| Forum Entomologi Italiani http://www.entomologiitaliani.net/public/forum/phpBB3/  | 
|
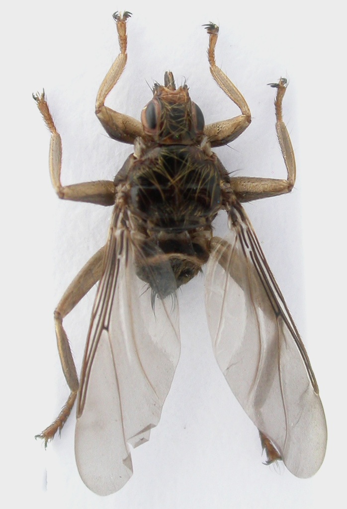
| Pseudolynchia sp. - Hippoboscidae Ornithomyinae http://www.entomologiitaliani.net/public/forum/phpBB3/viewtopic.php?f=488&t=70260  | 
	Pagina 1 di 1 | 
| Autore: | Fumea crassiorella [ 15/08/2016, 12:53 ] | 
| Oggetto del messaggio: | Pseudolynchia sp. - Hippoboscidae Ornithomyinae | 
Dovrebbe essere una Pseudolynchia. Dal capo sino all'apice delle ali sono 9 mm:  | 
	|
| Pagina 1 di 1 | Tutti gli orari sono UTC + 1 ora [ ora legale ] | 
| Powered by phpBB® Forum Software © phpBB Group http://www.phpbb.com/  | 
|