Benvenuto Ospite

Forum Entomologi Italiani

www.entomologiitaliani.net/forum
 
Oggi è 26/10/2025, 9:44

Tutti gli orari sono UTC + 1 ora [ ora legale ]

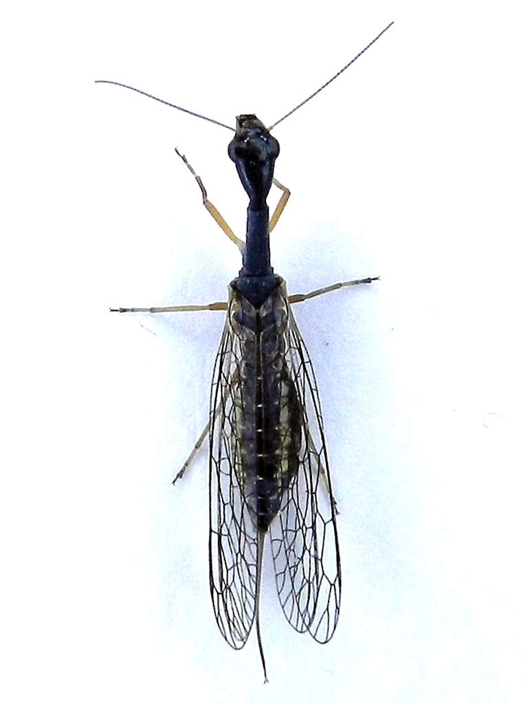
Venustoraphidia nigricollis (Albarda, 1891) - Raphidiidae

5.VI.2014 - ITALIA - Veneto - VE, Lido di Venezia (VE)


nuovo argomento
rispondi
Pagina 1 di 1 [ 3 messaggi ]
Autore Messaggio
MessaggioInviato: 26/06/2014, 9:17 
Avatar utente

Iscritto il: 05/09/2011, 17:28
Messaggi: 2641
Nome: Leonida GRAZIOLI
Al Lido di Venezia ho trovato la specie indicata in oggetto solo allo stato larvale; se le immagini si riferiscono all’adulto questa è la prima volta che la vedo.
Ciao a tutti e grazie
Leonida

L = mm 10
4 SME Nord 5.VI.2014 014a.jpg



3 SME Nord 5.VI.2014 013a.jpg

2 SME Nord 5.VI.2014 030.jpg

1 SME Nord 5.VI.2014 027a.jpg

Top
profilo
MessaggioInviato: 26/06/2014, 9:57 
Avatar utente

Iscritto il: 06/02/2009, 9:07
Messaggi: 1706
Località: W-Mediterraneo
Nome: Davide Badano
Parainocellia no di sicuro, si tratta della ben più interessante Venustoraphidia nigricollis (Albarda, 1891)

:hi:


Top
profilo
MessaggioInviato: 26/06/2014, 14:16 
Avatar utente

Iscritto il: 05/09/2011, 17:28
Messaggi: 2641
Nome: Leonida GRAZIOLI
Grazie Davide
Ciao
Leonida


Top
profilo
Visualizza ultimi messaggi:  Ordina per  
nuovo argomento
rispondi
Pagina 1 di 1 [ 3 messaggi ]

Tutti gli orari sono UTC + 1 ora [ ora legale ]


Chi c’è in linea

Visitano il forum: Nessuno e 1 ospite


Non puoi aprire nuovi argomenti
Non puoi rispondere negli argomenti
Non puoi modificare i tuoi messaggi
Non puoi cancellare i tuoi messaggi
Non puoi inviare allegati

Cerca per:
Vai a: