Benvenuto Ospite

Forum Entomologi Italiani

www.entomologiitaliani.net/forum
 
Oggi è 28/10/2025, 0:20

Tutti gli orari sono UTC + 1 ora [ ora legale ]

Rhacopus sahlbergi (Mannerheim, 1823) - Eucnemidae

30.VI.2016 - ITALIA - Emilia-Romagna - BO, Monte San Pietro - San Martino


nuovo argomento
rispondi
Pagina 1 di 1 [ 3 messaggi ]
Autore Messaggio
MessaggioInviato: 04/07/2016, 14:21 
Avatar utente

Iscritto il: 05/02/2009, 17:25
Messaggi: 4894
Località: Zola Predosa (BO)
Nome: Loris Colacurcio
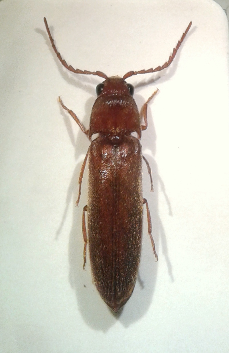
Ennesima bestiola "silvicola" raccolta alla lampada, vicino alle solite cataste sulle primissime colline bolognesi.
Presumo possa essere un Eucnemide, ma guardando sul forum non mi sembra di averne visti dei simili a questo.

Lunghezza: sui 7-8 mm.

20160701_215322.jpg


_________________
Loris


Top
profilo
 Oggetto del messaggio: Re: Eucnemide ??
MessaggioInviato: 04/07/2016, 14:59 
Avatar utente

Iscritto il: 24/09/2009, 20:40
Messaggi: 1947
Nome: Giuseppe Platia
:hp: :hp: Dovrebbe essere Rhacopus sahlbergi (Mannerheim, 1823).

:hi: :hi:


Top
profilo
 Oggetto del messaggio: Re: Eucnemide ??
MessaggioInviato: 04/07/2016, 15:56 
Avatar utente

Iscritto il: 05/02/2009, 17:25
Messaggi: 4894
Località: Zola Predosa (BO)
Nome: Loris Colacurcio
:birra:
Bene, nuova per il forum, direi :D

_________________
Loris


Top
profilo
Visualizza ultimi messaggi:  Ordina per  
nuovo argomento
rispondi
Pagina 1 di 1 [ 3 messaggi ]

Tutti gli orari sono UTC + 1 ora [ ora legale ]


Chi c’è in linea

Visitano il forum: Nessuno e 1 ospite


Non puoi aprire nuovi argomenti
Non puoi rispondere negli argomenti
Non puoi modificare i tuoi messaggi
Non puoi cancellare i tuoi messaggi
Non puoi inviare allegati

Cerca per:
Vai a: