Benvenuto Ospite

Forum Entomologi Italiani

www.entomologiitaliani.net/forum
 
Oggi è 08/11/2025, 1:11

Tutti gli orari sono UTC + 1 ora [ ora legale ]

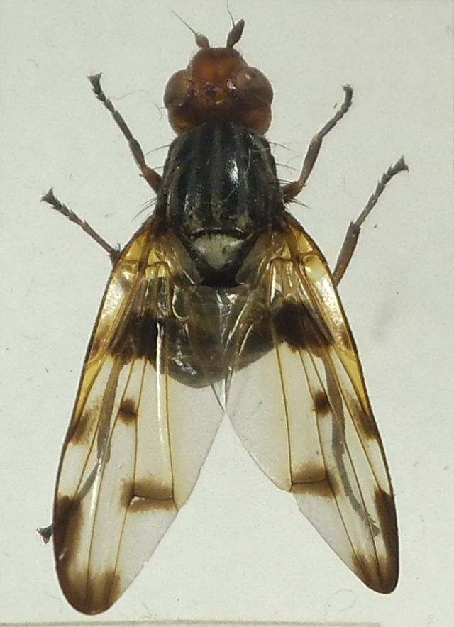
Otites formosa (Panzer 1798) - Ulidiidae Otitinae

14.V.2011 - ITALIA - Toscana - FI, Campigno, 616 m, sopra Marradi


nuovo argomento
rispondi
Pagina 1 di 1 [ 3 messaggi ]
Autore Messaggio
MessaggioInviato: 30/11/2015, 19:13 
 

Iscritto il: 08/12/2013, 1:52
Messaggi: 7534
Località: Bagnacavallo (RA)
Nome: Giorgio Pezzi
Ogni info su cosa sia è gradita: non saprei nemmeno la famiglia (Tephritidae?) con sicurezza: due exx, mm 10 e 13,5 sino all'apice delle ali. Grazie. :hi:
DSCF2138.JPG



DSCF2140.JPG

Top
profilo
 Oggetto del messaggio: Re: Dittero da ID 2
MessaggioInviato: 30/11/2015, 22:39 
 

Iscritto il: 10/08/2010, 14:39
Messaggi: 3220
Località: Milano
Nome: Carlo Monari
Mi sembra Otites formosa (Panzer 1798), Ulidiidae Otitinae.

_________________
Ciao

Carlo


Top
profilo
 Oggetto del messaggio: Re: Dittero da ID 2
MessaggioInviato: 01/12/2015, 20:59 
 

Iscritto il: 08/12/2013, 1:52
Messaggi: 7534
Località: Bagnacavallo (RA)
Nome: Giorgio Pezzi
Grazie Carlo!
:hi:


Top
profilo
Visualizza ultimi messaggi:  Ordina per  
nuovo argomento
rispondi
Pagina 1 di 1 [ 3 messaggi ]

Tutti gli orari sono UTC + 1 ora [ ora legale ]


Chi c’è in linea

Visitano il forum: Nessuno e 1 ospite


Non puoi aprire nuovi argomenti
Non puoi rispondere negli argomenti
Non puoi modificare i tuoi messaggi
Non puoi cancellare i tuoi messaggi
Non puoi inviare allegati

Cerca per:
Vai a: