Benvenuto Ospite

Forum Entomologi Italiani

www.entomologiitaliani.net/forum
 
Oggi è 23/10/2025, 17:30

Tutti gli orari sono UTC + 1 ora [ ora legale ]

Sotto la neve - Palazzo Rossi (BO)



nuovo argomento
rispondi
Vai alla pagina 1, 2  Prossimo
Pagina 1 di 2 [ 26 messaggi ]
Autore Messaggio
 Oggetto del messaggio: Sotto la neve - Palazzo Rossi (BO)
MessaggioInviato: 06/02/2010, 14:29 
Avatar utente

Iscritto il: 05/02/2009, 17:25
Messaggi: 4894
Località: Zola Predosa (BO)
Nome: Loris Colacurcio
Ieri ero a casa, con un'incontenibile voglia di fare quattro passi...e allora che fare ?
Purtroppo la nostre felsinee lande sono ancora ricoperte da un soffice quanto antipatico manto nevoso e mi ero già convinto a non andare a trovare la mia cara località prediletta :cry: Poi mi sono detto: vuoi che non riesca a trovare qualcosa anche sotto la neve ?? E quindi sono partito all'avventura... :hp:

In 15 minuti sono arrivato, il tempo di parcheggiare, indossare un paio di robusti stivali, armarmi con l'attrezzatura necessaria e si inizia ! Come potete vedere, la neve regna ancora sovrana....

aa.JPG


aaa.JPG



Ricordando ormai con una certa precisione, dove si trovano alcune assi di legno abbandonate, ho rimosso la neve per poi esplorare i legnetti, che già mi avevano regalato un sacco di bestiole....questa volta, invece, trovo ben poco:
Un piccolo Anthicus niger congelato
(Anthicide) Anhicus niger (olivier, 1811).JPG



...e alcuni Drasterius bimaculatus, ugualmente ghiacciati :gh:
(Elateride) Drasterius bimaculatus 2.JPG



Prosegueo nell'esplorazione e tanto per provare qualcosa di nuovo, provo a ispezionare un cespuglio di sambuco: alcuni rametti sono ormai disseccati e presentano un "invitante" cavità....proviamo a guardare:
Ecco apparire un sacco di tenebrionidi, dei Nalassu sp. direi..
(Tenebrionide) Nalassus sp1.JPG


(Tenebrionide) Nalassus sp2.JPG



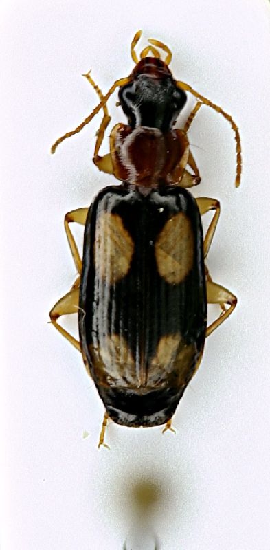
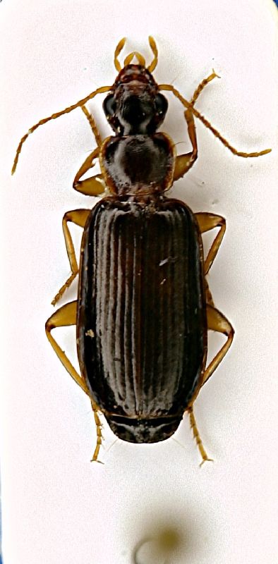
Poi è la volta di uno splendido Ptinide, del genere Cyphoderes, probabilmente:
(Ptinide) Cyphoderes sp..JPG


ed ecco anche l'elegante livrea di un coccinellide, forse una Platynaspis luteorubra
(Coccinellide) Platynaspis cf. luteorubra.JPG


_________________
Loris


Top
profilo
MessaggioInviato: 06/02/2010, 14:46 
Avatar utente

Iscritto il: 05/02/2009, 17:25
Messaggi: 4894
Località: Zola Predosa (BO)
Nome: Loris Colacurcio
...è il momento di fare una visitina ai miei "amati" Platani....e alla loro ricchissima fauna. Come già detto in altre occasioni, la mia attrezzatura consta di una paletta metallica ed una comune bacinella rettangolare (che ho appena rotto :x ):
bbb.JPG



Subito al primo albero vengo premiato con due vecchie conoscenze, due agili carabidi del genere Dromius.
Dromius agilis (Fabr. 1787)
(Carabide) Dromius agilis (Fabr. 1787)3.JPG


(Carabide) Dromius agilis (Fabr. 1787)1.JPG



...e Dromius quadrimaculatus (Linné, 1758)
(Carabide) Dromius quadrimaculatus (Linné, 1758).JPG



E subito dopo, ecco anche alcuni Elateridi, direi dei Cardiophorus goezei, che da queste parti è comunissimo (in inverno) sotto ogni tipo di corteccia, anche in numero...
(Elateride) Cardiophorus goezei 2.JPG


(Elateride) Cardiophorus goezei.JPG



Non mancano i Curculionidi, anzi, ne raccolgo numerose specie: per alcune di esse basandomi su somiglianze con altri esemplari determinati, tento di dare lo un nome (o almeno un genere :oops: ).
Tychius cf.cuprifer
(Curculionide) Tychius cf.cuprifer1.JPG



Mecinus sp
(Curculionide) Mecinus sp.JPG



Questo potrebbe essere invece un Larinus, ma è di una specie che non ho mai raccolto prima:
(Curculionide) Larinus sp.JPG



Non mancano certo i Dorytomus....
Questo potrebbe essere una forma rossa del D. lognimanus
(Curculionide) Dorytomus sp. .JPG


_________________
Loris


Top
profilo
MessaggioInviato: 06/02/2010, 14:59 
Avatar utente

Iscritto il: 05/02/2009, 17:25
Messaggi: 4894
Località: Zola Predosa (BO)
Nome: Loris Colacurcio
...e questo (sempre con molti se) potrebbe essere il Dorytomus ictor
(Curculionide) Dorytomus cf. ictor.JPG



Per questi ultimi tre, invece non ho speranze :cry:
Di sicuro questo è un Otiorrhynchus...
(Curculionide) sp. 7.JPG


(Curculionide) sp. 2.JPG


(Curculionide) sp. 4.JPG



Ogni tanto, trovo poi dei "nidi" letteralmento ricolmi di questo piccolo Anthicide
Formicomus pedestris (Rossi, 1790)
(Anthicidi) Formicomus pedestris (Rossi, 1790).JPG



Uno degli alberi ispezionati, ha la base ricoperta da uno spesso strato di muschio: esaminadolo con più attenzione, ecco apparire un carabide.....genere Amara (che sia la lucida ?)
(Carabide) Amara sp..JPG



...e con un po' di attenzione si possono osservare bestiole davvero minuscole, come questo Staphylinide lungo appena 1 mm. o poco più
(Staphylinide) sp. 1b.JPG



Oppure come questo, credo un Latridiide
(Latridiidi) sp.JPG



Cosa per me nuova, salta fuori anche uno Scirtide, probabilmente del genere Microcara
(Scirtidae) Microcara sp..JPG



Parte di questa fitta copertura "muschiosa" me la sono poi portata a casa per vagliarla e già questa mattina, ho avuto i primi regali....la difficoltà sarà scoprire cosa sono :?
(xxx) mistero 3.JPG


_________________
Loris


Top
profilo
MessaggioInviato: 06/02/2010, 15:06 
Avatar utente

Iscritto il: 05/02/2009, 17:25
Messaggi: 4894
Località: Zola Predosa (BO)
Nome: Loris Colacurcio
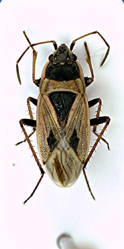
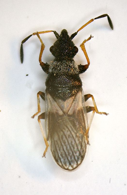
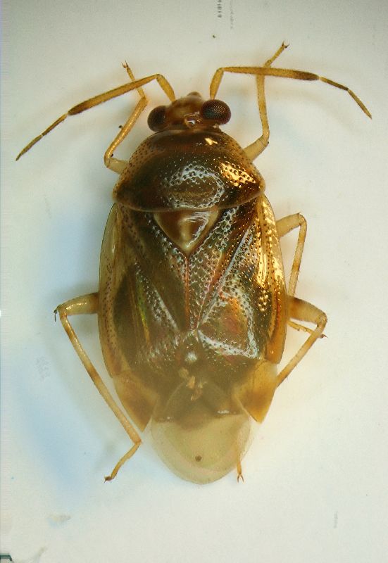
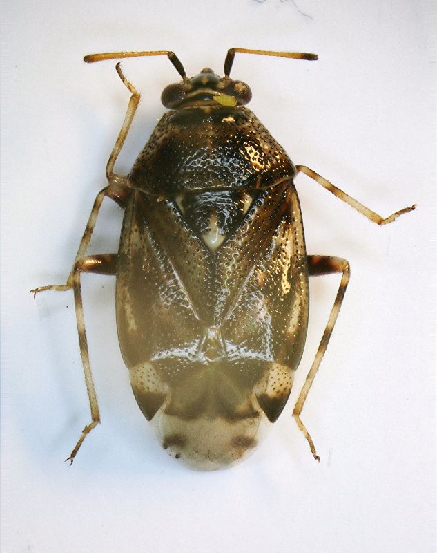
Non mancano neanche gli Heterotteri, anch'essi al riparo sotto la corteccia dei Platani
Un Lygeide...
(Heterotteri) Lygaeidae sp.JPG



Un Geocoris sp.
(Heterottero) Geocoris sp.JPG



Questi potrebbero essere invece due Deraeocoris sp.
(Heterotteri)Deraeocoris sp.1.JPG


(Heterotteri)Deraeocoris sp.2.JPG



Invece questa è......una Monosteira ?
(Heterotteri)Monosteira  cf..JPG



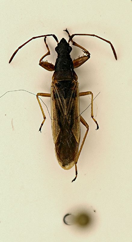
Per altri, invece, non azzardo alcunché.....
(Heterottero) sp. 3.JPG


(Heterottero) sp. 6.JPG


(Heterottero) sp. 8.JPG


(Heterottero) sp. 9.JPG


_________________
Loris


Top
profilo
MessaggioInviato: 06/02/2010, 15:15 
Avatar utente

Iscritto il: 05/02/2009, 17:25
Messaggi: 4894
Località: Zola Predosa (BO)
Nome: Loris Colacurcio
Arriva anche un altro Anthicide, comunissimo ovunque, ma che io non trovo quasi mai:
(Hirticomus quadriguttatus (Rossi, 1792)
(Anthicide) Hirticomus quadriguttatus (Rossi, 1792).JPG



..poco prima di abbandonare gli "amati" Platani, ecco le ultime sorpese:
un minuscolo coleottero (1,3 mm.) di cui non riesco a dirvi di più...
(xxx) mistero 4.JPG



...e un altro "misterioso" rinvenuto già cadavere (e da un pezzo !).
Bestiola mai vista prima, penso possa essere un Anobide, del genere Dorcatoma
(Anobide) Dorcatoma sp.JPG



E' il momento di cambiare aria e questa volta vorrei andare a vedere il grande parco a ridosso del parco, zeppo di piante "aliene" (c'è pure una Sequoia !). Sotto (la corteccia) di un grande Ippocastano ecco un altro Coccinellide
(Coccinellide) sp. 2.JPG



...seguiti da due (forse) Phalacridi. Il primo potrebbe essere del genere Phalacrus
(Phalacridi) Phalacrus sp.JPG


(Phalacridi)  sp.JPG


_________________
Loris


Top
profilo
MessaggioInviato: 06/02/2010, 15:27 
Avatar utente

Iscritto il: 05/02/2009, 17:25
Messaggi: 4894
Località: Zola Predosa (BO)
Nome: Loris Colacurcio
...ma è il momento di passare ad alcuni vecchi e bucherellati Pini, completamente ricoperti da robuste edere....purtroppo la corteccia dei Pini (solo alcune scaglie già secche, nulla di violento, lo voglio precisare) non mi danno alcun risultato.
Provando invece a battere le rigogliose edere che crescono sui tronchi, arrivano invece un sacco di bestiole che solitamente non degno di uno sguardo, ma che stavolta ho voluto conservare e condividere con voi....e credo che alcuni sarano contenti di questa scelta :birra:

Ad esempio, ecco che arrivano due leggiadre Chrysoperla (o almeno spero)...Ovviamente sono già sotto alcool :ok:
(Neurottero) Chrysoperla sp.1a.JPG


(Neurottero) Chrysoperla sp.1b.JPG



a vista e da profano, sembrerebbero due specie distinte:
(Neurottero) Chrysoperla sp.2a.JPG


(Neurottero) Chrysoperla sp.2b.JPG



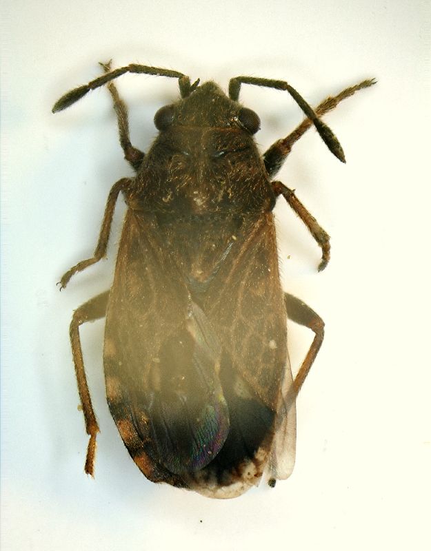
I rametti secchi dell'edera, sono poi ricchi di un caratteristico Heterottero che non avevo mai notato prima:
(Heterottero) sp. 1.JPG



Ma tantissimi sono soprattutto gli imenotteri, in particolare minuscole "vespine" di pochi millimetri...
(Hymenottero) mini 1.JPG


(Hymenottero) mini 2.JPG



(Hymenottero) 4.JPG


_________________
Loris
Top
profilo
MessaggioInviato: 06/02/2010, 15:32 
Avatar utente

Iscritto il: 05/02/2009, 17:25
Messaggi: 4894
Località: Zola Predosa (BO)
Nome: Loris Colacurcio
..salta fuori anche un imenottero un po' più grandicello, forse un icneumonide ?
(Hymenottero) 3.JPG



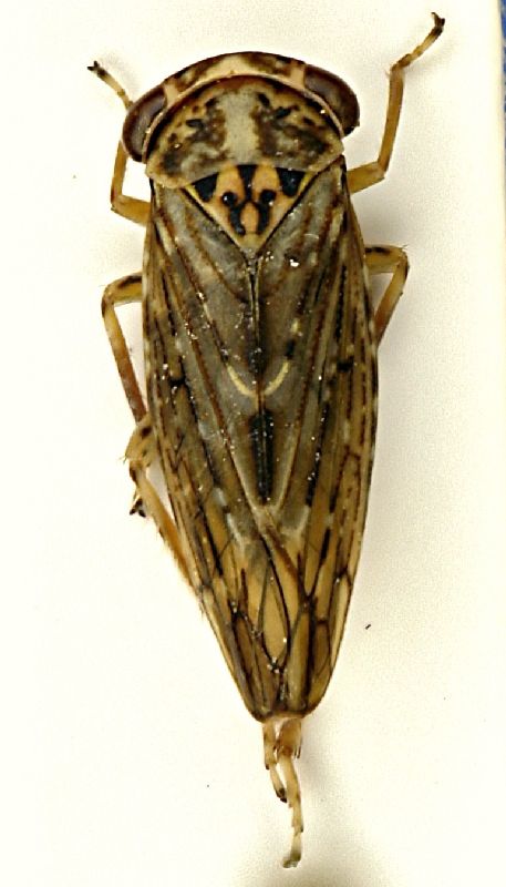
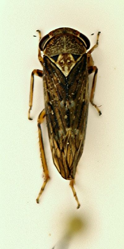
Ed infine le vere abitanti dell'edera.....la cicaline !! Erano dappertutto, soprattuto forme giovanili, ma è saltato fuori anche qualche adulto
(Homottero) sp. 1.JPG


(Homottero) sp. 2.JPG


(Homottero) sp. 3.JPG



Insomma una bella mattinata....nulla di eccezionale, ma tre orette perse tra la neve e gli insetti: cosa volete di più ?
Ovviamente se potete darmi una mano per i numerosissimi sconosciuti, ve ne sarò oltremodo grato :hi:

_________________
Loris


Top
profilo
MessaggioInviato: 06/02/2010, 15:53 
Avatar utente

Iscritto il: 08/06/2009, 0:06
Messaggi: 3415
Località: Feltre(BL)
Nome: Nicola Dal Zotto
Bellissimi!!!! Mi spieghi come cerchi sotto corteccia, cosi ci provo anch io domani???
Grazie!!!!

_________________
Nicola Dal Zotto


Top
profilo
MessaggioInviato: 06/02/2010, 21:14 
Avatar utente

Iscritto il: 06/02/2009, 9:17
Messaggi: 1025
Località: Roma
Nome: Agostino Letardi
La prima delle due Chrysoperla direi proprio che sia una C.pallida.

Ma quante belle cosette che hai trovato!!!

Buone cose

_________________
agostino letardi
http://neurotteri.casaccia.enea.it


Top
profilo
MessaggioInviato: 06/02/2010, 21:57 
Avatar utente

Iscritto il: 05/02/2009, 17:25
Messaggi: 4894
Località: Zola Predosa (BO)
Nome: Loris Colacurcio
Maw89 ha scritto:
Bellissimi!!!! Mi spieghi come cerchi sotto corteccia, cosi ci provo anch io domani???
Grazie!!!!


Beh è facile, ma solo con i Platani o altre essenze che possono sfaldarsi facilmente: con la paletta passi sul tronco e si staccano le scaglie di corteccia...sotto tieni la bacinella aderente al tronco...togli la "roba grossa" dalla bacinella e controlli se vi sono bestioline.
Fine della tecnica, semplice, vero ? :ok:

_________________
Loris


Top
profilo
MessaggioInviato: 06/02/2010, 22:07 
Avatar utente

Iscritto il: 21/05/2009, 14:59
Messaggi: 6994
Località: Parigi
Nome: Riccardo Poloni
Loris, sei una strega :mrgreen: , io che non mi posso quasi muovere e tu che mi posti pure uno Ptinide stupendo :lov3: , ma quand'è che mi porti con te? :mrgreen: , senza contare le altre cose che hai postato :hp:

_________________
Riccardo Poloni
La dignità degli elementi
la libertà della poesia,
al di là dei tradimenti degli uomini
è magia, è magia, è magia...
Negrita, Rotolando verso sud


Top
profilo
MessaggioInviato: 06/02/2010, 22:25 
Avatar utente

Iscritto il: 08/06/2009, 0:06
Messaggi: 3415
Località: Feltre(BL)
Nome: Nicola Dal Zotto
Loriscola ha scritto:
Maw89 ha scritto:
Bellissimi!!!! Mi spieghi come cerchi sotto corteccia, cosi ci provo anch io domani???
Grazie!!!!


Beh è facile, ma solo con i Platani o altre essenze che possono sfaldarsi facilmente: con la paletta passi sul tronco e si staccano le scaglie di corteccia...sotto tieni la bacinella aderente al tronco...togli la "roba grossa" dalla bacinella e controlli se vi sono bestioline.
Fine della tecnica, semplice, vero ? :ok:

Si,grazie mille! Domani provo!!! Speriamo bene!

_________________
Nicola Dal Zotto


Top
profilo
MessaggioInviato: 07/02/2010, 0:07 
Avatar utente

Iscritto il: 28/05/2009, 16:38
Messaggi: 5019
Nome: luigi lenzini
... sotto le cortecce di eucalipto, che sono più spaziose, oltre agli insetti piccoli, si trova anche roba grossa, come Tentyria e Akis.
Io ci ho trovato anche una scolopendra di quasi 10 cm.
:hi: luigi


Top
profilo
MessaggioInviato: 07/02/2010, 1:02 
Avatar utente

Iscritto il: 18/02/2009, 0:24
Messaggi: 3908
Località: Asciano (Siena)
Nome: Andrea Petrioli
elleelle ha scritto:
... sotto le cortecce di eucalipto, che sono più spaziose, oltre agli insetti piccoli, si trova anche roba grossa, come Tentyria e Akis.
Io ci ho trovato anche una scolopendra di quasi 10 cm.
:hi: luigi



si, si, anche roba più grossa come i gechi, per esempio... :mrgreen: :mrgreen: :mrgreen:

_________________
:hi:
______
Andrea


Top
profilo
MessaggioInviato: 07/02/2010, 13:47 
Avatar utente

Iscritto il: 06/02/2009, 9:02
Messaggi: 1429
Località: Verona - Roma - Foggia e sporadicamente Padova
Nome: Filippo Di Giovanni
Per quanto riguarda gli imenotteri:

i primi 2 minuscoli sono Calcidoidei sui quali però non mi pronuncio (ma volendo alla famiglia si arriva)

il terzo, su sfondo blu e attaccato lateralmente su cartellino triangolare, è un Ichneumonidae, direi un maschietto di Orthocentrinae (la faccia protrusa in avanti è caratteristica). Dovrebbe essere lungo un paio di millimetri... Per sperare di arrivare ad una det c'è bisogno di ottimo binoculare e tanta pazienza

il quarto, su sfondo blu e sempre su cartellino, più grandicello, è invece un Braconidae.

A presto ;)

_________________
"Non posso separare il piacere estetico che provo nel vedere una farfalla dal piacere scientifico di sapere che cosa è" (V.Nabokov)


Top
profilo
Visualizza ultimi messaggi:  Ordina per  
nuovo argomento
rispondi
Vai alla pagina 1, 2  Prossimo
Pagina 1 di 2 [ 26 messaggi ]

Tutti gli orari sono UTC + 1 ora [ ora legale ]


Chi c’è in linea

Visitano il forum: Nessuno e 1 ospite


Non puoi aprire nuovi argomenti
Non puoi rispondere negli argomenti
Non puoi modificare i tuoi messaggi
Non puoi cancellare i tuoi messaggi
Non puoi inviare allegati

Cerca per:
Vai a: