Benvenuto Ospite

Forum Entomologi Italiani

www.entomologiitaliani.net/forum
 
Oggi è 26/10/2025, 17:20

Tutti gli orari sono UTC + 1 ora [ ora legale ]

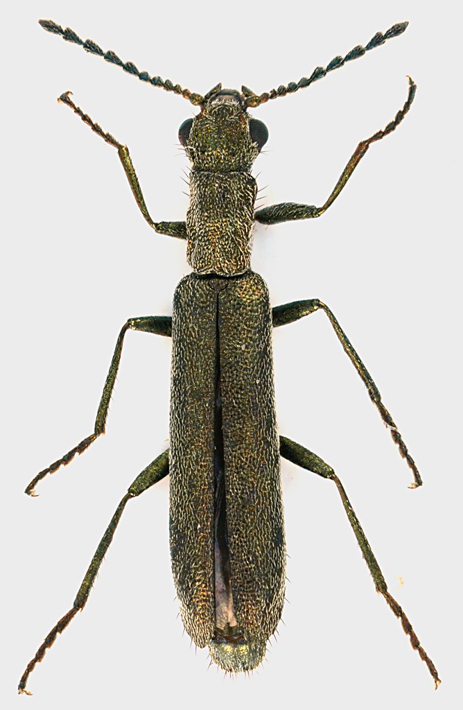
Dolichosoma simile (Brullé, 1832) - Dasytidae - Lazio

29.V.2011 - ITALIA - Lazio - RM, Maccarese


nuovo argomento
rispondi
Pagina 1 di 1 [ 3 messaggi ]
Autore Messaggio
MessaggioInviato: 02/06/2011, 12:05 
Avatar utente

Iscritto il: 30/12/2009, 22:20
Messaggi: 31564
Località: Roma
Nome: Maurizio Gigli
Questa bestiola, seppur abbastanza frequente in primavera sui fiori, non ho mai capito neppure di che famiglia sia.
Non è un Oedemeridae, perchè è pentamera, ma cos'è? Cleroidea (qualcosa tipo Malachiidae o Melyridae), o Cantharidae, o che altro? :?

Lazio, Roma, Maccarese, 29.V.2011, M. Gigli legit

5 mm

Ignoto_Maccarese_29-V-2011_5mm_grey.jpg


_________________
Maurizio Gigli
http://utenti.romascuola.net/bups
http://bup.xoom.it/


Top
profilo
 Oggetto del messaggio: Re: Coleottero ignoto - Lazio
MessaggioInviato: 02/06/2011, 12:33 
 

Iscritto il: 10/07/2010, 14:42
Messaggi: 4780
Nome: Giuseppe Pace
Julodis ha scritto:
Non è un Oedemeridae, perchè è pentamera, ma cos'è? Cleroidea (qualcosa tipo Malachiidae o Melyridae), o Cantharidae, o che altro?

Cleroidea :ok:

Dasytidae: Dolichosoma simile (Brullé, 1832) (S, Si, Sa)

Ciao
Giuseppe


Top
profilo
MessaggioInviato: 02/06/2011, 12:44 
Avatar utente

Iscritto il: 30/12/2009, 22:20
Messaggi: 31564
Località: Roma
Nome: Maurizio Gigli
Grazie Giuseppe. I Dasytidae me li dimentico sempre!

_________________
Maurizio Gigli
http://utenti.romascuola.net/bups
http://bup.xoom.it/


Top
profilo
Visualizza ultimi messaggi:  Ordina per  
nuovo argomento
rispondi
Pagina 1 di 1 [ 3 messaggi ]

Tutti gli orari sono UTC + 1 ora [ ora legale ]


Chi c’è in linea

Visitano il forum: Nessuno e 1 ospite


Non puoi aprire nuovi argomenti
Non puoi rispondere negli argomenti
Non puoi modificare i tuoi messaggi
Non puoi cancellare i tuoi messaggi
Non puoi inviare allegati

Cerca per:
Vai a: