Benvenuto Ospite

Forum Entomologi Italiani

www.entomologiitaliani.net/forum
 
Oggi è 08/11/2025, 1:07

Tutti gli orari sono UTC + 1 ora [ ora legale ]

Ptinus (Ptinus) perrini (Reitter 1884) - Anobiidae Ptininae

10.X.1993 - ITALIA - Lazio - RM, Maccarese


nuovo argomento
rispondi
Pagina 1 di 1 [ 3 messaggi ]
Autore Messaggio
MessaggioInviato: 03/01/2014, 22:02 
 

Iscritto il: 10/07/2010, 14:42
Messaggi: 4788
Nome: Giuseppe Pace
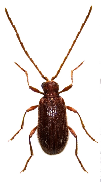
Femmina di Ptinus perrini (=ellipticus) :?

Dimensioni: c.a. mm. 3
Perrini 002 A.jpg



Ciao
Giuseppe


Top
profilo
 Oggetto del messaggio: Re: Ptinus sp. (4)
MessaggioInviato: 04/01/2014, 12:21 
 

Iscritto il: 15/12/2011, 21:07
Messaggi: 69
Nome: Benjamin Calmont
giuseppe55 ha scritto:
Femmina di Ptinus perrini (=ellipticus) :?

Questo è tutto e qui il maschio.


Ptinus perrini mâle.jpg

Top
profilo
 Oggetto del messaggio: Re: Ptinus sp. (4)
MessaggioInviato: 04/01/2014, 15:24 
 

Iscritto il: 10/07/2010, 14:42
Messaggi: 4788
Nome: Giuseppe Pace
Jean-ed de la Quenouille ha scritto:
Questo è tutto e qui il maschio.

Sì !!


Il mio unico esemplare è così.
Dopo che mi avevi detto che Ptinus perrini (= ellipticus), lo avevo estratto.
Coincidono anche i genitali.

Grazie per le indicazioni e la conferma.

Ciao
Giuseppe


Top
profilo
Visualizza ultimi messaggi:  Ordina per  
nuovo argomento
rispondi
Pagina 1 di 1 [ 3 messaggi ]

Tutti gli orari sono UTC + 1 ora [ ora legale ]


Chi c’è in linea

Visitano il forum: Nessuno e 1 ospite


Non puoi aprire nuovi argomenti
Non puoi rispondere negli argomenti
Non puoi modificare i tuoi messaggi
Non puoi cancellare i tuoi messaggi
Non puoi inviare allegati

Cerca per:
Vai a: