Benvenuto Ospite

Forum Entomologi Italiani

www.entomologiitaliani.net/forum
 
Oggi è 28/10/2025, 1:48

Tutti gli orari sono UTC + 1 ora [ ora legale ]

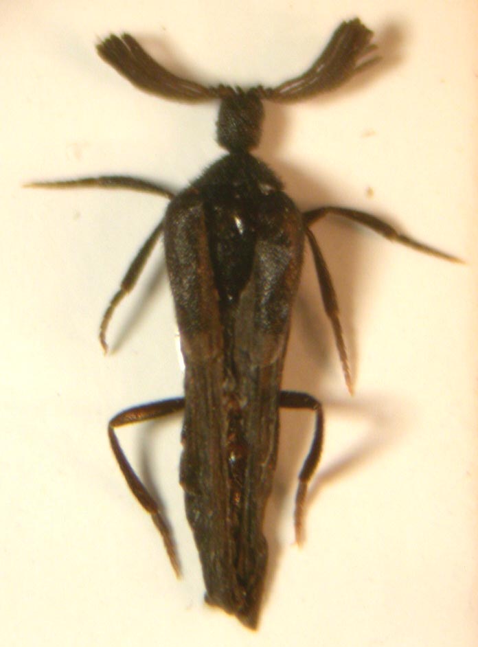
Ripidius quadriceps Abeille de Perrin 1872 - Ripiphoridae

9.VII.2012 - FRANCIA - EE, Choisel, Bois du Tartelet


nuovo argomento
rispondi
Pagina 1 di 1 [ 4 messaggi ]
Autore Messaggio
MessaggioInviato: 22/10/2012, 13:29 
Avatar utente

Iscritto il: 02/09/2009, 20:57
Messaggi: 8703
Località: Cagliari
Nome: Roberto Rattu
Sul forum mancava questa specie, a mio avviso assolutamente spettacolare sia per l'aspetto che per la caratteristiche biologiche. L'esemplare misura 5 mm ed è un maschio. Le femmine invece sono larviformi. La biologia di questa specie è legata agli Ectobius: qui ci sono alcune notizie.
DSCN2349.JPG


DSCN2358.JPG


DSCN2359.JPG



Top
profilo
MessaggioInviato: 22/10/2012, 14:45 
Avatar utente

Iscritto il: 01/07/2010, 22:26
Messaggi: 5650
Località: Viterbo
Nome: Marco Selis
Il Ripiphorus subdipterus in confronto è un coleottero normalissimo :shock:


Top
profilo
MessaggioInviato: 22/10/2012, 14:52 
Avatar utente

Iscritto il: 18/02/2009, 0:24
Messaggi: 3908
Località: Asciano (Siena)
Nome: Andrea Petrioli
Strano è di poco :o

La cosa che mi ha incuriosito di più, sono gli enormi occhi che occupano quasi la metà della testa.....se ho visto bene :)

Bel reperto Roberto :ok:

_________________
:hi:
______
Andrea


Top
profilo
MessaggioInviato: 22/10/2012, 15:13 
Avatar utente

Iscritto il: 02/09/2009, 20:57
Messaggi: 8703
Località: Cagliari
Nome: Roberto Rattu
Anillus ha scritto:
La cosa che mi ha incuriosito di più, sono gli enormi occhi che occupano quasi la metà della testa.....se ho visto bene :)


Sì, gli occhi sono molto sviluppati :ok: , (contrariamente all'apparato boccale!)


Top
profilo
Visualizza ultimi messaggi:  Ordina per  
nuovo argomento
rispondi
Pagina 1 di 1 [ 4 messaggi ]

Tutti gli orari sono UTC + 1 ora [ ora legale ]


Chi c’è in linea

Visitano il forum: Nessuno e 1 ospite


Non puoi aprire nuovi argomenti
Non puoi rispondere negli argomenti
Non puoi modificare i tuoi messaggi
Non puoi cancellare i tuoi messaggi
Non puoi inviare allegati

Cerca per:
Vai a:  
cron