Benvenuto Ospite

Forum Entomologi Italiani

www.entomologiitaliani.net/forum
 
Oggi è 20/12/2025, 12:00

Tutti gli orari sono UTC + 1 ora [ ora legale ]

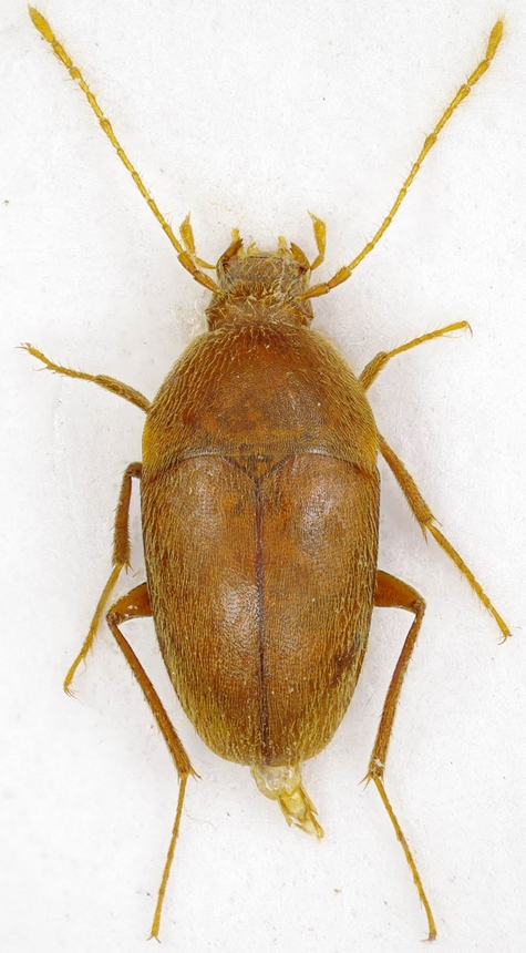
Neobathyscia antrorum fenzoi Rallo, 1971 - Leiodidae Cholevinae

22.VII.2016 - ITALIA - Veneto - VI, M.te Grappa,1700 m.


nuovo argomento
rispondi
Pagina 1 di 1 [ 10 messaggi ]
Autore Messaggio
MessaggioInviato: 18/02/2017, 18:51 
Avatar utente

Iscritto il: 06/02/2009, 9:03
Messaggi: 6373
Località: Bubano di Mordano (Bologna)
Nome: Augusto Degiovanni
Non conosco per nulla queste specie, ma chiedo, sono la stessa bestia, dimorfismo sessuale maschio e femmina oppure sono 2 specie diverse ?

Lunghezza: 3,1 mm
tn_1.jpg




Lunghezza: 2,9 mm
tn_2.jpg


_________________
CIAO :hi: Augusto Degiovanni

http://anthicidaeecarabidae.altervista.org


Top
profilo
 Oggetto del messaggio: Re: Catopidae
MessaggioInviato: 18/02/2017, 19:07 
Avatar utente

Iscritto il: 22/05/2009, 21:00
Messaggi: 2777
Località: Pergine Valsugana (TN)
Nome: Andrea Carlin
:hi: ciao Augusto.
A far bene si dovrebbe ingrandire l'edeago del maschio appena visibile nella prima foto.
Dovrebbe comunque essere Neobathyscia antrorum fenzoi Rallo, 1971 vista la località!
Leiodidae Cholevinae
:birra:
:hi:

_________________
Andrea Carlin, Pergine Valsugana (TN) carlin.andrea(AT)gmail.com

Nota: tutti gli esemplari inseriti nelle discussioni aperte da me sono da ritenere "Andrea Carlin legit" se non diversamente specificato.


Top
profilo
 Oggetto del messaggio: Re: Catopidae
MessaggioInviato: 18/02/2017, 19:14 
Avatar utente

Iscritto il: 01/11/2010, 21:21
Messaggi: 2110
Località: Brescia
Nome: Mario Grottolo
:ok:


Top
profilo
 Oggetto del messaggio: Re: Catopidae
MessaggioInviato: 18/02/2017, 19:26 
Avatar utente

Iscritto il: 06/02/2009, 9:03
Messaggi: 6373
Località: Bubano di Mordano (Bologna)
Nome: Augusto Degiovanni
Vi ringrazio per la determinazione, allora, sono maschio e femmina giusto ?, perché guardando le antenne ed i segmenti antennali sono diversi.

_________________
CIAO :hi: Augusto Degiovanni

http://anthicidaeecarabidae.altervista.org


Top
profilo
 Oggetto del messaggio: Re: Catopidae
MessaggioInviato: 18/02/2017, 19:39 
Avatar utente

Iscritto il: 30/12/2009, 22:20
Messaggi: 31564
Località: Roma
Nome: Maurizio Gigli
Notoxus59 ha scritto:
Vi ringrazio per la determinazione, allora, sono maschio e femmina giusto ?, perché guardando le antenne ed i segmenti antennali sono diversi.

Mi sa di si.

_________________
Maurizio Gigli
http://utenti.romascuola.net/bups
http://bup.xoom.it/


Top
profilo
 Oggetto del messaggio: Re: Catopidae
MessaggioInviato: 18/02/2017, 19:42 
Avatar utente

Iscritto il: 06/02/2009, 9:03
Messaggi: 6373
Località: Bubano di Mordano (Bologna)
Nome: Augusto Degiovanni
:ok:

_________________
CIAO :hi: Augusto Degiovanni

http://anthicidaeecarabidae.altervista.org


Top
profilo
 Oggetto del messaggio: Re: Catopidae
MessaggioInviato: 18/02/2017, 19:45 
Avatar utente

Iscritto il: 22/05/2009, 21:00
Messaggi: 2777
Località: Pergine Valsugana (TN)
Nome: Andrea Carlin
:hi: Da quello che si vede in foto dovrebbe essere così: cioè piccole differenze che rientrano nella variabilità della specie... ;)
Quando qualche tempo fa ho chiesto su FEI il lavoro di descrizione di Rallo mi è arrivata voce che questa ssp dovrebbe essere stata (o starà.... ) elevata a specie... Mah.... :gh:
:birra:

_________________
Andrea Carlin, Pergine Valsugana (TN) carlin.andrea(AT)gmail.com

Nota: tutti gli esemplari inseriti nelle discussioni aperte da me sono da ritenere "Andrea Carlin legit" se non diversamente specificato.


Top
profilo
 Oggetto del messaggio: Re: Catopidae
MessaggioInviato: 18/02/2017, 20:45 
Avatar utente

Iscritto il: 01/11/2010, 21:21
Messaggi: 2110
Località: Brescia
Nome: Mario Grottolo
Da chi hai sentito che sarà elevata a specie?
Più che essere elevata a specie, mi sa che andrebbe messa in sinonimia con la specie nominale.
Ciao
Mario


Top
profilo
 Oggetto del messaggio: Re: Catopidae
MessaggioInviato: 18/02/2017, 23:13 
Avatar utente

Iscritto il: 22/05/2009, 21:00
Messaggi: 2777
Località: Pergine Valsugana (TN)
Nome: Andrea Carlin
:ok: È quello che pensavo anch'io... ;)
:hi:

_________________
Andrea Carlin, Pergine Valsugana (TN) carlin.andrea(AT)gmail.com

Nota: tutti gli esemplari inseriti nelle discussioni aperte da me sono da ritenere "Andrea Carlin legit" se non diversamente specificato.


Top
profilo
 Oggetto del messaggio: Re: Catopidae
MessaggioInviato: 19/02/2017, 22:01 
Avatar utente

Iscritto il: 31/12/2009, 11:19
Messaggi: 451
Località: Castelfranco V.to - Treviso
Nome: Cesare Bellò
:cap: solo per precisare, avendo trascorso l'infanzia sul Massiccio, che il Monte Grappa quota al massimo 1775 metri :hi:


Top
profilo
Visualizza ultimi messaggi:  Ordina per  
nuovo argomento
rispondi
Pagina 1 di 1 [ 10 messaggi ]

Tutti gli orari sono UTC + 1 ora [ ora legale ]


Chi c’è in linea

Visitano il forum: Nessuno e 1 ospite


Non puoi aprire nuovi argomenti
Non puoi rispondere negli argomenti
Non puoi modificare i tuoi messaggi
Non puoi cancellare i tuoi messaggi
Non puoi inviare allegati

Cerca per:
Vai a: