Benvenuto Ospite

Forum Entomologi Italiani

www.entomologiitaliani.net/forum
 
Oggi è 31/10/2025, 21:08

Tutti gli orari sono UTC + 1 ora [ ora legale ]

Hylaeus cornutus Curtis,1831 - Colletidae

21.VIII.2023 - ITALIA - Emilia-Romagna - RA, Piangipane


nuovo argomento
rispondi
Pagina 1 di 1 [ 4 messaggi ]
Autore Messaggio
MessaggioInviato: 27/08/2023, 21:17 
 

Iscritto il: 08/12/2013, 1:52
Messaggi: 7528
Località: Bagnacavallo (RA)
Nome: Giorgio Pezzi
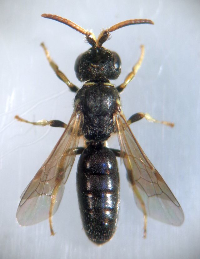
mm 5,7. Trovato tra altra roba, l'ho tenuto; se è il genere che penso mi accontento di conferma dello stesso.
:hi:
DSC01172.JPG



DSC01174.JPG

DSC01179.JPG

DSC01181.JPG

DSC01176.JPG

Top
profilo
 Oggetto del messaggio: Re: Piccolo apoideo da ID
MessaggioInviato: 27/08/2023, 21:23 
Avatar utente

Iscritto il: 01/07/2010, 22:26
Messaggi: 5650
Località: Viterbo
Nome: Marco Selis
Questo fortunatamente è facile, maschio di Hylaeus cornutus. È l'unico Hylaeus europeo il cui maschio ha la faccia completamente nera, che combinata ai grossi scapi gialli e alla particolare capsula genitale lo rendono inconfondibile.


Top
profilo
 Oggetto del messaggio: Re: Piccolo apoideo da ID
MessaggioInviato: 28/08/2023, 10:04 
 

Iscritto il: 08/12/2013, 1:52
Messaggi: 7528
Località: Bagnacavallo (RA)
Nome: Giorgio Pezzi
Grazie ancora, se lo riprendo me lo autodetermino! :oops:
:hi:


Top
profilo
MessaggioInviato: 02/09/2023, 18:16 
 

Iscritto il: 08/12/2013, 1:52
Messaggi: 7528
Località: Bagnacavallo (RA)
Nome: Giorgio Pezzi
Ne ho trovato un altro (maschio) qualche gg dopo; non avevo notato, tra le varie particolarità, la forma peculiare del primo mesotarsomero, non so se esclusiva.
:hi:
DSC01229.JPG



DSC01231.JPG

Top
profilo
Visualizza ultimi messaggi:  Ordina per  
nuovo argomento
rispondi
Pagina 1 di 1 [ 4 messaggi ]

Tutti gli orari sono UTC + 1 ora [ ora legale ]


Chi c’è in linea

Visitano il forum: Nessuno e 1 ospite


Non puoi aprire nuovi argomenti
Non puoi rispondere negli argomenti
Non puoi modificare i tuoi messaggi
Non puoi cancellare i tuoi messaggi
Non puoi inviare allegati

Cerca per:
Vai a:  
cron