| Autore |
Messaggio |
|
Fumea crassiorella
|
Inviato: 12/02/2018, 18:18 |
|
Iscritto il: 02/09/2009, 20:57 Messaggi: 8703 Località: Cagliari
Nome: Roberto Rattu
|
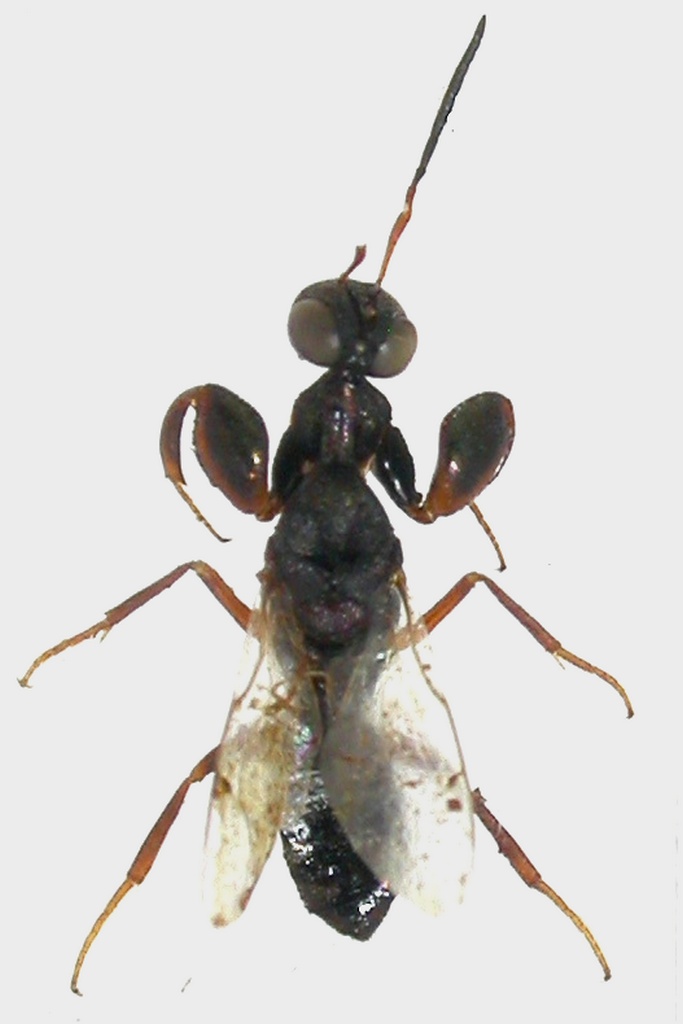
Piccolo esemplare molto particolare, lungo 5.3 mm, raccolto al suolo mentre cercavo crisidi in zona predesertica:
|
|
| Top |
|
 |
|
VincenzoGentile
|
Inviato: 12/02/2018, 19:35 |
|
Iscritto il: 29/04/2014, 1:30 Messaggi: 475 Località: Napoli
Nome: Vincenzo Gentile
|
|
Non sono sicuro, ma dalla strozzatura mesotoracica credo Chalcidoidea Eupelmidae. Le zampe anteriori raptatorie però sono favolose...
_________________ Vade ad formicam...
|
|
| Top |
|
 |
|
Fumea crassiorella
|
Inviato: 12/02/2018, 21:32 |
|
Iscritto il: 02/09/2009, 20:57 Messaggi: 8703 Località: Cagliari
Nome: Roberto Rattu
|
Ciao Vincenzo, intanto grazie 
|
|
| Top |
|
 |
|
Andricus
|
Inviato: 12/02/2018, 21:48 |
|
Iscritto il: 01/07/2010, 22:26 Messaggi: 5650 Località: Viterbo
Nome: Marco Selis
|
|
Non conosco minimamente queste piccole e interessanti bestiole, ma da un confronto iconografico penso possa essere uno Pteromalidae Cleonyminae del genere Oodera, o qualcosa di molto vicino. Le zampe anteriori sono veramente fantastiche, chissà a cosa servono e che biologia hanno queste vespine.
|
|
| Top |
|
 |
|
VincenzoGentile
|
Inviato: 12/02/2018, 22:04 |
|
Iscritto il: 29/04/2014, 1:30 Messaggi: 475 Località: Napoli
Nome: Vincenzo Gentile
|
Sì! Famiglia a me completamente ignota, ma sembra il taxon giusto. Le zampe raptatorie molto probabilmente servono per tenere le prede. Il punto è che, siccome dovrebbero essere parassitoidi, forse in alcuni casi è previsto anche il rilascio della preda ancora vitale.
_________________ Vade ad formicam...
|
|
| Top |
|
 |
|
VincenzoGentile
|
Inviato: 12/02/2018, 22:14 |
|
Iscritto il: 29/04/2014, 1:30 Messaggi: 475 Località: Napoli
Nome: Vincenzo Gentile
|
|
Altra cosa, ma qui siamo nella pura speculazione mentale: credo che l'anatomia simile agli Eupelmidi possa essere legata alla stessa funzione, cioè il salto.
Noto due caratteri in comune, entrambi potenzialmente propedeutici alla funzione saltatoria: il mesotorace strozzato e gli speroni tibiali delle zampe medie ben sviluppati.
Gli Eupelmidi hanno questa conformazione per poter contrarre la muscolatura mesotoracica, accumulare energia potenziale elastica e, rilasciando i muscoli, scaricarla al suolo attraverso gli arti medi, con i quali si sono piantati a terra con la base delle tibie e gli speroni.
Qualche euro lo scommetterei sul fatto che anche queste bestioline possano saltare.
_________________ Vade ad formicam...
|
|
| Top |
|
 |
|
Fumea crassiorella
|
Inviato: 13/02/2018, 9:37 |
|
Iscritto il: 02/09/2009, 20:57 Messaggi: 8703 Località: Cagliari
Nome: Roberto Rattu
|
Grazie ancora 
|
|
| Top |
|
 |
|
adriano cazzuoli
|
Inviato: 27/03/2018, 9:44 |
|
Iscritto il: 26/06/2011, 9:07 Messaggi: 200
Nome: adriano cazzuoli
|
|
San Felice, 27 marzo
Si tratta dello Pteromalidae cleonymino (o del Cleonymidae, le posizioni degli specialisti sono ancora discordanti) Oodera hoggarensis: Bravo, bravo a colui che è arrivato al genere!! Ne abbiamo una specie molto simile anche in Europa, Oodera formosa, mediterranea. Parassitano i coleotteri xilofagi, in particolare Buprestidae e Cerambycidae; dalla foto non si vede benissimo, ma sulla tibia ingrossata ci sono spazzole di setole nere: non servono per tenere ferma una larva quasi immobile, ma per spostare la segatura con la quale la larva tenta di proteggersi all'interno della sua galleria.
|
|
| Top |
|
 |
|
Fumea crassiorella
|
Inviato: 27/03/2018, 11:51 |
|
Iscritto il: 02/09/2009, 20:57 Messaggi: 8703 Località: Cagliari
Nome: Roberto Rattu
|
Ciao Adriano, grazie 
|
|
| Top |
|
 |
|
Andricus
|
Inviato: 16/01/2019, 0:32 |
|
Iscritto il: 01/07/2010, 22:26 Messaggi: 5650 Località: Viterbo
Nome: Marco Selis
|
Mi sono recentemente imbattuto in una revisione uscita appena un mese dopo questa determinazione. Per il Marocco è stata descritta una specie che risulta molto simile a questo esemplare ed è fornita una chiave ben fatta, forse è il caso di ricontrollare la determinazione https://jhr.pensoft.net/articles.php?id=12754
|
|
| Top |
|
 |
|
adriano cazzuoli
|
Inviato: 23/01/2019, 13:37 |
|
Iscritto il: 26/06/2011, 9:07 Messaggi: 200
Nome: adriano cazzuoli
|
|
San Felice sul Panaro, 23 gennaio 2017
Ti ringrazio tantissimo di avermi aggiornato su di un gruppo di mio grande interesse; poiché d'inverno non viene catturato granché e poiché vado ad aggiornarmi lo zoological records circa una volta all'anno, ancora non conoscevo questo bellissimo lavoro. Considerando che di solito un calcidoideo non lo si studia da una foto, oltretutto mediocre, posso però, utilizzando la nuova chiave, vedere che i margini del pronoto sono dritti e che il femore anteriore è circa 2,2 volte più lungo che largo, il che esclude Oodera circularicollis. Ho controllato anche Oodera niehuisorum, perché una specie israeliana può giungere anche in nord Africa; quest'ultima ha le ali trasparenti e il mesoscutello con una diversa scultura, ma purtroppo nell'esemplare non si vede; inoltre presenterebbe forti riflessi blu, che nell'esemplare non sembrerebbero esservi. Dunque confermerei Oodera hoggarensis, con qualche riserva circa Oodera formosa. Oodera hoggarensis l'ho raccolta anche in Sicilia ( prossimo lavoro). Tu ti occupi anche di calcidoidei???
Adriano Cazzuoli
|
|
| Top |
|
 |
|