Benvenuto Ospite

Forum Entomologi Italiani

www.entomologiitaliani.net/forum
 
Oggi è 04/11/2025, 2:44

Tutti gli orari sono UTC + 1 ora [ ora legale ]

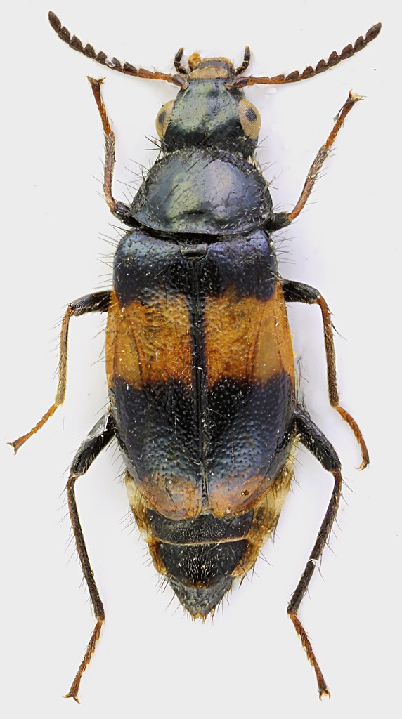
Attalus (Maurattalus) sp. - Malachiidae

8.IV.1996 - TUNISIA - EE, Foum Tataouine, Douiret


nuovo argomento
rispondi
Pagina 1 di 1 [ 12 messaggi ]
Autore Messaggio
MessaggioInviato: 16/11/2011, 21:53 
Avatar utente

Iscritto il: 30/12/2009, 22:20
Messaggi: 31564
Località: Roma
Nome: Maurizio Gigli
Su questo mi sono arreso. Preso sui fiori su un versante dei Monti Ksour

Tunisia, Foum Tataouine, Douiret, 8.IV.1996, M. & D. Gigli legit

6 mm
Ignoto_Tunisia_6mm_grey.jpg


_________________
Maurizio Gigli
http://utenti.romascuola.net/bups
http://bup.xoom.it/


Top
profilo
MessaggioInviato: 17/11/2011, 0:00 
Avatar utente

Iscritto il: 02/09/2009, 20:57
Messaggi: 8703
Località: Cagliari
Nome: Roberto Rattu
Che bello :o , dalla miniatura sembrava un Nicrophorus! Mi ricorda i nostri Divales.......


Top
profilo
MessaggioInviato: 17/11/2011, 0:03 
Avatar utente

Iscritto il: 01/07/2010, 22:26
Messaggi: 5650
Località: Viterbo
Nome: Marco Selis
Fumea crassiorella ha scritto:
dalla miniatura sembrava un Nicrophorus


Anche io sono caduto nello stesso tranello. Ho aperto la discussione contento di vedere un Nicrophorus tunisino e invece mi si presenta questo Cleroideo :P Anche se è indubbiamente bello :D


Top
profilo
MessaggioInviato: 17/11/2011, 8:29 
Avatar utente

Iscritto il: 30/12/2009, 22:20
Messaggi: 31564
Località: Roma
Nome: Maurizio Gigli
Dal vero gli somiglia ben poco, tra le dimensioni, molto minori, e il fatto che è una bestia floricola. Però in foto una certa somiglianza c'è.
Mai trovato un Nicrophorus in Nord Africa! Ci saranno, soprattutto nelle zone più fresche del Nord, ma tra Scarabaeidae e Tenebrionidae (per non parlare di mammiferi ed uccelli) devono avere vita dura.

_________________
Maurizio Gigli
http://utenti.romascuola.net/bups
http://bup.xoom.it/


Top
profilo
MessaggioInviato: 17/11/2011, 19:56 
 

Iscritto il: 10/07/2010, 14:42
Messaggi: 4784
Nome: Giuseppe Pace
Julodis ha scritto:
Coleottero Cleroidea da determinare - Tunisia

L'aspetto, effettivamente, è da Dasytidae/Malachiidae.

Ciao
Giuseppe


Top
profilo
MessaggioInviato: 17/11/2011, 23:11 
Avatar utente

Iscritto il: 30/12/2009, 22:20
Messaggi: 31564
Località: Roma
Nome: Maurizio Gigli
giuseppe55 ha scritto:
Julodis ha scritto:
Coleottero Cleroidea da determinare - Tunisia

L'aspetto, effettivamente, è da Dasytidae/Malachiidae.

Ciao
Giuseppe

Infatti anche io non riesco a decidere tra queste due famiglie.

_________________
Maurizio Gigli
http://utenti.romascuola.net/bups
http://bup.xoom.it/


Top
profilo
MessaggioInviato: 19/11/2011, 16:27 
 

Iscritto il: 10/07/2010, 14:42
Messaggi: 4784
Nome: Giuseppe Pace
Julodis ha scritto:
Infatti anche io non riesco a decidere tra queste due famiglie.

Non a caso erano inserite in un'unica famiglia.
Un carattere distintivo potrebbe essere visibile con una foto laterale.

Ciao
Giuseppe


Top
profilo
MessaggioInviato: 20/11/2011, 8:35 
Avatar utente

Iscritto il: 30/12/2009, 22:20
Messaggi: 31564
Località: Roma
Nome: Maurizio Gigli
giuseppe55 ha scritto:
Non a caso erano inserite in un'unica famiglia.
Un carattere distintivo potrebbe essere visibile con una foto laterale.

Se mi dici quale, posso provare a scegliere una inquadratura adatta.

Ciao

_________________
Maurizio Gigli
http://utenti.romascuola.net/bups
http://bup.xoom.it/


Top
profilo
MessaggioInviato: 21/11/2011, 20:29 
 

Iscritto il: 10/07/2010, 14:42
Messaggi: 4784
Nome: Giuseppe Pace
Julodis ha scritto:
Se mi dici quale, posso provare a scegliere una inquadratura adatta.

Ciao Maurizio,
i Malachidi hanno delle vescicole laterali.
Solitamente sotto il bordo anteriore del pronoto.
Anche nella zona del prosterno ed alla base dell'addome possono essere presenti.
Quando non sono rigonfie appaiono poco visibili, ma solitamente riconoscibili.
I Dasitidi non le hanno.

Giuseppe


Top
profilo
MessaggioInviato: 22/11/2011, 1:25 
Avatar utente

Iscritto il: 30/12/2009, 22:20
Messaggi: 31564
Località: Roma
Nome: Maurizio Gigli
giuseppe55 ha scritto:
Julodis ha scritto:
Se mi dici quale, posso provare a scegliere una inquadratura adatta.

Ciao Maurizio,
i Malachidi hanno delle vescicole laterali.
Solitamente sotto il bordo anteriore del pronoto.
Anche nella zona del prosterno ed alla base dell'addome possono essere presenti.
Quando non sono rigonfie appaiono poco visibili, ma solitamente riconoscibili.
I Dasitidi non le hanno.

Giuseppe

Grazie. Domani provo.

_________________
Maurizio Gigli
http://utenti.romascuola.net/bups
http://bup.xoom.it/


Top
profilo
MessaggioInviato: 26/01/2012, 17:29 
 

Iscritto il: 25/01/2012, 21:39
Messaggi: 496
Località: athens, greece
Nome: Kakiopoulos George
Hello !!!
It belongs to Malachiidae family, as I think.
The morphology is similar to a female individual of the genus Attalus Er. 1840 and particulary
to the subgenus A. (Maurattalus Pardo-Alcaide 1975).
The caracteristic of this subgenus, is the long hairs, on the hind tibiae, in contrast to the subgenus
Attalus (s.str.).
A. (Maurattalus), is a group of 8-10 north-African species (mainly from Morocco), with a length of approximately 3-4.5 mm.
Ciao a tutti !!!
George


Top
profilo
MessaggioInviato: 26/01/2012, 17:38 
Avatar utente

Iscritto il: 30/12/2009, 22:20
Messaggi: 31564
Località: Roma
Nome: Maurizio Gigli
strepens ha scritto:
Hello !!!
It belongs to Malachiidae family, as I think.
The morphology is similar to a female individual of the genus Attalus Er. 1840 and particulary
to the subgenus A. (Maurattalus Pardo-Alcaide 1975).
The caracteristic of this subgenus, is the long hairs, on the hind tibiae, in contrast to the subgenus
Attalus (s.str.).
A. (Maurattalus), is a group of 8-10 north-African species (mainly from Morocco), with a length of approximately 3-4.5 mm.
Ciao a tutti !!!
George

Thank you very much, George!

_________________
Maurizio Gigli
http://utenti.romascuola.net/bups
http://bup.xoom.it/


Top
profilo
Visualizza ultimi messaggi:  Ordina per  
nuovo argomento
rispondi
Pagina 1 di 1 [ 12 messaggi ]

Tutti gli orari sono UTC + 1 ora [ ora legale ]


Chi c’è in linea

Visitano il forum: Nessuno e 1 ospite


Non puoi aprire nuovi argomenti
Non puoi rispondere negli argomenti
Non puoi modificare i tuoi messaggi
Non puoi cancellare i tuoi messaggi
Non puoi inviare allegati

Cerca per:
Vai a: