Benvenuto Ospite

Forum Entomologi Italiani

www.entomologiitaliani.net/forum
 
Oggi è 26/10/2025, 9:01

Tutti gli orari sono UTC + 1 ora [ ora legale ]

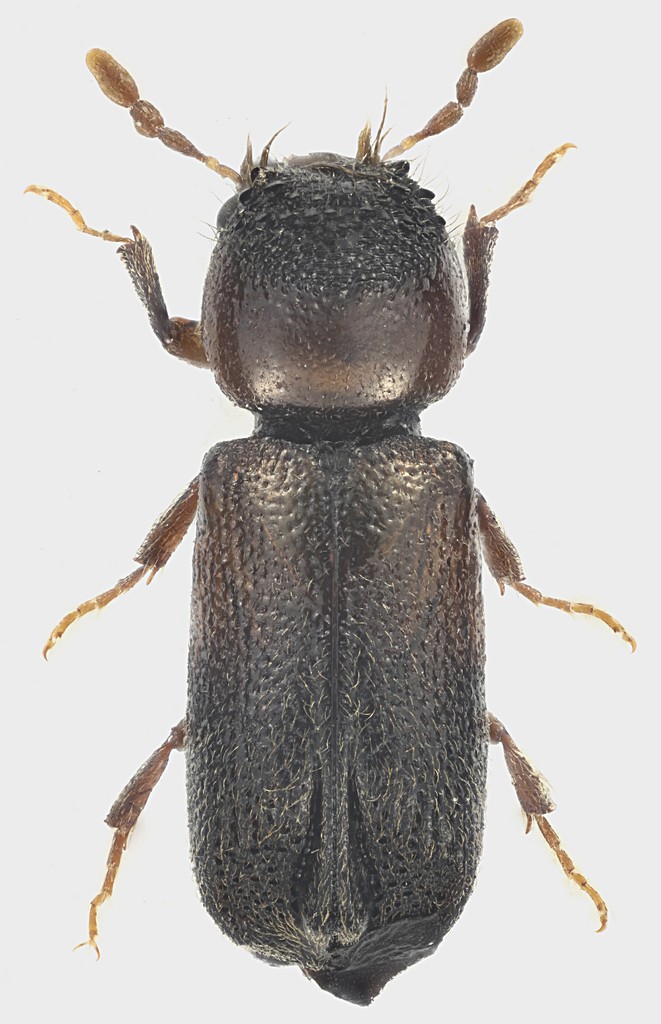
Scobicia pustulata (Fabricius, 1801) - Bostrichidae

VII.2017 - ITALIA - Lazio - FR, Serrone, 650 m, sul terrazzo di casa, alla luce nera


nuovo argomento
rispondi
Pagina 1 di 1 [ 3 messaggi ]
Autore Messaggio
MessaggioInviato: 15/08/2017, 23:27 
Avatar utente

Iscritto il: 30/12/2009, 22:20
Messaggi: 31564
Località: Roma
Nome: Maurizio Gigli
Qualcuno ne capisce di Bostrichidae?

Lazio, Frosinone, Serrone, 650 m, alla luce nera sul terrazzo di casa, VII.2017, M. Gigli legit
4,3 mm
Bostrichidae_Serrone_VII-2017_4,3mm_grey.jpg


_________________
Maurizio Gigli
http://utenti.romascuola.net/bups
http://bup.xoom.it/


Top
profilo
 Oggetto del messaggio: Re: Bostrichidae
MessaggioInviato: 16/08/2017, 0:51 
 

Iscritto il: 02/11/2010, 22:33
Messaggi: 990
Nome: Aleksei Kovalev
I would say Scobicia pustulata (Fabricius, 1801)
:hi:


Top
profilo
 Oggetto del messaggio: Re: Bostrichidae
MessaggioInviato: 16/08/2017, 14:59 
Avatar utente

Iscritto il: 30/12/2009, 22:20
Messaggi: 31564
Località: Roma
Nome: Maurizio Gigli
Thank you Aleksei.

_________________
Maurizio Gigli
http://utenti.romascuola.net/bups
http://bup.xoom.it/


Top
profilo
Visualizza ultimi messaggi:  Ordina per  
nuovo argomento
rispondi
Pagina 1 di 1 [ 3 messaggi ]

Tutti gli orari sono UTC + 1 ora [ ora legale ]


Chi c’è in linea

Visitano il forum: Nessuno e 1 ospite


Non puoi aprire nuovi argomenti
Non puoi rispondere negli argomenti
Non puoi modificare i tuoi messaggi
Non puoi cancellare i tuoi messaggi
Non puoi inviare allegati

Cerca per:
Vai a: