Benvenuto Ospite

Forum Entomologi Italiani

www.entomologiitaliani.net/forum
 
Oggi è 09/10/2025, 6:18

Tutti gli orari sono UTC + 1 ora [ ora legale ]

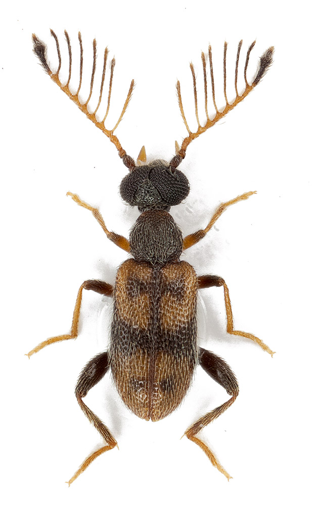
Emelinus sp. - Aderidae

1.II.2016 - GUYANA FRANCESE - EE, vicino a Galmot (Gite Moutouchi)


nuovo argomento
rispondi
Pagina 1 di 1 [ 3 messaggi ]
Autore Messaggio
 Oggetto del messaggio: Emelinus sp. - Aderidae
MessaggioInviato: 01/12/2016, 10:15 
Avatar utente

Iscritto il: 26/03/2010, 14:55
Messaggi: 5973
Località: Romania
Nome: Cosmin-Ovidiu Manci
Ciao,

Da due giorni lavoro su materiale da Guyana Francese che ho raccolto questo anno.
Tra alte quose e venito fuoi anche questo piccolo coleotero (cca 2.2 mm). Qualcuno puo dire qualcosa? Io non sono sicuri da quale famiglia viene.

FG001 - Copy copy.jpg


mi scusi per qualita di foto ma ora non ho tempo di fare piu bene


Grazie,
:hi:

_________________
Cosmin-Ovidiu Manci
**********************
cosmln's place - my blog
just insects
Dragonflies of Romania


Top
profilo
MessaggioInviato: 01/12/2016, 10:45 
Avatar utente

Iscritto il: 05/02/2009, 17:28
Messaggi: 3226
Nome: Marco Uliana
Aderidae, probably Emelinus sp.


Top
profilo
MessaggioInviato: 01/12/2016, 12:55 
Avatar utente

Iscritto il: 26/03/2010, 14:55
Messaggi: 5973
Località: Romania
Nome: Cosmin-Ovidiu Manci
Glaphyrus ha scritto:
Aderidae, probably Emelinus sp.


Grazie Marco!

:hi:

_________________
Cosmin-Ovidiu Manci
**********************
cosmln's place - my blog
just insects
Dragonflies of Romania


Top
profilo
Visualizza ultimi messaggi:  Ordina per  
nuovo argomento
rispondi
Pagina 1 di 1 [ 3 messaggi ]

Tutti gli orari sono UTC + 1 ora [ ora legale ]


Chi c’è in linea

Visitano il forum: Nessuno e 1 ospite


Non puoi aprire nuovi argomenti
Non puoi rispondere negli argomenti
Non puoi modificare i tuoi messaggi
Non puoi cancellare i tuoi messaggi
Non puoi inviare allegati

Cerca per:
Vai a: