Benvenuto Ospite

Forum Entomologi Italiani

www.entomologiitaliani.net/forum
 
Oggi è 12/10/2025, 14:27

Tutti gli orari sono UTC + 1 ora [ ora legale ]

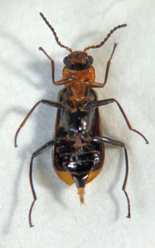
Antholinus minimus (Rossi, 1790) ♀ - Malachiidae

17.IV.2025 - ITALIA - Emilia-Romagna - RA, Villanova di Bagnacavallo


nuovo argomento
rispondi
Pagina 1 di 1 [ 6 messaggi ]
Autore Messaggio
MessaggioInviato: 26/04/2025, 18:14 
 

Iscritto il: 08/12/2013, 1:52
Messaggi: 7498
Località: Bagnacavallo (RA)
Nome: Giorgio Pezzi
Raccolto su Ferula in fiore.
:hi:
DSC04142.JPG



DSC04141.JPG

Top
profilo
 Oggetto del messaggio: Re: Melyridae Malachiinae da ID
MessaggioInviato: 27/04/2025, 21:49 
Avatar utente

Iscritto il: 14/03/2009, 12:59
Messaggi: 3228
Località: Milano
Nome: Gabriele Franzini
femmina di Attalus minimus (Rossi, 1790).

ciao G.


Top
profilo
 Oggetto del messaggio: Re: Melyridae Malachiinae da ID
MessaggioInviato: 28/04/2025, 20:26 
 

Iscritto il: 08/12/2013, 1:52
Messaggi: 7498
Località: Bagnacavallo (RA)
Nome: Giorgio Pezzi
Grazie Gabriele! :hi:


Top
profilo
MessaggioInviato: 29/04/2025, 11:46 
Avatar utente

Iscritto il: 14/03/2009, 12:59
Messaggi: 3228
Località: Milano
Nome: Gabriele Franzini
Anche se è generalmente noto come Attalus, il genere giusto è Antholinus, ma il cambiamento non ha ancora preso molto piede, e viene spontaneo chiamarlo ancora col vecchio nome.

Ciao G.


Top
profilo
MessaggioInviato: 29/04/2025, 18:40 
 

Iscritto il: 08/12/2013, 1:52
Messaggi: 7498
Località: Bagnacavallo (RA)
Nome: Giorgio Pezzi
Grazie. Gli altri sottogeneri restano tali? :hi:


Top
profilo
MessaggioInviato: 30/04/2025, 17:09 
Avatar utente

Iscritto il: 14/03/2009, 12:59
Messaggi: 3228
Località: Milano
Nome: Gabriele Franzini
La questione è ancora aperta. I Maurattalus nordafricani secondo me sono un genere a parte, molto lontano da Attalus. Gli Abrinus (da noi analis, limbatus, parietariae etc.) sono secondo me Antholinus anche loro, e lo stesso potrebbe valere per Ebaeimorphus (uno solo, l'A. maculicollis).

Dopo di che, ci sono "Attalus" anche negli altri continenti, ma nessuno li ha ancora guardati con uno sguardo filogenetico.

:hi: :hi: G.


Top
profilo
Visualizza ultimi messaggi:  Ordina per  
nuovo argomento
rispondi
Pagina 1 di 1 [ 6 messaggi ]

Tutti gli orari sono UTC + 1 ora [ ora legale ]


Chi c’è in linea

Visitano il forum: Nessuno e 1 ospite


Non puoi aprire nuovi argomenti
Non puoi rispondere negli argomenti
Non puoi modificare i tuoi messaggi
Non puoi cancellare i tuoi messaggi
Non puoi inviare allegati

Cerca per:
Vai a: