Benvenuto Ospite

Forum Entomologi Italiani

www.entomologiitaliani.net/forum
 
Oggi è 28/10/2025, 5:57

Tutti gli orari sono UTC + 1 ora [ ora legale ]

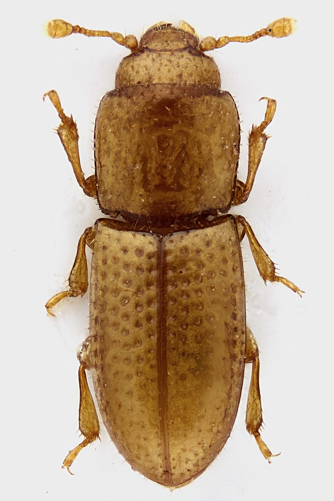
Anommatus duodecimstriatus (Muller, 1821) (cf.) - Bothrideridae

15.XI.2012 - ITALIA - Lazio - RM, Roma, Via di Settebagni


nuovo argomento
rispondi
Pagina 1 di 1 [ 5 messaggi ]
Autore Messaggio
MessaggioInviato: 18/11/2012, 21:54 
Avatar utente

Iscritto il: 30/12/2009, 22:20
Messaggi: 31564
Località: Roma
Nome: Maurizio Gigli
Nel terreno superficiale in una piccola pioppeta lungo un fossetto.
Dopo quello preso al Bosco di Manziana (Rm) l'anno scorso, sempre a novembre, è la prima volta che ritrovo questi insetti. Stavolta proprio a Roma.

Anommatus sp. - Bothrideridae

Lazio, Roma, Via di Settebagni, 15.XI.2012, M. Gigli legit

1,55 mm
Anommatus_Via_di_Settebagni_14-XI-2012_1,55mm_grey.jpg


_________________
Maurizio Gigli
http://utenti.romascuola.net/bups
http://bup.xoom.it/


Top
profilo
MessaggioInviato: 19/11/2012, 0:09 
 

Iscritto il: 21/09/2009, 9:34
Messaggi: 1535
Località: Padova
Nome: Gianfranco Salvato
Caro Maurizio

A vista mi pare il duodecimstriatus ma (come ti ho già chiesto nel messaggio precedente) se puoi tienimene qualcuno.
Bella foto!
Ciao
Gianfranco


Top
profilo
MessaggioInviato: 19/11/2012, 1:05 
Avatar utente

Iscritto il: 30/12/2009, 22:20
Messaggi: 31564
Località: Roma
Nome: Maurizio Gigli
Stavolta ne ho trovati due. Purtroppo mentre preparavo l'altro mi è scappato una starnuto, e con lo spillo ho spezzato una tibia anteriore, anche se l'ho incollata. Comunque li ho presi a 5 minuti da casa, perciò ci tornerò in settimana, se possibile, per vedere se riesco a prenderne una serietta.

Vorrei provare a rifotografarlo, perchè ho usato un diffusore sbagliato, e il risultato mi piace poco.

_________________
Maurizio Gigli
http://utenti.romascuola.net/bups
http://bup.xoom.it/


Top
profilo
MessaggioInviato: 19/11/2012, 15:43 
 

Iscritto il: 21/09/2009, 9:34
Messaggi: 1535
Località: Padova
Nome: Gianfranco Salvato
Julodis ha scritto:
con lo spillo ho spezzato una tibia anteriore, anche se l'ho incollata. .



Caro Maurizio

A me vanno bene anche se danneggiati. Mi interessa innanzi tutto la località.
Ciao
Gianfranco


Top
profilo
MessaggioInviato: 19/11/2012, 16:03 
Avatar utente

Iscritto il: 30/12/2009, 22:20
Messaggi: 31564
Località: Roma
Nome: Maurizio Gigli
Ok, ma se riesco a trovarne una serie, è meglio. Voglio provare col lavaggio del terreno, tanto lì vicino c'è un fossetto da cui potrei prendere l'acqua. E magari ci trovo anche qualche altra cosa.

_________________
Maurizio Gigli
http://utenti.romascuola.net/bups
http://bup.xoom.it/


Top
profilo
Visualizza ultimi messaggi:  Ordina per  
nuovo argomento
rispondi
Pagina 1 di 1 [ 5 messaggi ]

Tutti gli orari sono UTC + 1 ora [ ora legale ]


Chi c’è in linea

Visitano il forum: Nessuno e 1 ospite


Non puoi aprire nuovi argomenti
Non puoi rispondere negli argomenti
Non puoi modificare i tuoi messaggi
Non puoi cancellare i tuoi messaggi
Non puoi inviare allegati

Cerca per:
Vai a:  
cron