Benvenuto Ospite

Forum Entomologi Italiani

www.entomologiitaliani.net/forum
 
Oggi è 26/10/2025, 16:47

Tutti gli orari sono UTC + 1 ora [ ora legale ]

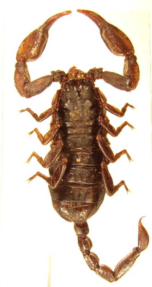
Euscorpius (Euscorpius) concinnus (C.L. Koch, 1837) - Euscorpiidae

30.VI.2007 - ITALIA - Emilia-Romagna - FC, Poggio alla Lastra, 505


nuovo argomento
rispondi
Pagina 1 di 1 [ 4 messaggi ]
Autore Messaggio
MessaggioInviato: 11/03/2016, 19:58 
 

Iscritto il: 08/12/2013, 1:52
Messaggi: 7516
Località: Bagnacavallo (RA)
Nome: Giorgio Pezzi
Si può confermare? femmina? mm 29. Grazie. :hi:
Scorpog.jpg



scorpogcroche.jpg

scorpogcroacu.jpg

scorpogvercroche.jpg

scorpogvercroche.jpg

Top
profilo
 Oggetto del messaggio: Re: Euscorpius concinnus 2?
MessaggioInviato: 12/05/2016, 15:54 
 

Iscritto il: 18/06/2011, 15:36
Messaggi: 145
Località: Roma
Nome: Gioele
Le foto non sono nitide, non si vedono bene i tricobotri, ma mi sembra di si.


Top
profilo
 Oggetto del messaggio: Re: Euscorpius concinnus 2?
MessaggioInviato: 17/06/2016, 22:22 
 

Iscritto il: 08/12/2013, 1:52
Messaggi: 7516
Località: Bagnacavallo (RA)
Nome: Giorgio Pezzi
Riporto allora Euscorpius (Euscorpius) concinnus concinnus (C. L. Koch, 1837), Euscorpiidae, come trovo in Kovarik F., 1999 - Review of European scorpions, with a key to species. Serket, vol. 6(2): 38-44.
Per una lista di riferimento non saprei non essendo nel campo.
:hi:


Top
profilo
 Oggetto del messaggio: Re: Euscorpius concinnus 2?
MessaggioInviato: 13/07/2016, 13:06 
 

Iscritto il: 18/06/2011, 15:36
Messaggi: 145
Località: Roma
Nome: Gioele
Non è una sottospecie, quindi Euscorpius (Euscorpius) concinnus (C.L. Koch, 1837)


Top
profilo
Visualizza ultimi messaggi:  Ordina per  
nuovo argomento
rispondi
Pagina 1 di 1 [ 4 messaggi ]

Tutti gli orari sono UTC + 1 ora [ ora legale ]


Chi c’è in linea

Visitano il forum: Nessuno e 1 ospite


Non puoi aprire nuovi argomenti
Non puoi rispondere negli argomenti
Non puoi modificare i tuoi messaggi
Non puoi cancellare i tuoi messaggi
Non puoi inviare allegati

Cerca per:
Vai a: