Benvenuto Ospite

Forum Entomologi Italiani

www.entomologiitaliani.net/forum
 
Oggi è 12/11/2025, 14:50

Tutti gli orari sono UTC + 1 ora [ ora legale ]

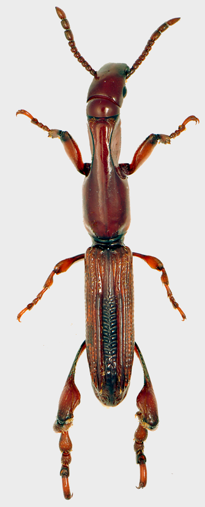
Cormopus sp. - Brentidae - Gabon

II.2011 - GABON - EE, P.N. Ivindo - Riserva Integrale d'Ipassa


nuovo argomento
rispondi
Vai alla pagina 1, 2  Prossimo
Pagina 1 di 2 [ 23 messaggi ]
Autore Messaggio
 Oggetto del messaggio: Cormopus sp. - Brentidae - Gabon
MessaggioInviato: 20/03/2011, 19:31 
Avatar utente

Iscritto il: 25/11/2009, 9:31
Messaggi: 8157
Località: Lecce
Nome: Maurizio Bollino
Dati: GABON – MAKOKOU (OGOOUE) - IVINDO N.P. – IPASSA NAT. RES. - ~ 0°30’43’’ N 12° 48’ 12’’ E - 19.II-11.III.2011 – m. 500
Dimensioni: 7 mm

Brenthidae-Gabon.jpg



Diabolici da preparare (sono come una lama di coltello, ed evitare che si corichino richiede non pochi funambolismi), affascinanti da osservare a forte ingrandimento.

_________________
Maurizio Bollino


Top
profilo
 Oggetto del messaggio: Re: Brenthidae - Gabon
MessaggioInviato: 20/03/2011, 19:35 
Avatar utente

Iscritto il: 26/03/2010, 14:55
Messaggi: 5978
Località: Romania
Nome: Cosmin-Ovidiu Manci
wow, belloooooooooooooooo !!!
a crop on elitrae is possible?

_________________
Cosmin-Ovidiu Manci
**********************
cosmln's place - my blog
just insects
Dragonflies of Romania


Top
profilo
 Oggetto del messaggio: Re: Brenthidae - Gabon
MessaggioInviato: 20/03/2011, 19:38 
Avatar utente

Iscritto il: 09/11/2009, 14:12
Messaggi: 5145
Località: Hradec Kralove,Czech republik
Nome: Jan Matějíček
Cerobates (s.str.) sp.

_________________
Research Fields
Taxonomy, ecology, biomonitoring , faunistic of Staphylinidae


Top
profilo
 Oggetto del messaggio: Re: Brenthidae - Gabon
MessaggioInviato: 20/03/2011, 19:59 
Avatar utente

Iscritto il: 25/11/2009, 9:31
Messaggi: 8157
Località: Lecce
Nome: Maurizio Bollino
cosmln ha scritto:
wow, belloooooooooooooooo !!!
a crop on elitrae is possible?


:ok:

Brenthidae-Gabon-crop.jpg



Honza ha scritto:
Cerobates (s.str.) sp.


Thank you, Jan.

_________________
Maurizio Bollino


Top
profilo
MessaggioInviato: 20/03/2011, 20:15 
Avatar utente

Iscritto il: 25/11/2009, 9:31
Messaggi: 8157
Località: Lecce
Nome: Maurizio Bollino
Qui si può scaricare il PDF della revisione del genere Cerobates.

Seguendo le chiavi, dovrebbe essere Cerobates (Cerobates) hybridus Senna, 1898 oppure Cerobates (Cerobates) sennae Calabresi, 1920.

_________________
Maurizio Bollino


Top
profilo
MessaggioInviato: 20/03/2011, 20:54 
Avatar utente

Iscritto il: 10/05/2010, 22:31
Messaggi: 4371
Località: Gavorrano (GR)
Nome: marco bastianini
:hp: :hp: :hp: :hp: :hp: SPET.....TACO.....LARE :hp: :hp: :hp: :hp:


Sia la foto che l'insetto

_________________
:to: Marco
"Le foreste a precedere le civiltà, i deserti a seguire."
François-René de Chateaubriand


Top
profilo
MessaggioInviato: 20/03/2011, 22:21 
Avatar utente

Iscritto il: 30/12/2009, 22:20
Messaggi: 31564
Località: Roma
Nome: Maurizio Gigli
Finalmente un Brenthidae diverso dai soliti!

_________________
Maurizio Gigli
http://utenti.romascuola.net/bups
http://bup.xoom.it/


Top
profilo
MessaggioInviato: 21/03/2011, 0:02 
Avatar utente

Iscritto il: 28/05/2009, 16:38
Messaggi: 5030
Nome: luigi lenzini
Bellissimo! Sembra fatto di ambra!

Una curiosità: mi sembra che spesso i coleotteri africani presentino un adattamento somatico alle loro abitudini di vita più spinto di quelli italiani.
Può darsi che in quei paesi ci sia stata una maggiore variabilità genetica, o una selezione più dura?
O, magari, che il numero di generazioni passate nello stesso periodo sia maggiore? (magari, si riproducono più volte in un anno senza l'interruzione invernale ...).
:hi: luigi


Top
profilo
MessaggioInviato: 21/03/2011, 0:19 
Avatar utente

Iscritto il: 30/12/2009, 22:20
Messaggi: 31564
Località: Roma
Nome: Maurizio Gigli
elleelle ha scritto:
Bellissimo! Sembra fatto di ambra!

Una curiosità: mi sembra che spesso i coleotteri africani presentino un adattamento somatico alle loro abitudini di vita più spinto di quelli italiani.
Può darsi che in quei paesi ci sia stata una maggiore variabilità genetica, o una selezione più dura?
O, magari, che il numero di generazioni passate nello stesso periodo sia maggiore? (magari, si riproducono più volte in un anno senza l'interruzione invernale ...).
:hi: luigi

Considera due fattori, che riguardano non solo le specie africane, ma quelle di buona parte della fascia intertropicale:
1 - le foreste tropicali/equatoriali sono ambienti generalmente antichi, quindi le specie hanno avuto il tempo di specializzarsi maggiormente
2 - il numero di specie molto più elevato di quelle presenti nelle zone temperate porta al restringimento della nicchia ecologica delle singole specie, quindi ad una maggiore specializzazione

Consideriamo poi un'altra importante differenza tra le specie italiane e quelle africane (anche se il confronto sarebbe meglio farlo tra territori di estensione simile).
Durante e fluttuazioni climatiche che si sono succedute negli ultimi milioni di anni, con alternanza di periodi glaciali e interglaciali, di volta in volta la fauna italiana veniva completamente stravolta ed impoverita, e probabilmente sopravvivevano soprattutto le specie a maggiore valenza ecologica, più adattabili perchè meno specializzate, mentre invece in caso di variazioni climatiche in Africa le specie non fanno altro che spostarsi un po' più a Nord o a Sud, o un po' più a Est o Ovest, visto che tra il Sahara e la regione del Capo non vi sono barriere geografiche degne di questo nome, a differenza dell'Italia, chiusa tra le Alpi e il Mediterraneo. Questo giustifica anche una certa uniformotà nel popolamento entomologico tra le varie regioni africane, in cui gli insetti possono avere un areale molto ampio (ad esempio dal Senegal al Sud Africa) a patto che vi siano gli ambienti adatti.

_________________
Maurizio Gigli
http://utenti.romascuola.net/bups
http://bup.xoom.it/


Top
profilo
MessaggioInviato: 21/03/2011, 0:22 
Avatar utente

Iscritto il: 09/11/2010, 19:52
Messaggi: 4518
Località: Brescia
Nome: Luca Bodei
:ok: bravo Maurizio veramente bello e complimenti per le foto :ok: :hi: :birra:

_________________
Tc70


Top
profilo
MessaggioInviato: 21/03/2011, 0:27 
Avatar utente

Iscritto il: 25/11/2009, 9:31
Messaggi: 8157
Località: Lecce
Nome: Maurizio Bollino
elleelle ha scritto:
Bellissimo! Sembra fatto di ambra!

Una curiosità: mi sembra che spesso i coleotteri africani presentino un adattamento somatico alle loro abitudini di vita più spinto di quelli italiani.
Può darsi che in quei paesi ci sia stata una maggiore variabilità genetica, o una selezione più dura?
O, magari, che il numero di generazioni passate nello stesso periodo sia maggiore? (magari, si riproducono più volte in un anno senza l'interruzione invernale ...).
:hi: luigi


Certamente, nelle aree tropicali, molti fattori giocano un ruolo determinante per una maggiore biodiversità. Il numero maggiore di generazioni annuali accellera il processo di speciazione, ma ciò che credo influisca più di tutto è l'enorme numero di nicchie ecologiche e microambienti. Considera che nella foresta tropicale ciò che trovi a 1 metro di altezza può essere totalmente differente da ciò che vive pochi metri più sopra, e la fauna della volta arborea è assolutamente diverso, e spesso molto più variato, da ciò che vive nel sottobosco.
Giusto per fare un esempio numerico: in tutta Europa (4 milioni di km2) esistono circa 450 specie di lepidotteri diurni (Hesperiidae esclusi), mentre in 2 km2 di foresta sudamericana ne sono state censite oltre 1500 specie.

_________________
Maurizio Bollino


Top
profilo
MessaggioInviato: 21/03/2011, 0:36 
Avatar utente

Iscritto il: 23/06/2010, 11:11
Messaggi: 2784
Località: Cagliari
Nome: Gianpaolo Ruzzante
Maurizio Bollino ha scritto:
Certamente, nelle aree tropicali, molti fattori giocano un ruolo determinante per una maggiore biodiversità. Il numero maggiore di generazioni annuali accellera il processo di speciazione, ma ciò che credo influisca più di tutto è l'enorme numero di nicchie ecologiche e microambienti. Considera che nella foresta tropicale ciò che trovi a 1 metro di altezza può essere totalmente differente da ciò che vive pochi metri più sopra, e la fauna della volta arborea è assolutamente diverso, e spesso molto più variato, da ciò che vive nel sottobosco.
Giusto per fare un esempio numerico: in tutta Europa (4 milioni di km2) esistono circa 450 specie di lepidotteri diurni (Hesperiidae esclusi), mentre in 2 km2 di foresta sudamericana ne sono state censite oltre 1500 specie.


Questa la uso :ok:


Top
profilo
MessaggioInviato: 21/03/2011, 0:39 
Avatar utente

Iscritto il: 25/11/2009, 9:31
Messaggi: 8157
Località: Lecce
Nome: Maurizio Bollino
Julodis ha scritto:
Durante e fluttuazioni climatiche che si sono succedute negli ultimi milioni di anni, con alternanza di periodi glaciali e interglaciali, di volta in volta la fauna italiana veniva completamente stravolta ed impoverita, e probabilmente sopravvivevano soprattutto le specie a maggiore valenza ecologica, più adattabili perchè meno specializzate, mentre invece in caso di variazioni climatiche in Africa le specie non fanno altro che spostarsi un po' più a Nord o a Sud, o un po' più a Est o Ovest, visto che tra il Sahara e la regione del Capo non vi sono barriere geografiche degne di questo nome, a differenza dell'Italia, chiusa tra le Alpi e il Mediterraneo. Questo giustifica anche una certa uniformotà nel popolamento entomologico tra le varie regioni africane, in cui gli insetti possono avere un areale molto ampio (ad esempio dal Senegal al Sud Africa) a patto che vi siano gli ambienti adatti.


Questo è vero solo in parte, Maurizio. Le barriere non sono solo quelle fisiche (catene montuose, fiumi, grandi laghi o il mare), ma anche quelle climatiche ed ecologiche, che, soprattutto per taxa con esigenze estremamente specializzate come quelle tropicali, possono essere anche più difficili da superare.

_________________
Maurizio Bollino


Top
profilo
MessaggioInviato: 21/03/2011, 0:42 
Avatar utente

Iscritto il: 25/11/2009, 9:31
Messaggi: 8157
Località: Lecce
Nome: Maurizio Bollino
ruzzpa ha scritto:
Maurizio Bollino ha scritto:
Certamente, nelle aree tropicali, molti fattori giocano un ruolo determinante per una maggiore biodiversità. Il numero maggiore di generazioni annuali accellera il processo di speciazione, ma ciò che credo influisca più di tutto è l'enorme numero di nicchie ecologiche e microambienti. Considera che nella foresta tropicale ciò che trovi a 1 metro di altezza può essere totalmente differente da ciò che vive pochi metri più sopra, e la fauna della volta arborea è assolutamente diverso, e spesso molto più variato, da ciò che vive nel sottobosco.
Giusto per fare un esempio numerico: in tutta Europa (4 milioni di km2) esistono circa 450 specie di lepidotteri diurni (Hesperiidae esclusi), mentre in 2 km2 di foresta sudamericana ne sono state censite oltre 1500 specie.


Questa la uso :ok:


Se devi usarla, falla completa ... :gh: :gh: I dati si riferiscono alla Riserva di Tambopata (Perù, Madre de Dios), e sono stati recentemente rivisti al rialzo di almeno altre 200 specie. Poichè però è un "rumor" che non ho documentato, ho riportato i dati pubblicati.

_________________
Maurizio Bollino


Top
profilo
MessaggioInviato: 21/03/2011, 0:57 
Avatar utente

Iscritto il: 30/12/2009, 22:20
Messaggi: 31564
Località: Roma
Nome: Maurizio Gigli
Maurizio Bollino ha scritto:

Questo è vero solo in parte, Maurizio. Le barriere non sono solo quelle fisiche (catene montuose, fiumi, grandi laghi o il mare), ma anche quelle climatiche ed ecologiche, che, soprattutto per taxa con esigenze estremamente specializzate come quelle tropicali, possono essere anche più difficili da superare.

Non ci siamo capiti. Intendevo dire che in Africa le specie di foresta si sono spostate di volta in volta verso Nord o verso Sud seguendo gli spostamenti della vegetazione in conseguenza delle variazioni climatiche. Il loro areale si è ristretto, limitandosi alla fascia equatoriale sul lato Atlantico, o si è esteso verso Est, ecc.
Allo stesso modo le specie di savana hanno seguito le alterne espansioni e contrazioni del loro habitat, e così via.
Ovviamente, se esaminiamo un territorio in un determinato momento, le barriere ecologiche e climatiche (queste ultime, in Africa, meno importanti), sono difficili da superare quanto le barriere geografiche (senza contare che queste ultime sono anche barriere ecologiche), ma bisogna avere una visione che si estenda nel tempo, altrimenti si percepisce solo un aspetto della biogeografia e certi popolamenti risultano inspiegabili.

_________________
Maurizio Gigli
http://utenti.romascuola.net/bups
http://bup.xoom.it/


Top
profilo
Visualizza ultimi messaggi:  Ordina per  
nuovo argomento
rispondi
Vai alla pagina 1, 2  Prossimo
Pagina 1 di 2 [ 23 messaggi ]

Tutti gli orari sono UTC + 1 ora [ ora legale ]


Chi c’è in linea

Visitano il forum: Nessuno e 1 ospite


Non puoi aprire nuovi argomenti
Non puoi rispondere negli argomenti
Non puoi modificare i tuoi messaggi
Non puoi cancellare i tuoi messaggi
Non puoi inviare allegati

Cerca per:
Vai a: