Benvenuto Ospite

Forum Entomologi Italiani

www.entomologiitaliani.net/forum
 
Oggi è 28/10/2025, 11:34

Tutti gli orari sono UTC + 1 ora [ ora legale ]

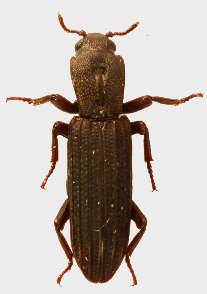
Ogmoderes sp. - Bothrideridae (Gabon)

XII.2013 - GABON - EE, NE Gabon, Parc Nat. Ivindo, Ipassa - S. Biondi leg.


nuovo argomento
rispondi
Pagina 1 di 1 [ 2 messaggi ]
Autore Messaggio
 Oggetto del messaggio: Ogmoderes sp. - Bothrideridae (Gabon)
MessaggioInviato: 11/02/2014, 0:01 
Avatar utente

Iscritto il: 08/02/2010, 23:01
Messaggi: 6169
Località: Vicenza
Nome: Silvano Biondi
rectangle_New-Out99999 - Copia - Copia - Copia.jpg


rectangle_New-Out99999 - Copia - Copia.jpg



6 mm, esemplare unico, alla lampada

:hi:

_________________



Silvano


Top
profilo
 Oggetto del messaggio: Re: Bothrideridae 3 - Gabon
MessaggioInviato: 11/02/2014, 0:21 
 

Iscritto il: 21/09/2009, 9:34
Messaggi: 1535
Località: Padova
Nome: Gianfranco Salvato
Splendido anche questo!
Pur essendo una specie chiaramente differente assomiglia molto all'anche europeo Ogmoderes angusticollis.
Anche per questo vale quanto detto poco fa per un altro simil mistero; trovare la letteratura!!! :p
ciao
Gianfranco


Top
profilo
Visualizza ultimi messaggi:  Ordina per  
nuovo argomento
rispondi
Pagina 1 di 1 [ 2 messaggi ]

Tutti gli orari sono UTC + 1 ora [ ora legale ]


Chi c’è in linea

Visitano il forum: Nessuno e 1 ospite


Non puoi aprire nuovi argomenti
Non puoi rispondere negli argomenti
Non puoi modificare i tuoi messaggi
Non puoi cancellare i tuoi messaggi
Non puoi inviare allegati

Cerca per:
Vai a: