Benvenuto Ospite

Forum Entomologi Italiani

www.entomologiitaliani.net/forum
 
Oggi è 26/10/2025, 7:57

Tutti gli orari sono UTC + 1 ora [ ora legale ]

Lampyridae USA

4.VII.2015 - STATI UNITI - EE, Frederick


nuovo argomento
rispondi
Pagina 1 di 1 [ 3 messaggi ]
Autore Messaggio
 Oggetto del messaggio: Lampyridae USA
MessaggioInviato: 23/10/2015, 21:33 
Avatar utente

Iscritto il: 10/05/2009, 15:30
Messaggi: 7182
Località: Ancona
Nome: Giacomo Giovagnoli
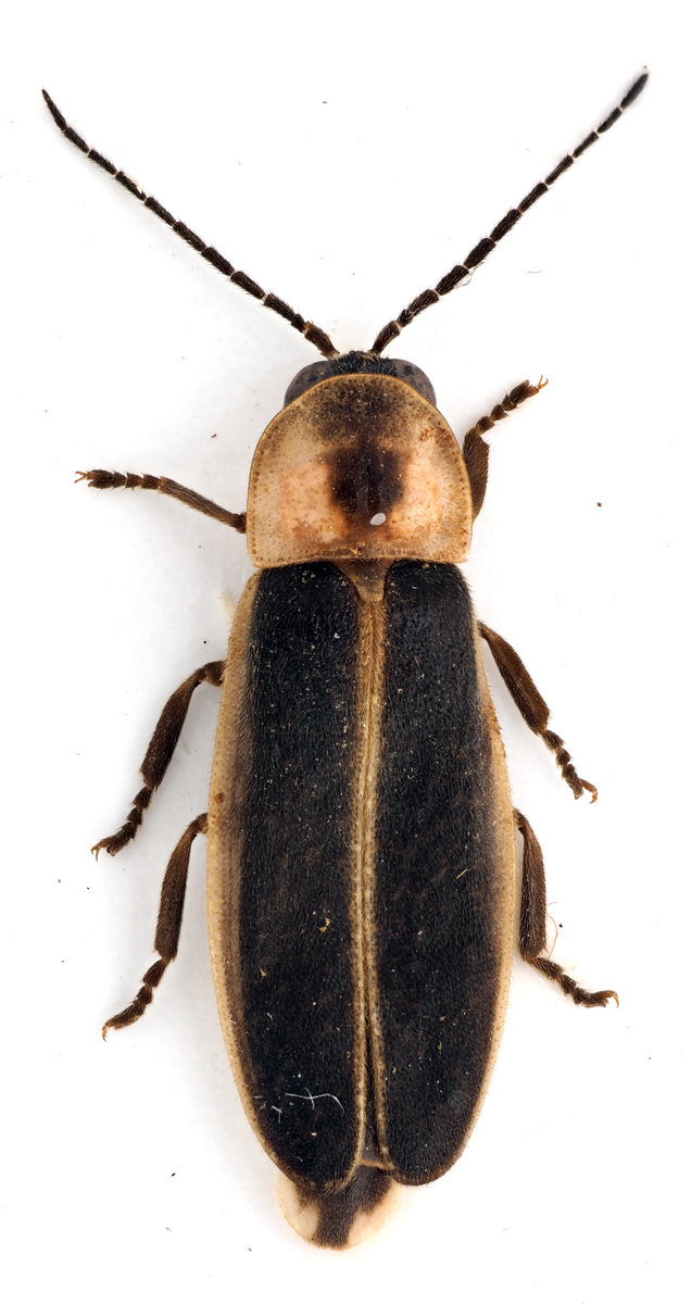
Frederick (USA); 04.VII.2015.

Mi fermo a Lampyridae... :no1:

[grazie zio per le foto!!! :birra: ]

Esemplare 1; dimensioni: 16mm
CombM1867_10zF5cr.jpg


CombM1868_25zF5cr.jpg


CombM1869_115zF5cr.jpg



Esemplare 2; dimensioni: 11mm
CombM1870_07zF5cr.jpg


CombM1871_32zF5cr.jpg



Ciao :)

_________________
Immagine Giacomo


Top
profilo
 Oggetto del messaggio: Re: Lampyridiae USA
MessaggioInviato: 24/10/2015, 10:36 
 
dalle parti dei Photinus o Photuris :roll: :roll:


Top
 Oggetto del messaggio: Re: Lampyridiae USA
MessaggioInviato: 24/10/2015, 10:40 
 
qui c'è citata una differenza tra i due generi
http://bugguide.net/node/view/8210


Top
Visualizza ultimi messaggi:  Ordina per  
nuovo argomento
rispondi
Pagina 1 di 1 [ 3 messaggi ]

Tutti gli orari sono UTC + 1 ora [ ora legale ]


Chi c’è in linea

Visitano il forum: Nessuno e 1 ospite


Non puoi aprire nuovi argomenti
Non puoi rispondere negli argomenti
Non puoi modificare i tuoi messaggi
Non puoi cancellare i tuoi messaggi
Non puoi inviare allegati

Cerca per:
Vai a: