Benvenuto Ospite

Forum Entomologi Italiani

www.entomologiitaliani.net/forum
 
Oggi è 02/11/2025, 18:57

Tutti gli orari sono UTC + 1 ora [ ora legale ]

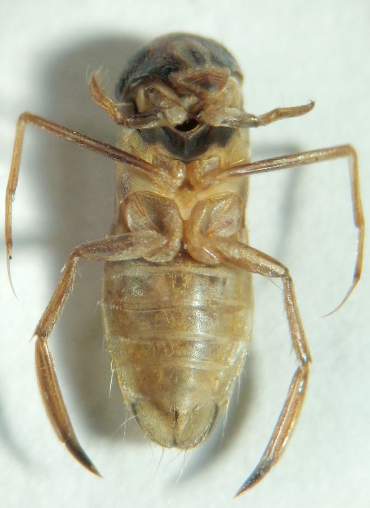
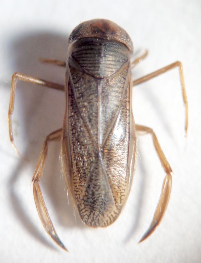
Sigara sp. - Corixidae

3.VIII.2022 - ITALIA - Friuli-Venezia Giulia - UD, alta val Torre, presso Musi, m 650


nuovo argomento
rispondi
Pagina 1 di 1 [ 1 messaggio ]
Autore Messaggio
 Oggetto del messaggio: Sigara sp. - Corixidae
MessaggioInviato: 16/08/2022, 19:45 
 

Iscritto il: 08/12/2013, 1:52
Messaggi: 7530
Località: Bagnacavallo (RA)
Nome: Giorgio Pezzi
mm 5,3; un solo esemplare femmina; va bene che era un greto ma di acqua non ce n'era una goccia, ma è arrivata alla luce bianca.
:hi:
Aasig.JPG



Aasig vs.JPG

Aasig lat.JPG

Aasig torace.JPG

Top
profilo
Visualizza ultimi messaggi:  Ordina per  
nuovo argomento
rispondi
Pagina 1 di 1 [ 1 messaggio ]

Tutti gli orari sono UTC + 1 ora [ ora legale ]


Chi c’è in linea

Visitano il forum: Nessuno e 1 ospite


Non puoi aprire nuovi argomenti
Non puoi rispondere negli argomenti
Non puoi modificare i tuoi messaggi
Non puoi cancellare i tuoi messaggi
Non puoi inviare allegati

Cerca per:
Vai a: