| Autore |
Messaggio |
|
Loriscola
|
Inviato: 01/01/2011, 20:57 |
|
Iscritto il: 05/02/2009, 17:25 Messaggi: 4894 Località: Zola Predosa (BO)
Nome: Loris Colacurcio
|
Tanti anni fa avevo letto su un numero dell'Informatore del Giovane Entomologo, circa la possibilità di fare interessanti catture esaminando alla base dei pali (luce, telefono, recinzioni), purchè di legno...ma sino ad ora non avevo ancora provato. Poi, complice lo splendido pselafide raccolto da Julodis (un Faronus sp.), mi sono finalmente deciso a fare un tentativo....ovviamente a Palazzo Rossi, dove se no ? Di pali in legno, nessuna traccia....però vi sono delle vecchie traversine ferroviarie piantate in un prato ed utilizzate durante la periodica fiera settembrina per fare dei recinti. In questa foto primaverile si vedono piuttosto bene. Non ero molto convinto, anche perché questi grossi parallelepipedi in legno presentano ancora una parziale copertura di (credo) bitume, tanto che in estate "puzzano di benzina".....comunque, ho provato ugualmente e devo dire di esserne rimasto oltremodo soddisfatto  . Cosa più unica che rara, visto che comincio ad avere una discreta serie di bestiole determinate, posso pure permettermi di tentare una loro determinazione  ...con tutti i "ma" del caso. Tutte le specie sono state raccolte il 29.XII.2010 a Sasso Marconi (BO) - loc. Palazzo Rossi
_________________ Loris
|
|
| Top |
|
 |
|
Loriscola
|
Inviato: 01/01/2011, 21:07 |
|
Iscritto il: 05/02/2009, 17:25 Messaggi: 4894 Località: Zola Predosa (BO)
Nome: Loris Colacurcio
|
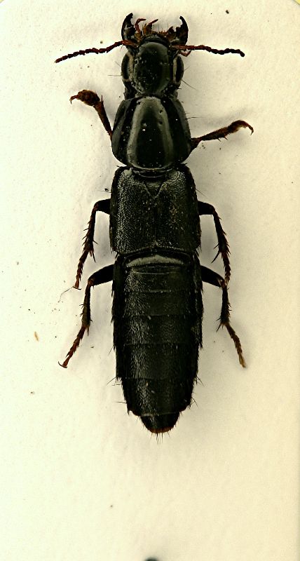
Primo fra tutti un inaspettato e splendido Pselaphus heisei parvus Karaman, 1940 che non immaginavo potesse trovarsi anche in ambienti non boschivi. Lunghezza: 2 mm. circa Passando ai carabidi, piuttosto frequenti erano questi piccoli e fragilissimi corridori, probabilmente (guardando anche il primo articolo antennale) sono dei Microlestes fulvibasis (Reitter, 1900) - Lunghezza: 2.8 mm. Per opportuna conferma, mi permetto di sottoporvi anche l'edeago. Altro splendido carabide, qui a Palazzo poco frequente (3 esemplari, per ora) è il Licinus silphoides (Rossi, 1790) - Lunghezza: 15 mm. circa Questa dovrebbe essere invece l'Amara (Amara) familiaris (Duftschmid, 1812) - Lunghezza: 6 mm.
_________________ Loris
|
|
| Top |
|
 |
|
Loriscola
|
Inviato: 01/01/2011, 21:15 |
|
Iscritto il: 05/02/2009, 17:25 Messaggi: 4894 Località: Zola Predosa (BO)
Nome: Loris Colacurcio
|
Sempre tra i carabidi ecco un harpalino, probabilmente  un Parophonus maculicornis (Duftschmid, 1812) Lunghezza: 6 mm. circa Mentre questo potrebbe invece essere il Olisthopus fuscatus Dejean, 1828 - Lunghezza: 5.6 mm. circa Passando tra i coccinellidi, ho trovato alcuni esemplari di quello che ipotizzo essere Scymnus frontalis (Fabricius, 1787) o almeno è molto simile....  Lunghezza: 3 mm. Con gli Staphilinidi non sono riuscito ad andare oltre al genere Dovrebbero essere entrambi ascrivibili al genere Stenus o lì vicino.... Il primo è lungo circa 5.5 mm. Il secondo, minuscolo, è di soli 2.2 mm. circa
_________________ Loris
|
|
| Top |
|
 |
|
Loriscola
|
Inviato: 01/01/2011, 21:28 |
|
Iscritto il: 05/02/2009, 17:25 Messaggi: 4894 Località: Zola Predosa (BO)
Nome: Loris Colacurcio
|
Altro ignoto stafilino, in questo caso, non posso nemmeno ipotizzare il genere.....Lunghezza: 3 mm. Per questo posso addirittura tentare un determinazione "completa": Quedius tristis (Gravenhorst, 1802) Lunghezza: 12 mm. circa Ultimo stafilino è una vecchia conoscenza già postata e su cui mi sbilancio nuovamente proponendo: Lesteva (Lestevidia) punctata Erichson, 1839 - Lunghezza: 4 mm. Finiamo con due heterotteri "terricoli". Il primo, numerosissimo nel terriccio, potrebbe essere un Cydnidae Legnotus limbosus (Geoffroy, 1785) - Lunghezza: 4.2 mm. Ed infine una bestiola determinata grazie al forum  : già sapevo che poteva essere una Prostemma (Nabidae), ma è solo grazie ad un post di Paglialunga, che sono "arrivato" a Prostemma sanguineun (Rossi, 1790) - Lunghezza: 5.5 mm. E questo è tutto, gente !! 
_________________ Loris
|
|
| Top |
|
 |
|
Julodis
|
Inviato: 01/01/2011, 21:50 |
|
Iscritto il: 30/12/2009, 22:20 Messaggi: 31564 Località: Roma
Nome: Maurizio Gigli
|
|
Però, ne hai trovata di roba! Belissimo lo Pselaphus. Questo genere non sono ancora riuscito a trovarlo, ma insistendo ....
|
|
| Top |
|
 |
|
Loriscola
|
Inviato: 02/01/2011, 1:33 |
|
Iscritto il: 05/02/2009, 17:25 Messaggi: 4894 Località: Zola Predosa (BO)
Nome: Loris Colacurcio
|
Vista l'estrema differenza fra i due ambienti dove l'ho già raccolto, direi che si tratta di una bestiola molto diffusa....quindi lo troverai di sicuro. Oggi ho fatto un altro tentativo (sai com'è, a caccia a capodanno, a caccia tutto l'anno !  ) ed ho avuto fortuna, almeno per ora: ho finalmente ritrovato il Faronus, una Brachygluta ed un Trissemus....davvero una bella raccolta. Adesso speriamo in qualche altra "caduta di lusso" (dal setaccio) 
_________________ Loris
|
|
| Top |
|
 |
|
Isotomus
|
Inviato: 02/01/2011, 11:27 |
|
Iscritto il: 05/09/2009, 7:56 Messaggi: 3445 Località: Cesena
Nome: Gianfranco Sama
|
|
Mi sembra che quello che tu chiamo Licinus silphoides sia, invece, un
Chlaenius (Chlaeniellus) tristis Schall., 1783 ??
_________________ Gianfranco Sama
"Benedetto colui che ti aiuta a correggere i tuoi errori invece di scagliarteli contro" ___________________________________ Gershom Sholem
|
|
| Top |
|
 |
|
Enrico Ruzzier
|
Inviato: 02/01/2011, 12:10 |
|
Iscritto il: 16/02/2009, 23:39 Messaggi: 1368 Località: Mirano (Venezia)
Nome: Enrico Ruzzier
|
Loriscola ha scritto: Altro ignoto stafilino, in questo caso, non posso nemmeno ipotizzare il genere.....Lunghezza: 3 mm. Dovrebbe trattarsi di uno Staphylinidae Oxytelinae.. credo genere Bledius 
_________________ «Discendiamo da scimmie evolute, non da angeli caduti» Robert Ardrey
|
|
| Top |
|
 |
|
Notoxus59
|
Inviato: 02/01/2011, 18:31 |
|
Iscritto il: 06/02/2009, 9:03 Messaggi: 6373 Località: Bubano di Mordano (Bologna)
Nome: Augusto Degiovanni
|
Isotomus ha scritto: Mi sembra che quello che tu chiamo Licinus silphoides sia, invece, un
Chlaenius (Chlaeniellus) tristis Schall., 1783 ?? Gianfranco, il Chlaenius (Chlaeniellus) tristis Schall., 1783 non ha le costulature sulle elitre, e neppure il protorace così arrotondato 
|
|
| Top |
|
 |
|
Isotomus
|
Inviato: 02/01/2011, 19:51 |
|
Iscritto il: 05/09/2009, 7:56 Messaggi: 3445 Località: Cesena
Nome: Gianfranco Sama
|
Notoxus59 ha scritto: Isotomus ha scritto: Mi sembra che quello che tu chiamo Licinus silphoides sia, invece, un
Chlaenius (Chlaeniellus) tristis Schall., 1783 ?? Gianfranco, il Chlaenius (Chlaeniellus) tristis Schall., 1783 non ha le costulature sulle elitre, e neppure il protorace così arrotondato  Ah no ? E allora questo qui sotto che cosa è  (Mi sbaglierò certamente, ma quelli che trovavo a Ravenna me lo ricordavo proprio così). Chlaenius (Chlaeniellus) tristis Schall., 1783 - scanography by K.A. Grebennikov http://www.zin.ru/animalia/coleoptera/eng/chltrikg.htm
_________________ Gianfranco Sama
"Benedetto colui che ti aiuta a correggere i tuoi errori invece di scagliarteli contro" ___________________________________ Gershom Sholem
|
|
| Top |
|
 |
|
Isotomus
|
Inviato: 02/01/2011, 19:59 |
|
Iscritto il: 05/09/2009, 7:56 Messaggi: 3445 Località: Cesena
Nome: Gianfranco Sama
|
Guardando bene, ma non avevo dubbi, hai ragione, ma non per le strie sulle elitre o sul pronoto arrotondato (non sono così drammaticamente diversi); vedo invece i palpi. Però ..
doc1.doc [131.5 KiB]
Scaricato 148 volte
. 
_________________ Gianfranco Sama
"Benedetto colui che ti aiuta a correggere i tuoi errori invece di scagliarteli contro" ___________________________________ Gershom Sholem
|
|
| Top |
|
 |
|
Notoxus59
|
Inviato: 02/01/2011, 21:29 |
|
Iscritto il: 06/02/2009, 9:03 Messaggi: 6373 Località: Bubano di Mordano (Bologna)
Nome: Augusto Degiovanni
|
Quando sarò di nuovo a posto con l'attezzatura fotografica ti faccio la comparazione delle due specie con esemplari che siano un po più puliti  , forse la costulatura non si vede bene per via della sporcizia sulle elitre  .
|
|
| Top |
|
 |
|
Notoxus59
|
Inviato: 14/01/2011, 14:30 |
|
Iscritto il: 06/02/2009, 9:03 Messaggi: 6373 Località: Bubano di Mordano (Bologna)
Nome: Augusto Degiovanni
|
Eccoli uniti  si nota eccome la differenza 
|
|
| Top |
|
 |
|
gomphus
|
Inviato: 14/01/2011, 19:24 |
|
Iscritto il: 05/02/2009, 17:31 Messaggi: 9527 Località: milano
Nome: maurizio pavesi
|
ciao loris bene bene bene  ... fra un po' comincerò a mandarti i miei da determinare solo l' Amara non mi convince; partendo dall'idea che manchi il poro scutellare delle elitre, la familiaris ha occhi nettamente più piatti, un po' tipo aenea ... io propenderei  per Amara (Amara) lucida (Duftschmid, 1812) ... però aspetto anche qualche altro parere e adesso, passiamo a cose più serie guarda che i pali in questione non devono obbligatoriamente essere di legno; la loro funzione è soprattutto meccanica, quindi possono andar bene anche quelli in cemento... ad esempio, visti così, a me quei tre che si vedono nella foto dietro le traversine mi garbano moltissimo e anche l'albero isolato sulla sx della foto, se avesse alla base un po' di ciuffi d'erba belli fitti e magari, finiti pali alberi & c, dove il terreno, soprattutto verso la parte alta del pendio, forma delle irregolarità, una sponda, una piccola scarpata, un dosso, prova a scavare un po' e infine, anche tutt'intorno alla base dei pali o degli alberi (soprattutto se circondati da un piccolo dosso o gobba del terreno, nel qual caso rispetto all'albero... allargati pure  ), non fermarti allo strato superficiale, prova ad andare sotto anche un 20-30 cm, e se trovi fessure, dovrebbero esserci dentro colonie di Brachinus, frammisti ai quali si trova anche di mooooolto meglio  , io lì per es. non sarei sorpreso di trovare: Anillus prob. florentinusZuphium olensParazuphium chevrolatiStomis bucciarelliietc. etc. etc.  ...
_________________ ***************** maurizio
|
|
| Top |
|
 |
|
aug
|
Inviato: 14/01/2011, 19:42 |
|
Iscritto il: 05/02/2009, 17:44 Messaggi: 2688 Località: Garbagnate Milanese
Nome: Augusto Franzini
|
Mi domando  a quale raccolta si riferisca gomphus...  In effetti anche io ricordo un certo palo di cemento con l'argilla intorno che brulicava di Apotomus e Parazuphium, ma bisogna andare un po' sotto per quelli, più in superficie si dovrebbero beccare Harpalini misti etc. Comunque sono d'accordo che quei pali sullo sfondo non sembrano male, visti dalla foto: l'importante è che ci sia l'erba intorno!
_________________ Augusto (aug) Prediction is very difficult, especially about the future (Niels Bohr, fisico)
|
|
| Top |
|
 |
|