Benvenuto Ospite

Forum Entomologi Italiani

www.entomologiitaliani.net/forum
 
Oggi è 24/10/2025, 19:32

Tutti gli orari sono UTC + 1 ora [ ora legale ]

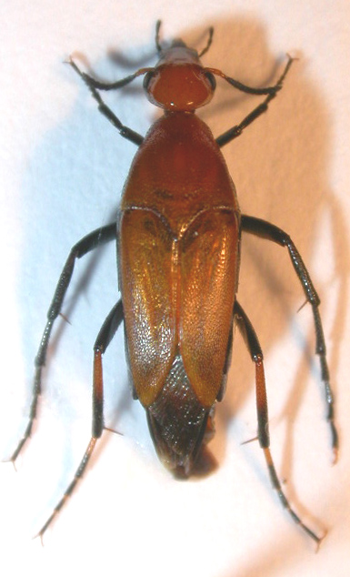
Macrosiagon ferrugineum (Fabricius, 1775) - Ripiphoridae

6.VI.2012 - ITALIA - Sardegna - CA, Quartu, loc. Flumini, leg. R. Rattu


nuovo argomento
rispondi
Pagina 1 di 1 [ 8 messaggi ]
Autore Messaggio
MessaggioInviato: 06/06/2012, 21:02 
Avatar utente

Iscritto il: 02/09/2009, 20:57
Messaggi: 8703
Località: Cagliari
Nome: Roberto Rattu
Altro (e ultimo: ho esaurito le cartucce) episodio dell'odierna saga dei Ripiphoridi: Macrosiagon ferrugineum. In questa discussione Marcello ne ha inserito un esemplare siciliano. Osservandolo mi è venuto in mente che oggi avevo preso un esemplare che poteva essere attribuibile al ferrugineum: eccolo, è lungo 8 mm e direi che è proprio lui:
DSCN1132.JPG



Top
profilo
MessaggioInviato: 06/06/2012, 23:13 
Avatar utente

Iscritto il: 30/12/2009, 22:20
Messaggi: 31564
Località: Roma
Nome: Maurizio Gigli
Ma basta, non se ne può più! Adesso riesci pure a trovarne due specie assieme! E' una provocazione!
Non troverò pace finche non sarò riuscito a trovare almeno un Ripiphoridae, di qualsiasi specie!

_________________
Maurizio Gigli
http://utenti.romascuola.net/bups
http://bup.xoom.it/


Top
profilo
MessaggioInviato: 06/06/2012, 23:21 
Avatar utente

Iscritto il: 17/02/2009, 0:05
Messaggi: 8521
Località: Isola d'Elba - Arcipelago Toscano
Nome: Leonardo Forbicioni
Julodis ha scritto:
Ma basta, non se ne può più! Adesso riesci pure a trovarne due specie assieme! E' una provocazione!


:x :x :x Io neanche rispondo più!!! :x :x :x

:lov2: :lov2:

_________________
"Stay hungry, stay foolish".
Steve Jobs, 2005
___________________
jjuniper8(at)gmail.com
Twitter: @weevil_forbix
cell. 339/5275910
___________________


Top
profilo
MessaggioInviato: 06/06/2012, 23:31 
Avatar utente

Iscritto il: 02/09/2009, 20:57
Messaggi: 8703
Località: Cagliari
Nome: Roberto Rattu
Ora controllo di nuovo il contenuto delle provette, potrebbe esserci un'altra specie ancora! :lol: Scherzi a parte, e' stata davvero una giornata fortunata, non credo si ripeterà! :dead:


Top
profilo
MessaggioInviato: 06/06/2012, 23:39 
Avatar utente

Iscritto il: 30/12/2009, 22:20
Messaggi: 31564
Località: Roma
Nome: Maurizio Gigli
Fumea crassiorella ha scritto:
Ora controllo di nuovo il contenuto delle provette, potrebbe esserci un'altra specie ancora! :lol: Scherzi a parte, e' stata solo fortuna, non credo si ripeterà una giornata così.. :dead:

Giuro che se ne trovi un'altra costruisco un aspiratore usando uno di questi, mi prendo un paio di giorni di permesso e piombo in Sardegna ad aspirare tutto, dalle piante alla terra, sassi, ecc, lasciado solo la roccia in posto.

_________________
Maurizio Gigli
http://utenti.romascuola.net/bups
http://bup.xoom.it/


Top
profilo
MessaggioInviato: 06/06/2012, 23:43 
Avatar utente

Iscritto il: 18/02/2009, 0:24
Messaggi: 3908
Località: Asciano (Siena)
Nome: Andrea Petrioli
A Robe', tutte te le bestiole strane?


COMPLIMENTI :D :birra: :birra: :birra: :birra: :birra:

_________________
:hi:
______
Andrea


Top
profilo
MessaggioInviato: 06/06/2012, 23:49 
Avatar utente

Iscritto il: 08/07/2010, 10:53
Messaggi: 3171
Località: Matera
Nome: Domenico Cardinale
Julodis ha scritto:
Fumea crassiorella ha scritto:
Ora controllo di nuovo il contenuto delle provette, potrebbe esserci un'altra specie ancora! :lol: Scherzi a parte, e' stata solo fortuna, non credo si ripeterà una giornata così.. :dead:

Giuro che se ne trovi un'altra costruisco un aspiratore usando uno di questi, mi prendo un paio di giorni di permesso e piombo in Sardegna ad aspirare tutto, dalle piante alla terra, sassi, ecc, lasciado solo la roccia in posto.

:gh: :gh: :gh: Secondo me con quel coso aspireresti tutto anche standotene dall'altra parte del Tirreno!! :lol1: :lol1: :lol1:

_________________
Saluti :hi: Mimmo


Top
profilo
MessaggioInviato: 06/06/2012, 23:57 
Avatar utente

Iscritto il: 30/12/2009, 22:20
Messaggi: 31564
Località: Roma
Nome: Maurizio Gigli
Mimmo011 ha scritto:
:gh: :gh: :gh: Secondo me con quel coso aspireresti tutto anche standotene dall'altra parte del Tirreno!! :lol1: :lol1: :lol1:

Mi servirebbe un tubo di aspirazione molto lungo! E magari con una prolunga potrei arrivare fino in Turchia e aspirare insetti in barba all'attuale normativa locale. :mrgreen:

_________________
Maurizio Gigli
http://utenti.romascuola.net/bups
http://bup.xoom.it/


Top
profilo
Visualizza ultimi messaggi:  Ordina per  
nuovo argomento
rispondi
Pagina 1 di 1 [ 8 messaggi ]

Tutti gli orari sono UTC + 1 ora [ ora legale ]


Chi c’è in linea

Visitano il forum: Nessuno e 1 ospite


Non puoi aprire nuovi argomenti
Non puoi rispondere negli argomenti
Non puoi modificare i tuoi messaggi
Non puoi cancellare i tuoi messaggi
Non puoi inviare allegati

Cerca per:
Vai a: