Benvenuto Ospite

Forum Entomologi Italiani

www.entomologiitaliani.net/forum
 
Oggi è 10/11/2025, 16:12

Tutti gli orari sono UTC + 1 ora [ ora legale ]

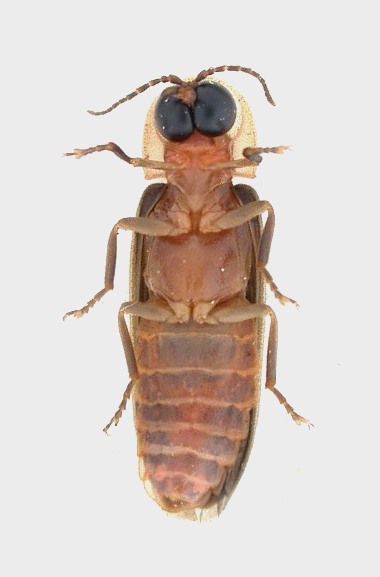
Lampyris sardiniae sardiniae Geisthardt, 1987 - Lampyridae

13.VII.2013 - ITALIA - Sardegna - CA, San Gregorio (Sìnnai), leg. R. Rattu


nuovo argomento
rispondi
Pagina 1 di 1 [ 2 messaggi ]
Autore Messaggio
MessaggioInviato: 15/07/2013, 13:00 
Avatar utente

Iscritto il: 02/09/2009, 20:57
Messaggi: 8703
Località: Cagliari
Nome: Roberto Rattu
In genere prendo i lampiridi con le trappole luminose ma questo esemplare voleva distinguersi: è uscito da una vagliata di terriccio; un esemplare di Lampyris sardiniae sardiniae:

DSCN5021.JPG



DSCN5020.JPG



Top
profilo
MessaggioInviato: 15/07/2013, 14:43 
 
:ok:


Top
Visualizza ultimi messaggi:  Ordina per  
nuovo argomento
rispondi
Pagina 1 di 1 [ 2 messaggi ]

Tutti gli orari sono UTC + 1 ora [ ora legale ]


Chi c’è in linea

Visitano il forum: Nessuno e 1 ospite


Non puoi aprire nuovi argomenti
Non puoi rispondere negli argomenti
Non puoi modificare i tuoi messaggi
Non puoi cancellare i tuoi messaggi
Non puoi inviare allegati

Cerca per:
Vai a: