Benvenuto Ospite

Forum Entomologi Italiani

www.entomologiitaliani.net/forum
 
Oggi è 13/10/2025, 23:11

Tutti gli orari sono UTC + 1 ora [ ora legale ]

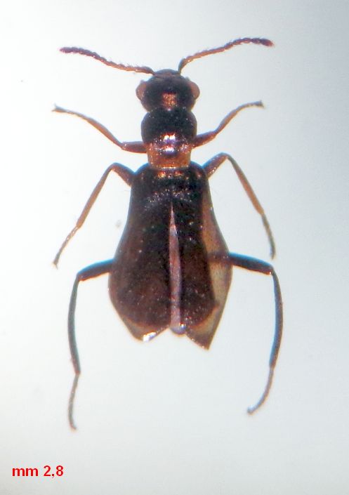
Sphinginus coarctatus (Erichson, 1840) - Melyridae Malachiinae

31.V.2021 - ITALIA - Piemonte - TO, Monte Cuneo, Avigliana


nuovo argomento
rispondi
Pagina 1 di 1 [ 4 messaggi ]
Autore Messaggio
MessaggioInviato: 10/12/2024, 21:28 
 

Iscritto il: 08/12/2013, 1:52
Messaggi: 7503
Località: Bagnacavallo (RA)
Nome: Giorgio Pezzi
Di Taddeo V. legit.; le elitre sono completamente nere: raccolto sotto viburno. Sarei arrivato a Sphinginus coarctatus (Erichson, 1840); è lui?
:hi:
DSC03465.JPG



DSC03469.JPG

Top
profilo
MessaggioInviato: 11/12/2024, 14:58 
Avatar utente

Iscritto il: 14/03/2009, 12:59
Messaggi: 3228
Località: Milano
Nome: Gabriele Franzini
Cita:
Sarei arrivato a Sphinginus coarctatus (Erichson, 1840); è lui?

Ufficialmente: sì.
Ufficiosamente: io sono convinto che si tratti di due forme di colore. La presenza/assenza del bordo giallo all'apice delle elitre è l'unico carattere che separa le due specie, altrimenti identiche, e le due forme si trovano insieme in parte dei rispettivi areali.
Trattarle come specie separate mi sembra una forzatura.

:hi: :hi: G.


Top
profilo
MessaggioInviato: 11/12/2024, 15:04 
 

Iscritto il: 08/12/2013, 1:52
Messaggi: 7503
Località: Bagnacavallo (RA)
Nome: Giorgio Pezzi
Grazie. Vedo che hai corretto il titolo tu quindi sei stato sull'"ufficiale". :ok:

P.S.: Gabriele fa riferimento a S. lobatus, che ha apici elitrali chiari.
Giorgio. :hi:


Top
profilo
MessaggioInviato: 11/12/2024, 16:08 
Avatar utente

Iscritto il: 14/03/2009, 12:59
Messaggi: 3228
Località: Milano
Nome: Gabriele Franzini
no, è stato qualche altro volenteroso!


Top
profilo
Visualizza ultimi messaggi:  Ordina per  
nuovo argomento
rispondi
Pagina 1 di 1 [ 4 messaggi ]

Tutti gli orari sono UTC + 1 ora [ ora legale ]


Chi c’è in linea

Visitano il forum: Nessuno e 1 ospite


Non puoi aprire nuovi argomenti
Non puoi rispondere negli argomenti
Non puoi modificare i tuoi messaggi
Non puoi cancellare i tuoi messaggi
Non puoi inviare allegati

Cerca per:
Vai a: