Benvenuto Ospite

Forum Entomologi Italiani

www.entomologiitaliani.net/forum
 
Oggi è 04/11/2025, 9:00

Tutti gli orari sono UTC + 1 ora [ ora legale ]

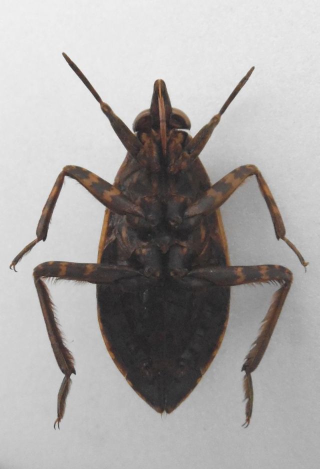
Belostoma malkini Lauck, 1962 - Belostomatidae

23.VII.1995 - VENEZUELA - EE, E.do APURE, San Fernando de Apure


nuovo argomento
rispondi
Pagina 1 di 1 [ 9 messaggi ]
Autore Messaggio
MessaggioInviato: 05/12/2014, 19:44 
 

Iscritto il: 08/12/2013, 1:52
Messaggi: 7530
Località: Bagnacavallo (RA)
Nome: Giorgio Pezzi
In successione alcuni belostomatidi da me raccolti. Il primo è questo: mm 39-43, raccolto alcuni exx sotto le luci della città. Si riconosce la specie? :hi:
DSCF1163.JPG



DSCF1164.JPG

DSCF1165.JPG

DSCF1162.JPG

Top
profilo
 Oggetto del messaggio: Re: Belostomatidi da ID
MessaggioInviato: 05/12/2014, 20:40 
Avatar utente

Iscritto il: 04/02/2014, 11:12
Messaggi: 174
Località: Vicenza (VI)
Nome: Carraro Antonio
secondo me è un Belostoma bakeri
Ciao Antonio :hi:


Top
profilo
 Oggetto del messaggio: Re: Belostomatidi da ID
MessaggioInviato: 05/12/2014, 22:14 
 

Iscritto il: 08/12/2013, 1:52
Messaggi: 7530
Località: Bagnacavallo (RA)
Nome: Giorgio Pezzi
Grazie :birra: . Domani e dopodomani altri di altri continenti. :hi:


Top
profilo
 Oggetto del messaggio: Re: Belostomatidi da ID
MessaggioInviato: 06/12/2014, 14:40 
Avatar utente

Iscritto il: 19/06/2012, 14:35
Messaggi: 5635
Località: Alfonsine (RA)
Nome: Marco Villani
:no: Questo non è il bakeri, mi ricorda piuttosto B. denticolle.
Qui un lavoro a riguardo: http://www.scielo.br/pdf/isz/n91/9039.pdf


Top
profilo
 Oggetto del messaggio: Re: Belostomatidi da ID
MessaggioInviato: 06/12/2014, 14:48 
Avatar utente

Iscritto il: 19/06/2012, 14:35
Messaggi: 5635
Località: Alfonsine (RA)
Nome: Marco Villani
Dovrebbe essere l'aurivilianum oppure del gruppo bergi , purtroppo non so distinguerli e non vedo bene la pubescenza addominale


Top
profilo
 Oggetto del messaggio: Re: Belostomatidi da ID
MessaggioInviato: 06/12/2014, 15:15 
 

Iscritto il: 08/12/2013, 1:52
Messaggi: 7530
Località: Bagnacavallo (RA)
Nome: Giorgio Pezzi
Grazie Marco, vedrò di usare le chiavi e vediamo chi è (spero).
:hi:


Top
profilo
 Oggetto del messaggio: Re: Belostomatidi da ID
MessaggioInviato: 06/12/2014, 18:58 
Avatar utente

Iscritto il: 05/02/2009, 17:36
Messaggi: 780
Nome: Attilio Carapezza
Mi dispiace di dovere dire che le ipotesi fatte sinora sono tutte sbagliate. Partiamo dalle fotografie e dai dati forniti da Giorgio: l'esemplare è lungo 39-43 mm (non capisco questa oscillazione di 4 mm nella misurazione) ed è stato raccolto in Venezuela.

Belostoma bakeriMontandon, 1913: è una specie lunga circa 20 mm non presente in Sudamerica (è nota soltanto di alcuni stati meridionali degli USA e del Messico)

Belostoma denticolle Montandon, 1903: è una specie sudamericana, ma ancora più piccola (12-14 mm)

Belostoma aurivillianum (Montandon, 1899): specie ampiamente diffusa in Sudamerica, la sua dimensione è minore rispetto all'es. fotografato (33-36 mm), ha una forma del corpo allungata (come un piccolo Lethocerus, non dilatata nella parte centrale dell'addome come qui), pronoto e scutello hanno una carena elevata gialla molto evidente (qui è appena accennata), ma soprattutto emielitre e pronoto sono coperte da setole squamiformi dorate, di cui qui non si vede traccia. Per queste caratteristiche così inusuali Montandon l'aveva descritta in un genere a sé, Zaitha.

La specie a cui appartiene l'esemplare fotografato è Belostoma malkini Lauck, 1962, di cui è probabile sinonimo Belostoma harrisi Lauck, 1962. La specie è ben nota del venezuela.


Top
profilo
 Oggetto del messaggio: Re: Belostomatidi da ID
MessaggioInviato: 06/12/2014, 20:01 
 

Iscritto il: 08/12/2013, 1:52
Messaggi: 7530
Località: Bagnacavallo (RA)
Nome: Giorgio Pezzi
Grazie Attilio, la variazione delle dimensioni citate si riferisce ai 5 exx in mio possesso, come min e max, che come ho detto ho raccolto quella sera. Nel frattempo ho trovato questo che conoscerai già ma utile per me e altri:
http://books.google.it/books?id=MmxIC5J ... ni&f=false
:hi:


Top
profilo
 Oggetto del messaggio: Re: Belostomatidi da ID
MessaggioInviato: 06/12/2014, 20:49 
 

Iscritto il: 08/12/2013, 1:52
Messaggi: 7530
Località: Bagnacavallo (RA)
Nome: Giorgio Pezzi
Noto altresì che la maculatura scura negli arti e lo scuro dell'addome che si vede nella foto da sotto, è presente in soli tre exx (riferibili a femmine, più "obese") e altri due hanno colore uniforme simile a quello superiormente e di forma più slanciata, (maschi?).
:hi:


Top
profilo
Visualizza ultimi messaggi:  Ordina per  
nuovo argomento
rispondi
Pagina 1 di 1 [ 9 messaggi ]

Tutti gli orari sono UTC + 1 ora [ ora legale ]


Chi c’è in linea

Visitano il forum: Nessuno e 1 ospite


Non puoi aprire nuovi argomenti
Non puoi rispondere negli argomenti
Non puoi modificare i tuoi messaggi
Non puoi cancellare i tuoi messaggi
Non puoi inviare allegati

Cerca per:
Vai a: