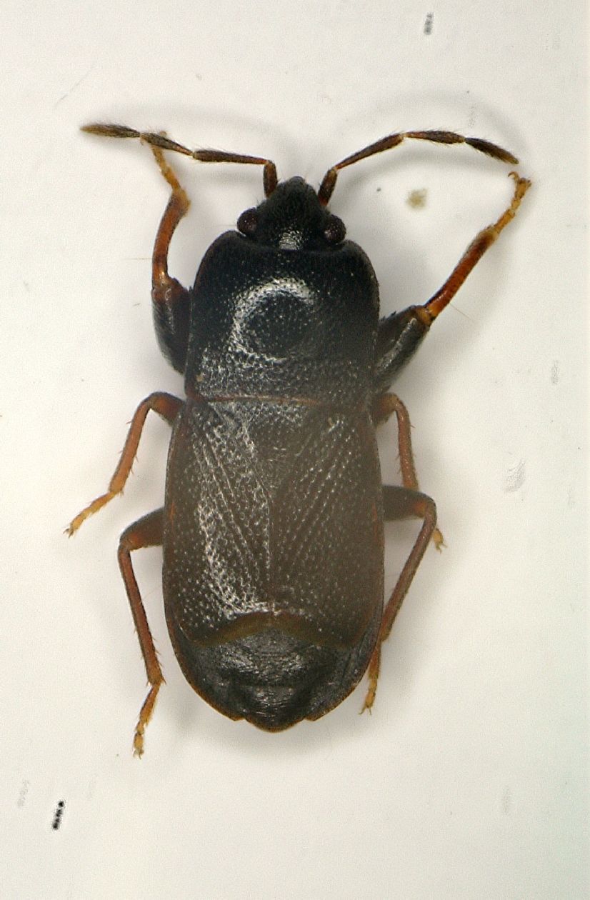
					| Con gli elateridi, ho trovato solo un Lacon (sotto corteccia) ed un piccolo esemplare dall'elegante livrea a dal nome ignoto    Lacon punctatus (Herbst, 1779)Aeloderma cruciferae (Rossi, 1790) Ecco i LatridiidiMigneauxia crassiuscola (Aubé, 1850)Enicmus transversus (Mann.)Melanophtalma fuscipennis (Mann.) Vagliando alla base dei grossi cepugli di Juncus, sono saltati fuori anche un paio di Aphanisticus... ...ed altre coseCryptophagus sp.    CRYPTOPHAGIDAEBothrideres bipunctatus  (Gmelin, 1790)   Probabilmente la continua raccolta d'acqua (per lavare il terreno), mi ha poi permesso di trovare anche qualche "acquatico" Addirittura è pure saltato fuori un timido Onthophagus...._________________
 Loris
 
 
 |  | 
		
			| Top | 
				
				 | 
		
			|  | 
	
			| Loriscola | 
				
				
					|  Inviato:  20/11/2012, 0:57  |  | 
		
			| Iscritto il: 05/02/2009, 17:25
 Messaggi: 4894
 Località: Zola Predosa (BO)
 Nome: Loris Colacurcio
 | 
				
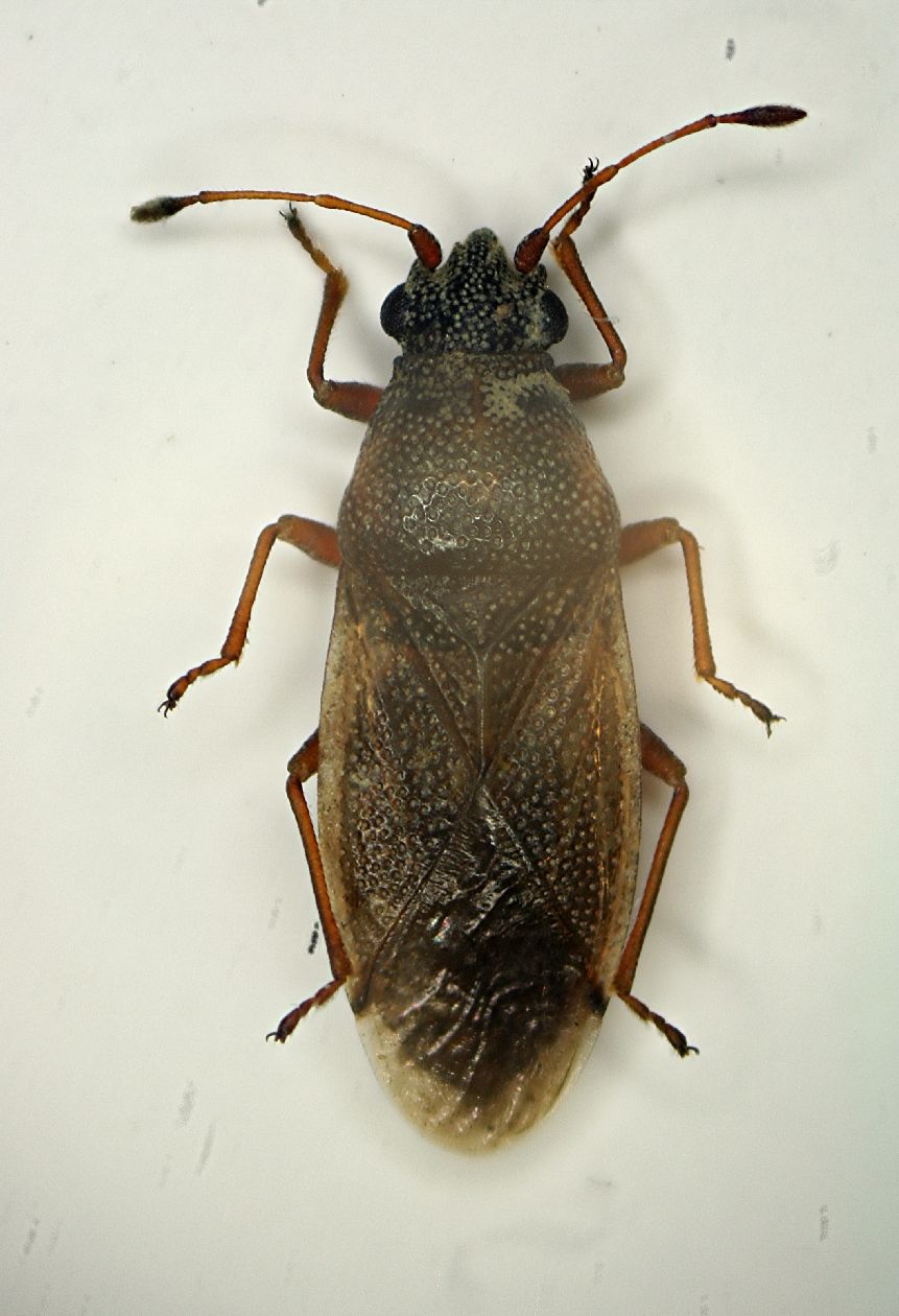
					| Terminiamo questa (sin troppo) lunga carrellata con alcune bestiole "non-coleotteri".  Bene, ho finito ...grazie per l'attenzione ed alla prossima !!!     Vagliando, sono saltate fuori 2 specie di mutillidi. una grande ed una piccina... Sempre dal vaglio, non potevano poi mancare un po' di heterotteri misti._________________
 Loris
 
 
 |  | 
		
			| Top | 
				
				 | 
		
			|  | 
	
			| Herzog | 
				
				
					|  Inviato:  20/11/2012, 10:11  |  | 
		
			| Iscritto il: 27/02/2009, 19:34
 Messaggi: 857
 Località: Belluno
 Nome: Enzo GATTI
 | 
				
					| Ciao Loris, complimenti per la bellissima raccolta e per la interessantissima carrellata fotografica.      Una prima determinazione: i due Scolytidae (ultime due foto prima dell'inizio degli Pselaphinae) sono: - Ips typographus (Linnaeus, 1758) - Orthotomicus  sp. Forse erosus  (Wollaston, 1857): per esserne sicuri servirebbe una foto della declività elitrale posteriore, vista di 3/4, che evidenzi la forma e la disposizione dei granuletti posti al margine. Enzo     
 
 |  | 
		
			| Top | 
				
				 | 
		
			|  | 
	
			| f.izzillo | 
				
				
					|  Inviato:  20/11/2012, 10:22  |  | 
		
			| Iscritto il: 22/12/2009, 13:31
 Messaggi: 9646
 Località: Napoli
 Nome: Francesco Izzillo
 | 
				
					| Tutto molto bello e interessante, peccato la caduta di livello con il ritrovamento di alcune bestiacce immonde!    In questi casi è meglio non postare gli esseri infetti  anche a salvaguardia dei minorenni presenti sul Forum!    _________________
 Francesco Izzillo
 
 
 |  | 
		
			| Top | 
				
				 | 
		
			|  | 
	
			| Daniele Sechi | 
				
				
					|  Inviato:  20/11/2012, 10:59  |  | 
		
			| Iscritto il: 04/02/2009, 17:49
 Messaggi: 5509
 Località: Cagliari
 Nome: Daniele Sechi
 | 
				
					| Una biodiversità incredibile Loris! Mi sa però che tra i 3 Corticeus, c'è un Aulonium (Zopheridae Colydiinae) e forse un altro intruso... _________________  Daniele
 
 |  | 
		
			| Top | 
				
				 | 
		
			|  | 
	
			| Loriscola | 
				
				
					|  Inviato:  20/11/2012, 11:11  |  | 
		
			| Iscritto il: 05/02/2009, 17:25
 Messaggi: 4894
 Località: Zola Predosa (BO)
 Nome: Loris Colacurcio
 | 
				
					| Grazie per le determinazioni...mi occuperò di aggiornare le didascalie.  Per Daniele....cavoli, è già la seconda volta che mi fregano questi corticeus. Ho avuto il dubbio dell'Aulonium (con quei solchi sul pronoto), ma poi sono tornato a pensare ad un qualche tenebrionide     _________________
 Loris
 
 
 |  | 
		
			| Top | 
				
				 | 
		
			|  | 
	
			| gomphus | 
				
				
					|  Inviato:  20/11/2012, 12:08  |  | 
		
			| Iscritto il: 05/02/2009, 17:31
 Messaggi: 9527
 Località: milano
 Nome: maurizio pavesi
 | 
				
					| ciao loris quello che "dovrebbe essere un Badister "    è un Anthracus , credo    Anthracus consputus  (Duftschmid, 1812) e quello dopo, senza nome, è bellisssssimo   ... Platytarus faminii (Dejean, 1826) , complimenti   (uno solo, vero  ?) p.s. l'ultima coccinella (visto che mi chiamo maurizio, mi ci butto anch'io    ) dovrebbe   essere una Coccinella (Spilota) undecimpunctata undecimpunctata Linnaeus, 1758_________________ *****************  maurizio
 
 |  | 
		
			| Top | 
				
				 | 
		
			|  | 
	
			| hypotyphlus | 
				
				
					|  Inviato:  20/11/2012, 13:55  |  | 
		
			| Iscritto il: 10/05/2010, 22:31
 Messaggi: 4371
 Località: Gavorrano (GR)
 Nome: marco bastianini
 | 
				
					| Daniele Sechi ha scritto: Una biodiversità incredibile Loris Credo che i risultati strepitosi di questa cacciata siano principalmente dovuti alle aree quasi completamente allagate con  obbligata concentrazione delle bestiole sugli argini e comunque su quei pochi posti poco sopra al limite delle acque._________________  Marco"Le foreste a precedere le civiltà, i deserti a seguire." François-René de Chateaubriand
 
 |  | 
		
			| Top | 
				
				 | 
		
			|  | 
	
			| aug | 
				
				
					|  Inviato:  20/11/2012, 13:59  |  | 
		
			| Iscritto il: 05/02/2009, 17:44
 Messaggi: 2683
 Località: Garbagnate Milanese
 Nome: Augusto Franzini
 | 
				
					| L'Elateride dopo il Lacon punctatus dovrebbe essere Aeoloderma crucifer, tipico delle zone umide.Bellissima la (o il?) Platytarus, che non credevo arrivasse così a Nord (nella Piana Pontina c'era).
 La fauna di carabidi assomiglia molto a quella di Fiumicino-Ponte Galeria di cui parlava Maurizio-gomphus.
 Non riesco a capire cos'è il Carabide dopo il Chlenius spoliatus: un Parophonus immaturo? sembra peloso...
 Certo che vi dovete essere divertiti parecchio...(invidia)!
 _________________
 Augusto (aug)
 Prediction is very difficult, especially about the future (Niels Bohr, fisico)
 
 
 |  | 
		
			| Top | 
				
				 | 
		
			|  | 
	
	
		|  |