Autore |
Messaggio |
Apoderus
|
Inviato: 02/07/2014, 11:00 |
|
Iscritto il: 08/02/2010, 23:01 Messaggi: 6169 Località: Vicenza
Nome: Silvano Biondi
|
Nelle due ultime settimane di maggio di quest'anno sono stato sulle isole di Cres (Cherso) e Lussino, situate a Sud Est dell'Istria. Ho girato in lungo e in largo le due isole, dove ero già stato più volte diversi anni fa. Gli esemplari che ho raccolto riempiono una scatola di dimensioni standard e saranno oggetto di altre discussioni che aprirò nei prossimi giorni per arrivare alla loro identificazione. Qui cercherò di illustrare alcune delle caratteristiche degli ambienti che ho visitato e proporrò immagini di esemplari in natura.
_________________
Silvano
|
|
Top |
|
 |
Apoderus
|
Inviato: 02/07/2014, 11:26 |
|
Iscritto il: 08/02/2010, 23:01 Messaggi: 6169 Località: Vicenza
Nome: Silvano Biondi
|
In realtà ho indagato in misura molto minore Lussino, più piccola e molto più antropizzata. Qui sopra una immagine della costa delle due isole, presa dal margine più meridionale di Lussino. Sopra un'altra immagine della zona meridionale di Lussino. La zona che ho frequentato di più, e che vi illustrerò, è quella della parte sud di Cres. Si tratta di un territorio a forma rettangolare, col lato maggiore lungo una quindicina di chilometri, pianeggiante, pochissimo antropizzata. E' presente un solo minuscolo villaggio (Punta Kriza = Punta Croce), poche case isolate e qualche contrada abbandonata. Il territorio era interessato, in passato, dall'allevamento di pecore, oggi quasi del tutto cessato. Lo testimonia la presenza costante di muri di sassi e di strutture tipiche delle attività connesse con l'allevamento (ripari, recinti ecc.). Oggi quasi tutti i terreni di pascolo abbandonati sono coperti da vegetazione spontanea di tipo mediterraneo, con netta dominanza del leccio. L'unica strada asfaltata presente è quella che vedete nell'immagine qui sopra, e collega il paesino di Osor (il punto di contatto tra Cres e Lussino) con la costa sud. E' una stradina stretta (quando si incrociano due auto è un problema) e piena di curve. Da questa partono innumerevoli piste sterrate che costituiscono un fitto reticolo e permettono di esplorare tutto il territorio. La maggior parte delle mie escursione è avvenuta percorrendo queste piste.
_________________
Silvano
|
|
Top |
|
 |
Apoderus
|
Inviato: 02/07/2014, 11:34 |
|
Iscritto il: 08/02/2010, 23:01 Messaggi: 6169 Località: Vicenza
Nome: Silvano Biondi
|
In quest'ultima foto (mi scuso per la qualità) ho cercato di rendere la situazione di alcune di queste formazioni boschive, dove i lecci, crescendo, hanno chiuso le chiome ed hanno prodotto un bosco molto buio con scarso sottobosco.
_________________
Silvano
|
|
Top |
|
 |
Apoderus
|
Inviato: 02/07/2014, 11:49 |
|
Iscritto il: 08/02/2010, 23:01 Messaggi: 6169 Località: Vicenza
Nome: Silvano Biondi
|
Veniamo a qualche nota sulla fauna. Nelle rarissime raccolte d'acqua, di origine antropica e destinate all'abbeveraggio del bestiame, sono frequenti diversi anfibi, tra cui il rospo smeraldino. Molti i rettili che attraversano velocemente il sentiero e generalmente si dileguano prima che si abbia il tempo di usare la fotocamera. Questo era decisamente fermo, direi da diversi giorni, visto il lezzo insopportabile che mi ha dissuaso dall'avvicinarmi (confesso che ho intravisto diversi coleotteri che ci lavoravano, ma non mi sono fermato a raccoglierli). Quest'altro, assolutamente vivo, era però in stato catatonico, nonostante la temperatura elevata. Particolare curioso: questo esemplare l'ho visto in tre giorni diversi, sempre fermo sulla stessa pietra e sempre poco reattivo.
_________________
Silvano
|
|
Top |
|
 |
Apoderus
|
Inviato: 02/07/2014, 11:59 |
|
Iscritto il: 08/02/2010, 23:01 Messaggi: 6169 Località: Vicenza
Nome: Silvano Biondi
|
Veniamo a qualche coleottero. Qui una coppia di Agapanthia su asfodelo. Nonostante gli asfodeli fossero frequentissimi, le Agapanthia adulte erano veramente poche. Un'altra coppia su cardo. (Se dovessero esserci problemi di identificazione, ho altri scatti in natura e, comunque, gli esemplari sono stati raccolti).
_________________
Silvano
|
|
Top |
|
 |
Apoderus
|
Inviato: 02/07/2014, 12:05 |
|
Iscritto il: 08/02/2010, 23:01 Messaggi: 6169 Località: Vicenza
Nome: Silvano Biondi
|
Erano molto frequenti i Dorcadion arenarium (non fotografati ma raccolti) con la livrea che trovo comune dalle mie parti (neri con fascia suturale bianca). L'unico con livrea diversa è quello fotografato (sottospecie diversa ?)
_________________
Silvano
|
|
Top |
|
 |
Apoderus
|
Inviato: 02/07/2014, 12:14 |
|
Iscritto il: 08/02/2010, 23:01 Messaggi: 6169 Località: Vicenza
Nome: Silvano Biondi
|
Una curiosa modalità di predazione che non avevo osservato prima. Il cerambicide ( Stictoleptura cordigera?) era immobile sul fiore, mentre il predatore ( Rhynocoris?) teneva l'apparato boccale immerso tra le sue elitre. Da notare la posizione del predatore, immobile con le zampe anteriori sollevate. Dopo l'ultimo scatto il cerambicide si è lentamente spostato, liberandosi dal rostro, ed è poi volato via.
_________________
Silvano
|
|
Top |
|
 |
Apoderus
|
Inviato: 02/07/2014, 12:24 |
|
Iscritto il: 08/02/2010, 23:01 Messaggi: 6169 Località: Vicenza
Nome: Silvano Biondi
|
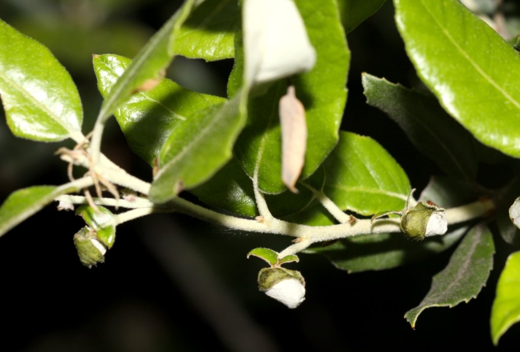
Un meloide ( Mylabris?) Per quanto riguarda le mie bestie, era relativamente frequente sui lecci Attelabus nitens, di cui ho raccolto alcuni esemplari e fotografato i barilotti. Più interessante la cattura di due esemplari di Rhodocyrtus cribripennis, che non ho fotografato in natura ma che proporrò in una discussione a parte.
_________________
Silvano
|
|
Top |
|
 |
Apoderus
|
Inviato: 02/07/2014, 12:32 |
|
Iscritto il: 08/02/2010, 23:01 Messaggi: 6169 Località: Vicenza
Nome: Silvano Biondi
|
Una coppia di Sisyphus che collaboravano allo spostamento della loro pallina. In altre occasioni mi era capitato di osservarli all'opera su terreni relativamente più "facili", come distese di sabbia o tratti di suolo con poca vegetazione. Qui erano piuttosto in difficoltà, visto che il substrato pieno di piante spinose bloccava in continuazione l'avanzamento del loro tesoro.
_________________
Silvano
|
|
Top |
|
 |
Apoderus
|
Inviato: 02/07/2014, 12:51 |
|
Iscritto il: 08/02/2010, 23:01 Messaggi: 6169 Località: Vicenza
Nome: Silvano Biondi
|
Frequenti anche gli incontri con Calosoma sycophanta. Ho spesso osservato individui che si portavano in posizioni elevate (come quello raffigurato nella foto) e dopo poco spiccavano il volo. Poiché era la prima volta che avevo la possibilità di vedere individui in volo o in fase di decollo, ho ripensato a diverse discussioni sul forum relative a questa specie (e al congenere inquisitor). Ci si chiedeva come potessero accorrere in numero anche rilevante, concentrandosi in zone interessate all'attacco di bruchi defogliatori. Credo che la risposta sia nella loro notevole capacità di volo. Nei casi che ho osservato, gli individui scaldavano i muscoli interessati al movimento delle ali per diversi minuti, producendo un forte ronzio, poi il ronzio cessava e loro partivano con volo rapidissimo in una direzione precisa, sparendo in un baleno dalla vista. Niente da vedere con i brevi e spesso impacciati voli di altri grossi coleotteri.
_________________
Silvano
|
|
Top |
|
 |
Apoderus
|
Inviato: 02/07/2014, 13:34 |
|
Iscritto il: 08/02/2010, 23:01 Messaggi: 6169 Località: Vicenza
Nome: Silvano Biondi
|
Chiudo con un paio di specie di lepidotteri, entrambe attirate da luci artificiali. Questa specie era abbastanza frequente ( Hyles?) mentre di quest'altra ( Acherontia atropos) ho visto un solo esemplare Mi fermo in attesa di vostri commenti/determinazioni, dandovi appuntamento alle prossime discussioni su altre specie di coleotteri. 
_________________
Silvano
|
|
Top |
|
 |
marco villa
|
Inviato: 02/07/2014, 14:05 |
|
Iscritto il: 19/06/2012, 14:35 Messaggi: 5626 Località: Alfonsine (RA)
Nome: Marco Villani
|
Bel reportage Apoderus ha scritto: 012.JPG Una curiosa modalità di predazione che non avevo osservato prima. Il cerambicide ( Stictoleptura cordigera?) era immobile sul fiore, mentre il predatore ( Rhynocoris?) teneva l'apparato boccale immerso tra le sue elitre. 013.JPG 014.JPG 015.JPG Da notare la posizione del predatore, immobile con le zampe anteriori sollevate. Dopo l'ultimo scatto il cerambicide si è lentamente spostato, liberandosi dal rostro, ed è poi volato via. Il cerambicide è Stictoleptura cordigera ssp. illyrica G. Muller, 1948Ma le mantidi? 
|
|
Top |
|
 |
Apoderus
|
Inviato: 02/07/2014, 14:35 |
|
Iscritto il: 08/02/2010, 23:01 Messaggi: 6169 Località: Vicenza
Nome: Silvano Biondi
|
marco villa ha scritto: Ma le mantidi? Zero mantidi (ma ce ne sono anche a maggio?) 
_________________
Silvano
|
|
Top |
|
 |
marco villa
|
Inviato: 02/07/2014, 15:07 |
|
Iscritto il: 19/06/2012, 14:35 Messaggi: 5626 Località: Alfonsine (RA)
Nome: Marco Villani
|
Si, a maggio trovi gli adulti di Empusa, e forse pure le Ameles che svernano da neanide invece che da ooteca. Quella zona è anche il punto più occidentale dell'areale di A. heldrechi.
|
|
Top |
|
 |
Anillus
|
Inviato: 02/07/2014, 18:44 |
|
Iscritto il: 18/02/2009, 0:24 Messaggi: 3907 Località: Asciano (Siena)
Nome: Andrea Petrioli
|
_________________ ______ Andrea
|
|
Top |
|
 |
|