Benvenuto Ospite

Forum Entomologi Italiani

www.entomologiitaliani.net/forum
 
Oggi è 26/10/2025, 3:55

Tutti gli orari sono UTC + 1 ora [ ora legale ]

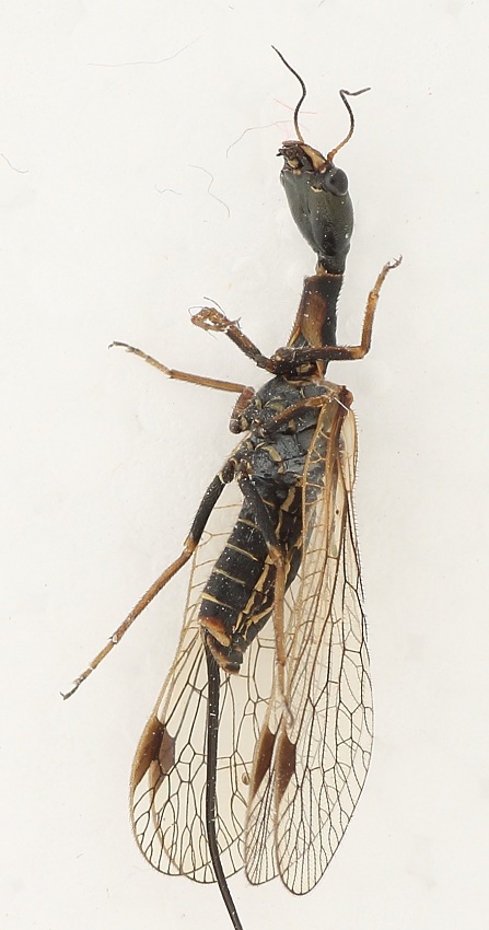
Raphidiidae sp.

19.VI.2012 - ITALIA - Basilicata - PZ, Abetina di Laurenzana


nuovo argomento
rispondi
Pagina 1 di 1 [ 10 messaggi ]
Autore Messaggio
 Oggetto del messaggio: Raphidiidae sp.
MessaggioInviato: 21/06/2012, 16:28 
Avatar utente

Iscritto il: 08/07/2010, 10:53
Messaggi: 3171
Località: Matera
Nome: Domenico Cardinale
Ciao a tutti :)

inizialmente ero quasi sicuro che fosse una mantispa, ma non ha il primo paio di zampe modificate, quindi mi sa che non lo è!

Lunghezza 11 mm


IMG_5550 11mm.jpg



IMG_5551 11mm.jpg


_________________
Saluti :hi: Mimmo
Top
profilo
 Oggetto del messaggio: Re: Neurottero
MessaggioInviato: 21/06/2012, 16:34 
Avatar utente

Iscritto il: 09/07/2011, 13:43
Messaggi: 2210
Località: Marmirolo (MN)
Nome: Maura Bocci
Dovrebbe essere un Raphidiidae, vedrai che qualcuno ti saprà dire quale :)

_________________
Maura
(Mitakuye oyasin)


Top
profilo
 Oggetto del messaggio: Re: Neurottero
MessaggioInviato: 21/06/2012, 16:42 
Avatar utente

Iscritto il: 08/07/2010, 10:53
Messaggi: 3171
Località: Matera
Nome: Domenico Cardinale
Grazie Maura! :)

Ne ho visto uno simile in un avatar di qualche neurotterologo, ma non mi ricordo quale.

_________________
Saluti :hi: Mimmo


Top
profilo
 Oggetto del messaggio: Re: Neurottero
MessaggioInviato: 21/06/2012, 17:56 
Amministratore
Avatar utente

Iscritto il: 06/02/2009, 9:16
Messaggi: 6919
Località: Portici (Napoli)
Nome: Claudio Labriola
Provo a suggerire il genere Phaeostigma sp. - Raphidiidae

_________________
Immagine Claudio Labriola
Buona Vita!!!!


Top
profilo
 Oggetto del messaggio: Re: Neurottero
MessaggioInviato: 21/06/2012, 17:58 
Avatar utente

Iscritto il: 02/02/2009, 23:32
Messaggi: 5645
Località: da Ferrara ad Alghero
Nome: Roberto A. Pantaleoni
Qui andiamo sul difficile, questi ad occhiometro proprio non si determinano.
Se hai voglia di cimentarti servono ancora una visione laterale dell'apice dell'addome (ultimi uriti e base dell'ovopositore) ed una ventrale della stessa zona. Possibilmente entrambe perpendicolari all'addome (adesso lo vedo obliquamente e non ci capisco molto).

Roberto :to:

_________________
verum stabile cetera fumus


Top
profilo
 Oggetto del messaggio: Re: Neurottero
MessaggioInviato: 21/06/2012, 18:01 
Amministratore
Avatar utente

Iscritto il: 06/02/2009, 9:16
Messaggi: 6919
Località: Portici (Napoli)
Nome: Claudio Labriola
Hemerobius ha scritto:
Qui andiamo sul difficile, questi ad occhiometro proprio non si determinano.
Se hai voglia di cimentarti servono ancora una visione laterale dell'apice dell'addome (ultimi uriti e base dell'ovopositore) ed una ventrale della stessa zona. Possibilmente entrambe perpendicolari all'addome (adesso lo vedo obliquamente e non ci capisco molto).

Roberto :to:

:oooner: , ok,


clido ha scritto:
Provo a suggerire il genere Phaeostigma sp. - Raphidiidae


... come non detto :sick:

_________________
Immagine Claudio Labriola
Buona Vita!!!!


Top
profilo
 Oggetto del messaggio: Re: Neurottero
MessaggioInviato: 21/06/2012, 18:55 
Avatar utente

Iscritto il: 02/02/2009, 23:32
Messaggi: 5645
Località: da Ferrara ad Alghero
Nome: Roberto A. Pantaleoni
Non è assolutamente detto che non sia una Phaeostigma :) !

Roberto :to:

_________________
verum stabile cetera fumus


Top
profilo
 Oggetto del messaggio: Re: Neurottero
MessaggioInviato: 21/06/2012, 20:49 
Avatar utente

Iscritto il: 08/07/2010, 10:53
Messaggi: 3171
Località: Matera
Nome: Domenico Cardinale
Grazie a tutti :)

cercherò al più presto di accontentarti Roberto!! :D

_________________
Saluti :hi: Mimmo


Top
profilo
 Oggetto del messaggio: Re: Neurottero
MessaggioInviato: 01/11/2012, 17:36 
Avatar utente

Iscritto il: 09/07/2011, 13:43
Messaggi: 2210
Località: Marmirolo (MN)
Nome: Maura Bocci
Mimmo, visto che hai adesso sei attrezzato di tutto punto :birra: ... proviamo a dare un nome a questo insettino? ;)

_________________
Maura
(Mitakuye oyasin)


Top
profilo
 Oggetto del messaggio: Re: Neurottero
MessaggioInviato: 01/11/2012, 17:46 
Avatar utente

Iscritto il: 08/07/2010, 10:53
Messaggi: 3171
Località: Matera
Nome: Domenico Cardinale
Maura ha scritto:
Mimmo, visto che hai adesso sei attrezzato di tutto punto :birra: ... proviamo a dare un nome a questo insettino? ;)

Eeeeeem :roll: :roll: ..................lo dovrei prima trovare nel casino della mia scrivania!!! :D :D

Comunque le foto arriveranno!!! ;)

_________________
Saluti :hi: Mimmo


Top
profilo
Visualizza ultimi messaggi:  Ordina per  
nuovo argomento
rispondi
Pagina 1 di 1 [ 10 messaggi ]

Tutti gli orari sono UTC + 1 ora [ ora legale ]


Chi c’è in linea

Visitano il forum: Nessuno e 1 ospite


Non puoi aprire nuovi argomenti
Non puoi rispondere negli argomenti
Non puoi modificare i tuoi messaggi
Non puoi cancellare i tuoi messaggi
Non puoi inviare allegati

Cerca per:
Vai a: